维护血管内皮功能对心脑血管疾病的重要意义——系列研究之十六(续1) 通心络对实验家兔血管球囊损伤后内膜增生和血管重构的抑制作用
逆转录-聚合酶链反应(RT-PCR):①引物序列:PDGF-BB上游引物5’-AGG AGG CCC ATC TAC ATC ATC ACC GAG
T-3’下游引物5’-CCT TTC ATG TCC AGC CAT GGG CCA
CGT-3’扩增片断259bp;MMP-2上游引物5’-CCA CAT TCT GGC CTG AGC
T-3’下游引物5’-TGA TGC TTC CAA ACT TCA
C-3’扩增片断430bp;MMP-3上游引物5’-GCC AAG AGA TGC TGT TGA
TG-3’下游引物5’-AGG TCT GTG AAG GGG TTG
TA-3’扩增片断363bp;TIMP-1上游引物5’-GCA ACT CCG ACC TTG TCA
TC-3’下游引物5’-AGC GTA GGT CTT GGT GAA
GC-3’扩增片断326bp;β-actin(内参照)上游引物5’-ATC ATG TTT GAG ACC TTC AAC
A-3’下游引物5’-CAT CTC TTG CTC GAA GTC
CA-3’扩增片段300bp。②RT-PCR反应:于DEPC处理的EP管中依次加入总RNA
1μk、MMLV 1μk、逆转录反应体系7μk和下游引物1μk,去Rnase水补至20μk,快速离心混匀;先后37℃1h、90℃10min灭活MMLV,快速离心使蒸汽沉于管底;然后依次加入PCR反应体系19μk、上游引物1μk和超净水58μk,快速离心混匀;90℃5min,离心使蒸汽沉于管底,加入2μk Taq
DNA(1u/μk)聚合物快速离心混匀,加100μk液体石蜡。循环条件:94℃
1 min,58℃ 1 min,72℃ 1 min,循环35次,末次延长7
min。对扩增产物行琼脂糖凝胶电泳25min。
血清胆固醇(CH)和一氧化氮(NO)含量测定:对三组家兔分别于术前及术后第2、4周经耳缘静脉采血,每只(6~8)mk,4000r/min超速离心,分离血清,置于-70℃冰箱保存备检。用酶法测定血清CH含量;血清NO测定以血清NO3-
与NO2-
之和作为NO的生成指标,采用硝酸还原酶将NO3- 还原为
NO2-
,并与显色剂作用,将生成的有色物质与标准管和空白管对照检测吸光度(540nm波长比色)的大小,计算血清NO含量。
统计方法
采用SPSS软件做统计学处理。计数资料用±s表示,组间比较用双向t检验或方差分析。P<0.05为有显著性差异。
结 果
血管横截面组织形态学表现
假手术组:光镜下见血管全层结构,内皮细胞完整呈扁平状,内弹力膜完整;中层平滑肌细胞(VSMC)呈梭形,细胞核小而扁。电镜下中膜VSMC呈“收缩型”,细胞浆内有大量肌丝、密斑和密体,细胞核呈梭状。
对照组和通心络组:
1.损伤后即刻:对照组光镜下见内皮消失,有时内弹力膜断裂,损伤可达中层。电镜下见内皮细胞消失,内膜表面有时见散在的单核细胞和大量脱颗粒血小板附着;内弹力膜及其附近中膜的VSMC变长,细胞核呈螺旋状。
2.损伤后第1周:对照组光镜下见管腔面有较完整的扁平内皮,增生的内膜呈均匀性或非均匀性增厚,细胞排列紊乱,有少许纤维组织形成和迁移的VSMC。电镜下见新生内膜中增生的VSMC呈典型的“合成型”表现:核大而圆,胞浆丰富,有大量内质网和高尔基复合体,肌丝减少。
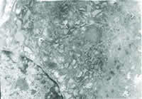
3.损伤后第2周:对照组光镜下见内膜增厚,VSMC由中膜向内膜大量迁移并增生,细胞排列紊乱,纤维组织大量形成,中膜增厚,管腔明显狭窄(图1)。
