全肠外营养和腹腔内感染所致瘀胆的病理观察
作者:舒志军 黎介寿 周志韶 石群立 张太和
单位:舒志军 黎介寿 南京部队南京总医院腹部外科;周志韶 石群立 南京部队南京总医院病理科;张太和 南京部队南京总医院超微结构科
关键词:胃肠外高营养;腹腔;感染;病理学
中华医学杂志900811
摘要 本文介绍应用Wistar大鼠20只分成全肠外营养组和腹腔内感染组观察两组动物肝脏瘀胆病理变化情况。结果表明,10天后两组血清碱性磷酸酶、谷氨酰转肽酶及脂蛋白—X值均较实验前明显升高,光镜下腹腔感染组以肝小叶中间带及外侧带肝细胞变性为主,全肠外营养组则表现为肝小叶中央静脉扩张、肝窦扩张、Kupffer细胞增生、吞噬活跃。电镜下两组都有毛细胆管扩张,腹腔感染组微绒毛破坏较明显,全肠外营养组毛细胆管周围致密区扩大、胆色素颗粒增多、内质网扩张紊乱。
, 百拇医药
感染或内毒素血症常被认为是肝脏瘀胆的原因之一[1,2],全肠外营养(TPN)的长时间应用也会引起瘀胆[3],但其瘀胆的原因尚不清楚。本研究旨在比较两种情况下瘀胆时肝脏的病理改变,为探讨全肠外营养所致瘀胆的发生机制提供参考。
材料和方法
Wistar雌性成年大鼠20只,体重200~300g,随机分成2组。第1组为腹腔感染组,乙醚麻醉下行部腹术,4号丝线结扎盲肠四分之一,造成腹腔内脓肿,同时经右侧颈内静脉作前腔静脉置管。术后不输液,喂给标准颗粒饲料20g/d。第2组为TPN组,行剖腹术但不结扎盲肠,同样作前腔静脉置管。术后输入TPN液,提供非蛋白质热卡1×106J*kg-1/d,氮1.2kg-1/d。术后动物置代谢笼内,不限制活动,自由饮水,观察10天后处死。实验期间每日测定尿氮计算氮平衡。手术当时及处死前各抽静脉血2ml,查血清总胆红素、AKP(碱性磷酸酶)、γ-GT(谷氨酰转肽酶)、GPT(谷-丙转氨酶)及Lp-X(脂蛋白-X)。处死前再次剖腹,切取肝脏中叶组织块2份,1份固定于10%福尔马林液中,常规脱水、包埋,切片4μm厚,HE染色,光镜观察。1份取1mm3新鲜组织5~8块,2.5%戊二醛液固定,1%锇酸后固定2小时,逐级酒精、丙酮脱水,Epon812树脂包埋,切1μm厚切片,碱性复红染色,光镜下定位,LKBⅢ型超薄切片机切400~600
切片,JEM-1200 EX电镜观察。
, 百拇医药
结 果
两组之间每日氮平衡没有明显差异。TPN组动物第10天血清总胆红素有升高,两组血清AKP、γ-GT及LP-X值也有明显升高(表1),说明两组动物都有瘀胆的生化表现。
表1 血清总胆红素、LP-X、AKP、γ-GT值(
±
) 组别
鼠数
(只)
实验前
实验后
总胆红素
, 百拇医药
LP-X
AKP
γ-GT
总胆红素
LP-X
AKP
γ-GT
腹腔
感染组
10
3.9±1.1
0.014±0.006
106±18
, 百拇医药
1.8±0.7
4.9±0.8
0.083±0.017**
269±40**
4.7±0.9*
TPN组
10
7.9±1.7
0.018±0.006
134±20
2.0±0.5
15.6±2.1*
, 百拇医药
0.172±0.025**
1.9±15
5.9±0.9**
注:总胆红素:μmol/L,LP-X:g/L,AKP:U/L,γ-GT:U;实验前后比较,** P〈0.01 *P〈0.05
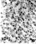
