当前位置: 首页 > 医疗版 > 疾病专题 > 神经内科 > 脑血管病 > 短暂性脑缺血发作
编号:10654740
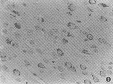
大鼠局灶性脑缺血后脑组织
http://www.100md.com 《中华神经科杂志》 2000年第1期
脑缺血|前列腺素内过氧化物合酶,关键词:
大鼠局灶性脑缺血后脑组织
大鼠局灶性脑缺血后脑组织

     环氧酶-2蛋白的表达张在强 龙洁 路敦跃 张在强(北京天坛医院神经内科100050 );龙洁(北京天坛医院神经内科100050 );路敦跃(北京天坛医院神经内科100050 ) 中华神经科杂志 2000 0 33 1


    关键词:脑缺血;前列腺素内过氧化物合酶 期刊 zhsjkzz 0 论著摘要 fur -->


    

摘 要 目的 观察大鼠持久性脑缺血不同时相过程中脑组织环氧酶-2蛋白的表达特性。方法 采用线栓法大鼠大脑中动脉阻塞模型,以尾壳核平面为模板,应用免疫组织化学方法观察假手术组及缺血1、4、12、24和48h组环氧酶-2蛋白阳性染色细胞的分布部位及数量。结果 正常对照组、假手术组、缺血1和4 h组均无阳性染色细胞,缺血12 h阳性染色细胞开始增多[(46±19)个/mm2 ],缺血24 h达到高峰[(70±14) 个/mm2 ],缺血48h阳性细胞数量减少[(41±13) 个/mm2 ],差异有显著意义。阳性染色细胞仅见于额顶部大脑皮质上部、扣带皮质中细胞形态完整的神经元及血管内皮细胞,而胶质细胞并无着色。结论 环氧酶-2蛋白主要由缺血半暗带的神经元和血管内皮细胞表达,缺血早期环氧酶-2蛋白并不表达,表达时间具有延迟性,提示其可能与迟发性神经元损伤有关

The expression ofcyclooxygenase-2 in focal cerebral ischemia in rats

ZHANGZaiqiang LONG Jie LU Dunyue

     ......


您现在查看是摘要页,全文长 11125 字符