九、胃肠的内分泌细胞
在胃、小肠与大肠的上皮与腺体中散在着种类繁多的内分泌细胞,其中尤以胃幽门部和十二指肠上段为多。由于胃肠道粘膜的面积巨大,这些细胞的总量超过其它内分泌腺腺细胞的总和。因此,在某种意义上,胃肠是体内最大、最复杂的内分泌器官。它们分泌的多种激素统称胃肠激素(gut hormone),一方面协调胃肠道自身的运动和分泌功能,也参与调节其它器官的活动。
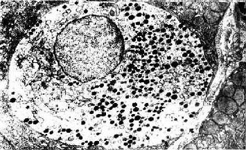
图12-23 小鼠肠腺内的APUD细胞 ×13200
↑基膜 (上海医科大学电镜室供图)
胃肠内分泌细胞大多单个地夹于其它上皮细胞之间,呈不甚规则的圆锥形。基底部附于基膜,并有基底侧突与邻近细胞相接触。胞质中含一些粗面内质网与高尔基复合体。细胞最显著的形态特点是底部胞质中含大量分泌颗粒,故又称基底颗粒细胞(basal granular cell)(图12-23)。分泌颗粒的大小、形状与电子密度依细胞类型而异。绝大部分细胞具有面向管腔的游离面,称开放型,游离面上有微绒毛伸出。此型细胞对管腔食物的刺激和pH变化等化学信息有较强的感受性,从而引起其内分泌活动的变化。少数细胞的顶部被相邻细胞覆盖而未露出腔面,称封闭型,主要受胃肠运动的机械刺激或其它激素的调节而改变其内分泌状态(图12-24)。分泌颗粒中含肽和(或)胺类激素,大多在细胞基底面释入固有层中的毛细血管,经血循环运送并作用于靶细胞;少数激素被释放后可直接作用于邻近细胞,以旁分泌方式调节靶细胞的生理功能。在HE染色切片上,胃肠内分泌细胞不易辩认;用铬或银盐浸染,少数种类的细胞可因其分泌颗粒具嗜铬性、嗜银性或亲银性而被显示。目前主要用免疫组织化学方法来显示这些细胞。
图12-24 消化管内分泌细胞模式图
示开放型(O)与封闭型(C)内分泌细胞
表12-1 胃肠内分泌细胞
| 细胞 名称 | 分 布 部 位 | 分 泌 物 | |
| 胃 | 肠 | ||
| D | 胃底、幽门 | 空肠、回肠、结肠 | 生长抑素(somatostatin) |
| D1 | 胃底、幽门 | 空肠、回肠、结肠 | 血管活性肠肽(vasoactive intestinal peptide VIP) |
| EC | 胃底、幽门 | 空肠、回肠、结肠 | 5-羟色胺(5-hydroxytryptamine,5-HT)、P物质(substance P) |
| ECL | 胃底 | 组胺(histamine) | |
| G | 幽门 | 十二指肠 | 胃泌素(gastrin) |
| I | 十二指肠、空肠 | 胆囊收缩素-促胰酶素(cholecystokinin-pancreozymin,CCK-PZ) | |
| K | 空肠、回肠 | 抑胃多肽(gastric inhibitory polypeptide,GIP) | |
| L | 空肠、回肠、结肠 | 肠高血糖素(enteroglucagon) | |
| M0 | 空肠、回肠 | 胃肠动素(motilin) | |
| N | 回肠 | 神经降压素(neurotensin) | |
| P | 胃底、幽门 | 空肠 | 蛙皮素(bombesin) |
| PP | 胃底、幽门 | 结肠 | 胰多肽(pancreatic polypeptide) |
| S | 十二指肠、空肠 | 促胰液素(secretin) | |
目前已知 余种胃肠内分泌细胞(表12-1),其中研究得比较清楚的有:①EC细胞,数量最多,分布广泛,在胃与空肠尤其丰富。分泌的5-羟色胺可刺激平滑肌收缩,与肠的运动有关,,尚可抑制胃酸分泌,扩张血管。②ECL细胞,仅分布于胃底腺,释放的组胺主要作用于邻近的壁细胞,刺激盐酸分泌。③G细胞,主要分布于胃幽门部,分泌的胃泌素对壁细胞的泌酸功能有强烈的刺激作用。④I细胞,多见于十二指肠和空肠,产生的激素兼有促进胰外分泌部的胰酶分泌和胆囊收缩的作用,故称为胆囊收缩素-促胰酶素。⑤S细胞,亦主要分布于十二指肠和空肠,产生的促胰液素可刺激胰导管上皮细胞分泌水和碳酸氢盐,导致胰液分泌量剧增,此外还能与G细胞相拮抗,抑制胃泌素的释放和胃酸的分泌
, 百拇医药