光镜下,两组动物肝脏病理改变的部位及性质有明显差异(表2)。腹腔感染动物病变主要在肝小叶中间带、外侧带,严重时呈现弥漫性病变(浆固缩变红或胞浆内凝固样块状物)及汇管区轻度非特异性炎症,个别病肝可见中间带大片的伊红性坏死(图1)。TPN支持动物病变主要在中央静脉周围,严重时累及整个肝小叶,以肝窦扩张,Kupffer细胞增生肥大、吞噬活跃为主要表现。肝窦扩张常伴有肝小叶中央静脉扩张,测量每一标本低估视野内5个,肝小叶中央静脉直径,TPN组平均直径显著大于腹腔感染组(93±6μm比45±3μm,t=7.103,P〈0.001)。铁反应及猩红染色发现在TPN组Kupffer细胞吞噬有含铁血红素、脂类及性质不明的物质(图2)。两组动物在光镜下都未出现小胆管及毛细胆管内胆栓。
, 百拇医药
表2 光镜下肝脏病理改变 组别
鼠数
(只)
病理特征
肝细胞变性
脂肪性变
汇管区炎症
中央静脉扩张
肝窦扩张
肝窦郁血
Kupffer
细胞增生
腹腔
, 百拇医药
感染组
10
+++~++++
+~+
+
TPN组
10
~+
+~++
+
++
++~++++
+~++
, 百拇医药
+~+++
注:轻度,++、+++ 中度,+++ 重度

图1 腹腔感染组动物肝脏示肝细胞弥漫性变性,胞浆疏松,正常排列结构消失HE×400
图2 全肠外营养组动物肝脏示肝小顺中央静脉周围肝窦内大量Kupffer细胞增生、肥大HE×400
电镜下,腹腔感染动物有毛细胞胆管扩张,微绒毛肿胀、缺失,线粒体嵴变细,排列紊乱,糖原颗粒减少等(图3)。TPN组动物表现毛细胆管扩张,其内有深色胆栓,扩张的毛细胆管周围致密区扩大,有散在的高电子密度颗粒,线粒体肿胀增生,滑面内质网扩张,排列紊乱,可见脂肪颗粒积聚(图4)。

, 百拇医药
图3 腹腔感染组电镜下示肝脏毛细胆管扩张,微绒毛缺失,线粒体嵴紊乱,糖原颗粒减少 ×2400
图4 全肠外营养组电镜下示肝脏毛细胆管扩张,周围有高电子密度颗粒,线粒体增生畸形,内质网扩张,排列紊乱 × 12000讨 论
全肠外营养引起瘀胆的原因还不明了,许多学者认为病人接受营养支持期间的禁食状态、营养物成份的不合理、早产、低出生体重以及感染等右可能对瘀胆的发生和发展起一定作用。有人甚至认为TPN病人出现血清胆红素和胆酸的升高与TPN本身无关,而是由感染因素造成[4]。本研究结果提示,腹腔内感染及TPN均有瘀胆的生化表现和组织学异常。但两者病理改变的部位及性质不相同。腹腔感染时病变先在肝小叶中间带及外侧带,以肝细胞变性为主要表现,严重时波及整个肝小叶。这可能与来自门静脉的细菌和毒素首先累及汇管区周围的肝细胞有关。而TPN支持的动物则先在肝小叶中央静脉周围出现肝窦扩张,Kupffer细胞增生肥大、吞噬活跃。说明感染与TPN的瘀胆有着不同的病理学基础,TPN期间的瘀胆不能单一由感染因素来解释。Latham[5]的研究指出TPN使用会导致瘀胆,而感染或内毒素血症会促使瘀胆更加严重。为何TPN组动物病变先在肝小叶中央静脉周围发生目前还不明确,可能与中央静脉周围肝细胞远离汇管区,处于相对低氧状态等有关。Rivera[6]的研究显示,大鼠接受TPN5天后有肝细胞胞浆浅染、透亮以及小囊样物质积聚等改变,病变也是以中央静脉周围肝细胞为明显。这与本研究的结果相符合。
, http://www.100md.com
两组动物在光镜下未出现毛细胆管或小胆管内瘀胆现象,但在电镜检查时能见到毛细胆管扩张,内含胆栓,并有微绒毛缺失、紊乱等表现,说明胆管扩张、胆汁郁滞并非最先出现的病理表现,这可解释为什么临床上瘀胆现象在长期使用TPN的病人中多见。Rivera[6]的研究持续5天,尽管已有胆汁流异常和肝细胞变性,也未见瘀胆的组织学表现。Sheldon[7]曾对一组病人作过连续观察,以现TPN应用后最早出现的病理表现是脂肪浸润,有一例甚至在TPN应用后48小时就有广泛的肝脂变,10天后脂变逐渐减轻,而表现为胆汁郁积(胆栓),20天以上的病例瘀胆加重,并有胆管增殖;30天以上时有慢性汇管区炎症,严重病例出现早期肝硬化改变。这说明随着TPN时间延长,肝脏组织也在发生变化,瘀胆是TPN达一定时间后出现的严重表现,是肝脏受损害的反映之一。
