血管生成在冠心病、缺血性脑栓塞、骨折创伤及肿瘤等的治疗、恢复和预后中,具有重要的意义。冠脉侧支血管的生成与开放能减轻或防止心肌缺血坏死、预防和延缓缺血性心脏病和室壁瘤形成、改善临床症状和预后,改善心功能。尽管在冠脉进行性狭窄患者局部VEGF、FGF表达增加,有自发形成侧支循环的趋向,但常不足以代偿原有的血供,缺血表现得不到纠正。如果通过适当的途径给予外源性促血管生长因子(主要是VEGF、FGF)或促进它们产生的药物,可能会促使形成丰富的冠脉侧支循环,满足心脏血供需要,即为“自身冠脉搭桥术”。这种促血管生成治疗对相当一部分传统药物疗效不佳,却不适宜做冠脉搭桥术或介入治疗,或者出现术后再狭窄的患者,具有尤其重要的意义。
目前,VEGF、FGF的蛋白和基因治疗尚面临许多问题,例如,蛋白半衰期短,需反复给药,费用昂贵,且给药途径复杂(基本采用局部给药),操作烦琐,至于基因治疗的安全性、有效性和稳定性,至今仍缺乏可靠的技术保证。难以推广用于临床冠心病治疗。因此,寻求更多促血管生成药物和方法,尤其是适于外周给药的有效药物,无疑具有重要意义。
由复旦大学附属华山医院心血管病研究室戴瑞鸿教授研制开发的麝香保心丸,是目前冠心病治疗中的一个常用药物,长期的临床应用已证实该药具有良好的疗效。多年来人们对其抗心肌缺血机制的了解限于扩张冠脉、减低心肌耗氧量、增强心肌耐缺氧能力、改善心功能等方面,有关该药对缺血心脏冠脉侧支血管生成的影响目前尚鲜为人知。最近,我研究室通过鸡胚绒毛尿囊膜(CAM)和内皮细胞以及实验性心肌梗塞大鼠的一系列实验,证实麝香保心丸具有促血管生成作用,能促进心梗大鼠冠脉的侧支血管生成。这一药理作用的阐明对指导临床合理用药具有重要的意义。
麝香保心丸对血管生成的影响
首先,我们选择CAM模型初步评价麝香保心丸的促血管生成活性。鸡胚用孵育第7天的香港麻花鸡白皮种蛋,微孔滤膜作为载体,加入麝香保心丸药液,阳性和阴性对照分别用重组碱性成纤维细胞生长因子(bFGF)(贝复剂)和生理盐水,3天后固定CAM标本,计数一级、二级血管来评价促血管生成活性。结果显示,保心丸组CAM两级血管数均比阴性对照组明显增加(保心丸组的一、二级血管数分别为35和50,阴性对照组则为21和33。n=12,P<0.05),初步表明麝香保心丸具有促血管生成活性(见图1)。
图1 麝香保心丸对CAM血管生成的影响

A:加有生理盐水的CAM
B:加有麝香保心丸的CAM
麝香保心丸促进VEGF、bFGF的表达
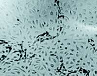
然后,我们通过培养的内皮细胞实验,从离体角度验证麝香保心丸的促血管生成效应,并初步探讨其作用机制。同样以bFGF和生理盐水为阳性和阴性对照,观察麝香保心丸药液对培养的牛肾上腺微血管内皮细胞增殖及管腔结构形成的影响,同时检测该药液作用下培养的人脐静脉内皮细胞血管内皮生长因子(VEGF)和bFGF的mRNA表达及其上清液中VEGF、bFGF含量。结果显示,保心丸组内皮细胞及管腔数目均较阴性对照组明显增多(保心丸大、小剂量组细胞数分别为1.31±0.19×105和1.19±0.22×105个/孔,管腔数分别为7.6±1.5和6.2±1.5个/10HP;阴性对照组细胞数为0.76±0.20×105个/孔,管腔数为3.3±0.7个/10HP。(HP指×100下的高倍视野,n=8)。保心丸组与阴性对照组之间细胞数与管腔数分别进行比较,均P<0.05),见图2。
图2 麝香保心丸对培养的牛肾上腺微血管内皮细胞管腔结构形成的影响