图1
球囊损伤后2周对照组血管横截面光镜下所见(×100):新生内膜明显增厚,有大量增生的VSMC和纤维组织形成,细胞排列紊乱,管腔狭窄。
电镜下新生内膜和中膜的VSMC呈典型的“合成型”,胞核有时呈螺旋状。通心络组光镜下见新生内膜中的VSMC和纤维组织较对照组明显减少,内皮较完整、光滑,管腔狭窄程度减轻(图2);电镜下VSMC胞浆肌丝较对照组明显增多,内质网和高尔基复合体较对照组减少。
图2
球囊损伤后2周通心络组血管横截面光镜下所见(×100):新生内膜中的VSMC和纤维组织较同期对照组显著减少,内皮较完整、光滑,管腔较大。
4.损伤后第4周:对照组光镜下见中膜和内膜均明显增厚,有较多增生的VSMC,呈环形排列整齐,新生内膜中有大量ECM形成,管腔明显狭窄;透射电镜见内膜VSMC胞浆内肌丝明显减少或消失,有大量内质网、高尔基体和线粒体,呈典型的“合成型”表现(图3)。通心络组光镜下见内膜增生程度较对照组显著减轻,增生的VSMC和纤维组织明显减少,内皮完整、光滑,管腔显著增大;电镜下VSMC胞浆肌丝较对照组明显增多,内质网、高尔基复合体和线粒体显著减少,胞核较对照组变扁平(图4)。
图3
球囊损伤后2周对照组血管横截面电镜下所见(×10000):新生内膜中VSM呈典型的“合成型”表现,即:胞核大而圆,胞浆丰富,有大量内质网和高尔基复合体,肌丝减少。
图4
球囊损伤后2周通心络组血管横截面电镜下所见(×10000):新生内膜中VSMC胞浆肌丝较同期对照组增多,内质网中和高尔基复合体减少。
5.损伤后第6周:对照组光镜下见内膜增厚仍明显,VSMC细胞相对较少,周围基质大量增生,管腔明显狭窄,中膜增厚。通心络组光镜下见内膜增生程度较对照组显著减轻,增生的VSMC和纤维组织明显减少,管腔较对照组增大。
血管形态学参数比较
假手术组、对照组和通心络组内弹力膜环绕总面积(IEL)比较:结果显示(表1)术后第1周三组IEL差异无显著性,术后第2、4、6周对照组IEL明显小于通心络组。
表1 三组IEL比较(×104 μm2)
组别
术后1周
术后2周
术后4周
术后6周
假手术组
12.26±0.92
1.89±1.011
11.78±1.01
11.14±1.02
对照组
13.08±1.00
10.56±0.98*
9.34±0.97*
8.93±0.96#
通心络组
12.96±0.96
12.35±0.92△
11.89±1.01△
11.67±1.11△
注与假手术组比较
*P<0.05#P<0.01与对照组比较 △P<0.01
假手术组、对照组和通心络组新生内膜面积比较:结果显示(表2) 术后对照组和通心络组新生内膜面积均明显大于假手术组,对照组显著大于通心络组。
表2 三组新生内膜增生面积比较(×104 μm2)
组别
术后1周
术后2周
术后4周
术后6周
假手术组
1.55±0.72
1.58±0.69
1.63±0.67
1.61±0.70
对照组
5.28±0.65*
5.90±0.59*
5.96±0.61*
6.06±0.62*
通心络组
4.30±0.57#
4.07±0.60*#
3.49±0.53*#
3.42±0.58*#
注L与假手术组比较
*P<0.001;与对照组比较 #P<0.01。
假手术组、对照组和通心络组管腔面积比较:结果显示(表3)术后对照组和通心络组管腔面积均明显小于假手术组,对照组显著小于通心络组。
表3 三组管腔面积比较(×104 μm2)
组别
术后1周
术后2周
术后4周
术后6周
假手术组
10.71±1.32
9.62±1.14
9.87±1.21
10.03±1.22
对照组
7.14±1.09#
5.20±1.18#