根据本研究的结果,我们推测由门静脉进入肝内的营养物成份及性质的变化、肝营养因子如胰岛素等浓度的下降或非生理性补充、sIgA肠肝循环减少等可能先导致肝小叶中那些脆性较大的肝细胞(小叶中央肝细胞)发生病变,从而影响胆汁流。此外,肝细胞对脂肪乳滴、氨基酸等的“陌生”,导致Kupffer细胞大量增生、吞噬,可能也对瘀胆的发生起作用。因此,在TPN情况下机体得到了高营养而肝脏却处于“低营养、高负荷”状态,这可解释为什么后期会出现肝硬化表现。但这些推测有待证实。
, 百拇医药
本研究提示,TPN支持时动物瘀胆与腹腔感染时瘀胆的肝脏病理改变,不论在部位或性质上都不一样,腹腔感染不有单一用来解释TPN瘀胆。瘀胆仅是TPN时肝脏受损的多个表现之一,TPN时肝损害的原因及机制尚待进一步探讨。
参考文献
1. Bernstein J, Brown AK Sepsis and jaundice in early infancy. Pediatrics 1962;29:873.
2. Hargreaves T. Neonatal jaundice from sepsis, Br Med J 1964;1:371.
3. 舒志军,黎介寿.完全胃肠外营养与胆汁郁积.病因与发病机制.国外医学外科学分册 1987;14:265.
4. Manginello FP, Javitt NB. Parenteral nutrition and neonatal cholestasis J Pediatr 1979;94:296.
, 百拇医药
5. Latham PS, Menkes E. Hyperalimentation associated jaundice: an example of a serum factor inducing cholestasis in rats. Am J Clin Nutr 1985;41:61.
6. Rivera A, et al. In vivo biliary function in the adult rat: the effect of parenteral glucose and amino acids JPEN 1989;13:240.
7. Sheldon GF, et al. Hepatic dysfunction during hyperalimentation. Arch Surg 1978;113:504.
(1989年12月27日收稿 1990年5月9日修回), 百拇医药
单位:舒志军 黎介寿 南京部队南京总医院腹部外科;周志韶 石群立 南京部队南京总医院病理科;张太和 南京部队南京总医院超微结构科
关键词:胃肠外高营养;腹腔;感染;病理学
中华医学杂志900811
摘要 本文介绍应用Wistar大鼠20只分成全肠外营养组和腹腔内感染组观察两组动物肝脏瘀胆病理变化情况。结果表明,10天后两组血清碱性磷酸酶、谷氨酰转肽酶及脂蛋白—X值均较实验前明显升高,光镜下腹腔感染组以肝小叶中间带及外侧带肝细胞变性为主,全肠外营养组则表现为肝小叶中央静脉扩张、肝窦扩张、Kupffer细胞增生、吞噬活跃。电镜下两组都有毛细胆管扩张,腹腔感染组微绒毛破坏较明显,全肠外营养组毛细胆管周围致密区扩大、胆色素颗粒增多、内质网扩张紊乱。
, 百拇医药
感染或内毒素血症常被认为是肝脏瘀胆的原因之一[1,2],全肠外营养(TPN)的长时间应用也会引起瘀胆[3],但其瘀胆的原因尚不清楚。本研究旨在比较两种情况下瘀胆时肝脏的病理改变,为探讨全肠外营养所致瘀胆的发生机制提供参考。
材料和方法