A:生理盐水对照组细胞
B:麝香保心丸组细胞
麝香保心丸组的细胞表达VEGF和bFGF mRNA明显增高,上清液中两因子含量明显增多(见图3)。表明麝香保心丸在体外的确具有促血管生成效应,其作用机制可能与促进内皮细胞释放VEGF、bFGF,并增高其mRNA表达有关。
图3 麝香保心丸组的细胞表达VEGF和bFGF mRNA明显增高
麝香保心丸对缺血心肌的作用
通过建立大鼠心肌梗塞模型并分别给予麝香保心丸及对照药物干预,我们从在体角度证实了麝香保心丸对缺血心脏血管生成的促进作用。24只320±20g的雄性Wistar大鼠随机分成麝香保心丸组(灌胃给药)、阳性对照组(贝复剂局部喷洒联用肝素皮下注射)和阴性对照组(生理盐水灌胃),建立心肌梗塞模型并分别给药,6周后检测梗塞面积占左室面积百分比、梗塞边缘区VEGF、bFGF和VIII因子的含量以及血管面密度(见图3)。结果显示,麝香保心丸组梗塞面积明显小于阴性对照组(见图5),梗塞边缘区VEGF、bFGF和VIII因子的含量以及血管面密度均较阴性对照组明显增加(见图4)。表明麝香保心丸能促进大鼠缺血心肌冠脉侧支血管生成,对缺血心肌具有保护作用。
图4
麝香保心丸明显增加大鼠左室梗塞边缘区VEGF、bFGF及VIII因子表达量以及血管面密度
图5 麝香保心丸对大鼠心室梗塞面积的影响
我们同时用免疫组化技术测定梗塞边缘区VEGF、bFGF及VIII因子的表达量,以及梗塞边缘区心肌血管面密度,显微镜下可见VEGF和bFGF的阳性染色区域弥散分布于心肌细胞与间质,而VIII因子阳性染色区域则位于血管壁内皮细胞内。
上述研究表明,麝香保心丸在体外实验和体内实验中均表现出较明显的促血管生成活性,能促进微血管内皮细胞增殖并形成管腔结构,及冠脉侧支血管生成。
上述研究表明,麝香保心丸在体外实验和体内实验中均表现出较明显的促血管生成活性,在体外能促进微血管内皮细胞增殖并形成管腔结构,在体内能促进CAM以及心梗大鼠冠脉侧支的血管生成。
中医药在冠心病促血管生成方面是个重要研究领域,以往这方面研究几乎是个空白。麝香保心丸是我室开发的一个中药治疗冠心病最具影响力的代表药,但过去对其作用机制的研究未涉及血管生成领域。我们最近这些研究发现是对其以往药理研究成果的重要补充,为该药用于冠心病治疗再次提供了有利依据,同时也将引起人们在服药方式上观念的改变。过去,麝香保心丸多用于急性心肌缺血发作时胸闷、胸痛等症状的缓解。上述研究结果却提示,长期服用该药可促进冠脉侧支血管的生成而达到减轻、延缓心肌缺血发生发展、改善症状和预后的目的。有关具体服药疗程应定为多长,还需要我们在进一步的临床试验中继续探索。 (汪姗姗)
目前,VEGF、FGF的蛋白和基因治疗尚面临许多问题,例如,蛋白半衰期短,需反复给药,费用昂贵,且给药途径复杂(基本采用局部给药),操作烦琐,至于基因治疗的安全性、有效性和稳定性,至今仍缺乏可靠的技术保证。难以推广用于临床冠心病治疗。因此,寻求更多促血管生成药物和方法,尤其是适于外周给药的有效药物,无疑具有重要意义。
由复旦大学附属华山医院心血管病研究室戴瑞鸿教授研制开发的麝香保心丸,是目前冠心病治疗中的一个常用药物,长期的临床应用已证实该药具有良好的疗效。多年来人们对其抗心肌缺血机制的了解限于扩张冠脉、减低心肌耗氧量、增强心肌耐缺氧能力、改善心功能等方面,有关该药对缺血心脏冠脉侧支血管生成的影响目前尚鲜为人知。最近,我研究室通过鸡胚绒毛尿囊膜(CAM)和内皮细胞以及实验性心肌梗塞大鼠的一系列实验,证实麝香保心丸具有促血管生成作用,能促进心梗大鼠冠脉的侧支血管生成。这一药理作用的阐明对指导临床合理用药具有重要的意义。
麝香保心丸对血管生成的影响
首先,我们选择CAM模型初步评价麝香保心丸的促血管生成活性。鸡胚用孵育第7天的香港麻花鸡白皮种蛋,微孔滤膜作为载体,加入麝香保心丸药液,阳性和阴性对照分别用重组碱性成纤维细胞生长因子(bFGF)(贝复剂)和生理盐水,3天后固定CAM标本,计数一级、二级血管来评价促血管生成活性。结果显示,保心丸组CAM两级血管数均比阴性对照组明显增加(保心丸组的一、二级血管数分别为35和50,阴性对照组则为21和33。n=12,P<0.05),初步表明麝香保心丸具有促血管生成活性(见图1)。
图1 麝香保心丸对CAM血管生成的影响