4.12±0.98#
4.08±0.97#
通心络组
8.33±0.96*△
8.08±0.97*▲
8.20±1.16*▲
8.34±1.01*▲
注与假手术组比较
×P<0.05;#P<0.001;与对照组比较 △P<0.05;▲P<0.001。
假手术组、对照组和通心络组内膜增生指数比较:结果显示术后对照组和通心络组新生内膜面积均明显大于假手术组,对照组显著大于通心络组。
表4 三组内膜增生指数(%)
组别
术后1周
术后2周
术后4周
术后6周
假手术组
10.14±1.06
9.25±0.92
10.61±0.96
9.62±1.21
对照组
25.51±4.04
26.51±4.31
27.06±4.17
29.00±4.23
通心络组
22.60±
4.12#
21.05±3.96#
17.50±3.87#
17.01±4.06#
注:与假手术组比较
*P<0.001;与对照组比较 #P<0.05。
假手术组、对照组和通心络组管腔狭窄指数比较:结果显示(表5)术后对照组和通心络组管腔面积均明显小于假手术组,对照组显著小于通心络组。
免疫组化、原位杂交和RT-PCR结果
假手术组:PCNA、PDGF-BB、MMP-2、MMP-3、TIMP-1和NF-kB
p65无或有少许表达。
对照组:①术后PCNA阳性细胞数和PCNA增殖指数均明显高于假手术组和通心络组(表6)。②PDGF-BB术后即刻表达,2周达高峰,以后继续维持在较高水平(图5)。③MMP-2术后即刻表达,1周显著表达并达高峰,2周后开始下降,4周后几乎无表达。④MMP-3术后即刻表达,2周表达最明显,4周后表达很少(图7)。⑤TIMP-1在术后表达逐渐增强,2周后达高峰,4周后表达仍较强。⑥NF-κB
p65术后1周胞核中表达显著,胞浆中有轻微表达,以后表达下降(图8)。
通心络组:PCNA、PDGF-BB(图6)、MMP-2、MMP-3(图7)和NF-κB
p65(图9)术后各时间点的表达均显著弱于同期对照组,而TIMP-1则明显强于对照组。, 百拇医药
T-3’下游引物5’-CCT TTC ATG TCC AGC CAT GGG CCA
CGT-3’扩增片断259bp;MMP-2上游引物5’-CCA CAT TCT GGC CTG AGC
T-3’下游引物5’-TGA TGC TTC CAA ACT TCA
C-3’扩增片断430bp;MMP-3上游引物5’-GCC AAG AGA TGC TGT TGA
TG-3’下游引物5’-AGG TCT GTG AAG GGG TTG
TA-3’扩增片断363bp;TIMP-1上游引物5’-GCA ACT CCG ACC TTG TCA
TC-3’下游引物5’-AGC GTA GGT CTT GGT GAA
GC-3’扩增片断326bp;β-actin(内参照)上游引物5’-ATC ATG TTT GAG ACC TTC AAC
A-3’下游引物5’-CAT CTC TTG CTC GAA GTC
CA-3’扩增片段300bp。②RT-PCR反应:于DEPC处理的EP管中依次加入总RNA
1μk、MMLV 1μk、逆转录反应体系7μk和下游引物1μk,去Rnase水补至20μk,快速离心混匀;先后37℃1h、90℃10min灭活MMLV,快速离心使蒸汽沉于管底;然后依次加入PCR反应体系19μk、上游引物1μk和超净水58μk,快速离心混匀;90℃5min,离心使蒸汽沉于管底,加入2μk Taq
DNA(1u/μk)聚合物快速离心混匀,加100μk液体石蜡。循环条件:94℃
1 min,58℃ 1 min,72℃ 1 min,循环35次,末次延长7
min。对扩增产物行琼脂糖凝胶电泳25min。
血清胆固醇(CH)和一氧化氮(NO)含量测定:对三组家兔分别于术前及术后第2、4周经耳缘静脉采血,每只(6~8)mk,4000r/min超速离心,分离血清,置于-70℃冰箱保存备检。用酶法测定血清CH含量;血清NO测定以血清NO3-
与NO2-
之和作为NO的生成指标,采用硝酸还原酶将NO3- 还原为
NO2-
,并与显色剂作用,将生成的有色物质与标准管和空白管对照检测吸光度(540nm波长比色)的大小,计算血清NO含量。
统计方法
采用SPSS软件做统计学处理。计数资料用±s表示,组间比较用双向t检验或方差分析。P<0.05为有显著性差异。
结 果
血管横截面组织形态学表现
假手术组:光镜下见血管全层结构,内皮细胞完整呈扁平状,内弹力膜完整;中层平滑肌细胞(VSMC)呈梭形,细胞核小而扁。电镜下中膜VSMC呈“收缩型”,细胞浆内有大量肌丝、密斑和密体,细胞核呈梭状。
对照组和通心络组:
1.损伤后即刻:对照组光镜下见内皮消失,有时内弹力膜断裂,损伤可达中层。电镜下见内皮细胞消失,内膜表面有时见散在的单核细胞和大量脱颗粒血小板附着;内弹力膜及其附近中膜的VSMC变长,细胞核呈螺旋状。
2.损伤后第1周:对照组光镜下见管腔面有较完整的扁平内皮,增生的内膜呈均匀性或非均匀性增厚,细胞排列紊乱,有少许纤维组织形成和迁移的VSMC。电镜下见新生内膜中增生的VSMC呈典型的“合成型”表现:核大而圆,胞浆丰富,有大量内质网和高尔基复合体,肌丝减少。
3.损伤后第2周:对照组光镜下见内膜增厚,VSMC由中膜向内膜大量迁移并增生,细胞排列紊乱,纤维组织大量形成,中膜增厚,管腔明显狭窄(图1)。
图1
球囊损伤后2周对照组血管横截面光镜下所见(×100):新生内膜明显增厚,有大量增生的VSMC和纤维组织形成,细胞排列紊乱,管腔狭窄。
电镜下新生内膜和中膜的VSMC呈典型的“合成型”,胞核有时呈螺旋状。通心络组光镜下见新生内膜中的VSMC和纤维组织较对照组明显减少,内皮较完整、光滑,管腔狭窄程度减轻(图2);电镜下VSMC胞浆肌丝较对照组明显增多,内质网和高尔基复合体较对照组减少。
图2
球囊损伤后2周通心络组血管横截面光镜下所见(×100):新生内膜中的VSMC和纤维组织较同期对照组显著减少,内皮较完整、光滑,管腔较大。
4.损伤后第4周:对照组光镜下见中膜和内膜均明显增厚,有较多增生的VSMC,呈环形排列整齐,新生内膜中有大量ECM形成,管腔明显狭窄;透射电镜见内膜VSMC胞浆内肌丝明显减少或消失,有大量内质网、高尔基体和线粒体,呈典型的“合成型”表现(图3)。通心络组光镜下见内膜增生程度较对照组显著减轻,增生的VSMC和纤维组织明显减少,内皮完整、光滑,管腔显著增大;电镜下VSMC胞浆肌丝较对照组明显增多,内质网、高尔基复合体和线粒体显著减少,胞核较对照组变扁平(图4)。
图3
球囊损伤后2周对照组血管横截面电镜下所见(×10000):新生内膜中VSM呈典型的“合成型”表现,即:胞核大而圆,胞浆丰富,有大量内质网和高尔基复合体,肌丝减少。
图4
球囊损伤后2周通心络组血管横截面电镜下所见(×10000):新生内膜中VSMC胞浆肌丝较同期对照组增多,内质网中和高尔基复合体减少。
5.损伤后第6周:对照组光镜下见内膜增厚仍明显,VSMC细胞相对较少,周围基质大量增生,管腔明显狭窄,中膜增厚。通心络组光镜下见内膜增生程度较对照组显著减轻,增生的VSMC和纤维组织明显减少,管腔较对照组增大。
血管形态学参数比较
假手术组、对照组和通心络组内弹力膜环绕总面积(IEL)比较:结果显示(表1)术后第1周三组IEL差异无显著性,术后第2、4、6周对照组IEL明显小于通心络组。
表1 三组IEL比较(×104 μm2)