A:加有生理盐水的CAM
B:加有麝香保心丸的CAM
麝香保心丸促进VEGF、bFGF的表达
然后,我们通过培养的内皮细胞实验,从离体角度验证麝香保心丸的促血管生成效应,并初步探讨其作用机制。同样以bFGF和生理盐水为阳性和阴性对照,观察麝香保心丸药液对培养的牛肾上腺微血管内皮细胞增殖及管腔结构形成的影响,同时检测该药液作用下培养的人脐静脉内皮细胞血管内皮生长因子(VEGF)和bFGF的mRNA表达及其上清液中VEGF、bFGF含量。结果显示,保心丸组内皮细胞及管腔数目均较阴性对照组明显增多(保心丸大、小剂量组细胞数分别为1.31±0.19×105和1.19±0.22×105个/孔,管腔数分别为7.6±1.5和6.2±1.5个/10HP;阴性对照组细胞数为0.76±0.20×105个/孔,管腔数为3.3±0.7个/10HP。(HP指×100下的高倍视野,n=8)。保心丸组与阴性对照组之间细胞数与管腔数分别进行比较,均P<0.05),见图2。
图2 麝香保心丸对培养的牛肾上腺微血管内皮细胞管腔结构形成的影响


A:生理盐水对照组细胞
B:麝香保心丸组细胞
麝香保心丸组的细胞表达VEGF和bFGF mRNA明显增高,上清液中两因子含量明显增多(见图3)。表明麝香保心丸在体外的确具有促血管生成效应,其作用机制可能与促进内皮细胞释放VEGF、bFGF,并增高其mRNA表达有关。

图3 麝香保心丸组的细胞表达VEGF和bFGF mRNA明显增高
麝香保心丸对缺血心肌的作用
通过建立大鼠心肌梗塞模型并分别给予麝香保心丸及对照药物干预,我们从在体角度证实了麝香保心丸对缺血心脏血管生成的促进作用。24只320±20g的雄性Wistar大鼠随机分成麝香保心丸组(灌胃给药)、阳性对照组(贝复剂局部喷洒联用肝素皮下注射)和阴性对照组(生理盐水灌胃),建立心肌梗塞模型并分别给药,6周后检测梗塞面积占左室面积百分比、梗塞边缘区VEGF、bFGF和VIII因子的含量以及血管面密度(见图3)。结果显示,麝香保心丸组梗塞面积明显小于阴性对照组(见图5),梗塞边缘区VEGF、bFGF和VIII因子的含量以及血管面密度均较阴性对照组明显增加(见图4)。表明麝香保心丸能促进大鼠缺血心肌冠脉侧支血管生成,对缺血心肌具有保护作用。

图4
麝香保心丸明显增加大鼠左室梗塞边缘区VEGF、bFGF及VIII因子表达量以及血管面密度

图5 麝香保心丸对大鼠心室梗塞面积的影响
我们同时用免疫组化技术测定梗塞边缘区VEGF、bFGF及VIII因子的表达量,以及梗塞边缘区心肌血管面密度,显微镜下可见VEGF和bFGF的阳性染色区域弥散分布于心肌细胞与间质,而VIII因子阳性染色区域则位于血管壁内皮细胞内。
上述研究表明,麝香保心丸在体外实验和体内实验中均表现出较明显的促血管生成活性,能促进微血管内皮细胞增殖并形成管腔结构,及冠脉侧支血管生成。
上述研究表明,麝香保心丸在体外实验和体内实验中均表现出较明显的促血管生成活性,在体外能促进微血管内皮细胞增殖并形成管腔结构,在体内能促进CAM以及心梗大鼠冠脉侧支的血管生成。
中医药在冠心病促血管生成方面是个重要研究领域,以往这方面研究几乎是个空白。麝香保心丸是我室开发的一个中药治疗冠心病最具影响力的代表药,但过去对其作用机制的研究未涉及血管生成领域。我们最近这些研究发现是对其以往药理研究成果的重要补充,为该药用于冠心病治疗再次提供了有利依据,同时也将引起人们在服药方式上观念的改变。过去,麝香保心丸多用于急性心肌缺血发作时胸闷、胸痛等症状的缓解。上述研究结果却提示,长期服用该药可促进冠脉侧支血管的生成而达到减轻、延缓心肌缺血发生发展、改善症状和预后的目的。有关具体服药疗程应定为多长,还需要我们在进一步的临床试验中继续探索。 (汪姗姗)