组别
术后1周
术后2周
术后4周
术后6周
假手术组
12.26±0.92
1.89±1.011
11.78±1.01
11.14±1.02
对照组
13.08±1.00
10.56±0.98*
9.34±0.97*
8.93±0.96#
通心络组
12.96±0.96
12.35±0.92△
11.89±1.01△
11.67±1.11△
注与假手术组比较
*P<0.05#P<0.01与对照组比较 △P<0.01
假手术组、对照组和通心络组新生内膜面积比较:结果显示(表2) 术后对照组和通心络组新生内膜面积均明显大于假手术组,对照组显著大于通心络组。
表2 三组新生内膜增生面积比较(×104 μm2)
组别
术后1周
术后2周
术后4周
术后6周
假手术组
1.55±0.72
1.58±0.69
1.63±0.67
1.61±0.70
对照组
5.28±0.65*
5.90±0.59*
5.96±0.61*
6.06±0.62*
通心络组
4.30±0.57#
4.07±0.60*#
3.49±0.53*#
3.42±0.58*#
注L与假手术组比较
*P<0.001;与对照组比较 #P<0.01。
假手术组、对照组和通心络组管腔面积比较:结果显示(表3)术后对照组和通心络组管腔面积均明显小于假手术组,对照组显著小于通心络组。
表3 三组管腔面积比较(×104 μm2)
组别
术后1周
术后2周
术后4周
术后6周
假手术组
10.71±1.32
9.62±1.14
9.87±1.21
10.03±1.22
对照组
7.14±1.09#
5.20±1.18#
4.12±0.98#
4.08±0.97#
通心络组
8.33±0.96*△
8.08±0.97*▲
8.20±1.16*▲
8.34±1.01*▲
注与假手术组比较
×P<0.05;#P<0.001;与对照组比较 △P<0.05;▲P<0.001。
假手术组、对照组和通心络组内膜增生指数比较:结果显示术后对照组和通心络组新生内膜面积均明显大于假手术组,对照组显著大于通心络组。
表4 三组内膜增生指数(%)
组别
术后1周
术后2周
术后4周
术后6周
假手术组
10.14±1.06
9.25±0.92
10.61±0.96
9.62±1.21
对照组
25.51±4.04
26.51±4.31
27.06±4.17
29.00±4.23
通心络组
22.60±
4.12#
21.05±3.96#
17.50±3.87#
17.01±4.06#
注:与假手术组比较
*P<0.001;与对照组比较 #P<0.05。
假手术组、对照组和通心络组管腔狭窄指数比较:结果显示(表5)术后对照组和通心络组管腔面积均明显小于假手术组,对照组显著小于通心络组。
免疫组化、原位杂交和RT-PCR结果
假手术组:PCNA、PDGF-BB、MMP-2、MMP-3、TIMP-1和NF-kB
p65无或有少许表达。
对照组:①术后PCNA阳性细胞数和PCNA增殖指数均明显高于假手术组和通心络组(表6)。②PDGF-BB术后即刻表达,2周达高峰,以后继续维持在较高水平(图5)。③MMP-2术后即刻表达,1周显著表达并达高峰,2周后开始下降,4周后几乎无表达。④MMP-3术后即刻表达,2周表达最明显,4周后表达很少(图7)。⑤TIMP-1在术后表达逐渐增强,2周后达高峰,4周后表达仍较强。⑥NF-κB
p65术后1周胞核中表达显著,胞浆中有轻微表达,以后表达下降(图8)。
通心络组:PCNA、PDGF-BB(图6)、MMP-2、MMP-3(图7)和NF-κB
p65(图9)术后各时间点的表达均显著弱于同期对照组,而TIMP-1则明显强于对照组。, 百拇医药