Wistar雌性成年大鼠20只,体重200~300g,随机分成2组。第1组为腹腔感染组,乙醚麻醉下行部腹术,4号丝线结扎盲肠四分之一,造成腹腔内脓肿,同时经右侧颈内静脉作前腔静脉置管。术后不输液,喂给标准颗粒饲料20g/d。第2组为TPN组,行剖腹术但不结扎盲肠,同样作前腔静脉置管。术后输入TPN液,提供非蛋白质热卡1×106J*kg-1/d,氮1.2kg-1/d。术后动物置代谢笼内,不限制活动,自由饮水,观察10天后处死。实验期间每日测定尿氮计算氮平衡。手术当时及处死前各抽静脉血2ml,查血清总胆红素、AKP(碱性磷酸酶)、γ-GT(谷氨酰转肽酶)、GPT(谷-丙转氨酶)及Lp-X(脂蛋白-X)。处死前再次剖腹,切取肝脏中叶组织块2份,1份固定于10%福尔马林液中,常规脱水、包埋,切片4μm厚,HE染色,光镜观察。1份取1mm3新鲜组织5~8块,2.5%戊二醛液固定,1%锇酸后固定2小时,逐级酒精、丙酮脱水,Epon812树脂包埋,切1μm厚切片,碱性复红染色,光镜下定位,LKBⅢ型超薄切片机切400~600
, 百拇医药
结 果
两组之间每日氮平衡没有明显差异。TPN组动物第10天血清总胆红素有升高,两组血清AKP、γ-GT及LP-X值也有明显升高(表1),说明两组动物都有瘀胆的生化表现。
表1 血清总胆红素、LP-X、AKP、γ-GT值(
鼠数
(只)
实验前
实验后
总胆红素
, 百拇医药
LP-X
AKP
γ-GT
总胆红素
LP-X
AKP
γ-GT
腹腔
感染组
10
3.9±1.1
0.014±0.006
106±18
, 百拇医药
1.8±0.7
4.9±0.8
0.083±0.017**
269±40**
4.7±0.9*
TPN组
10
7.9±1.7
0.018±0.006
134±20
2.0±0.5
15.6±2.1*
, 百拇医药
0.172±0.025**
1.9±15
5.9±0.9**
注:总胆红素:μmol/L,LP-X:g/L,AKP:U/L,γ-GT:U;实验前后比较,** P〈0.01 *P〈0.05
光镜下,两组动物肝脏病理改变的部位及性质有明显差异(表2)。腹腔感染动物病变主要在肝小叶中间带、外侧带,严重时呈现弥漫性病变(浆固缩变红或胞浆内凝固样块状物)及汇管区轻度非特异性炎症,个别病肝可见中间带大片的伊红性坏死(图1)。TPN支持动物病变主要在中央静脉周围,严重时累及整个肝小叶,以肝窦扩张,Kupffer细胞增生肥大、吞噬活跃为主要表现。肝窦扩张常伴有肝小叶中央静脉扩张,测量每一标本低估视野内5个,肝小叶中央静脉直径,TPN组平均直径显著大于腹腔感染组(93±6μm比45±3μm,t=7.103,P〈0.001)。铁反应及猩红染色发现在TPN组Kupffer细胞吞噬有含铁血红素、脂类及性质不明的物质(图2)。两组动物在光镜下都未出现小胆管及毛细胆管内胆栓。
, 百拇医药
表2 光镜下肝脏病理改变 组别
鼠数
(只)
病理特征
肝细胞变性
脂肪性变
汇管区炎症
中央静脉扩张
肝窦扩张
肝窦郁血
Kupffer
细胞增生
腹腔
, 百拇医药
感染组
10
+++~++++
+~+
+
TPN组
10
~+
+~++
+
++
++~++++
+~++
, 百拇医药
+~+++
注:轻度,++、+++ 中度,+++ 重度
图1 腹腔感染组动物肝脏示肝细胞弥漫性变性,胞浆疏松,正常排列结构消失HE×400
图2 全肠外营养组动物肝脏示肝小顺中央静脉周围肝窦内大量Kupffer细胞增生、肥大HE×400
电镜下,腹腔感染动物有毛细胞胆管扩张,微绒毛肿胀、缺失,线粒体嵴变细,排列紊乱,糖原颗粒减少等(图3)。TPN组动物表现毛细胆管扩张,其内有深色胆栓,扩张的毛细胆管周围致密区扩大,有散在的高电子密度颗粒,线粒体肿胀增生,滑面内质网扩张,排列紊乱,可见脂肪颗粒积聚(图4)。
, 百拇医药
图3 腹腔感染组电镜下示肝脏毛细胆管扩张,微绒毛缺失,线粒体嵴紊乱,糖原颗粒减少 ×2400
图4 全肠外营养组电镜下示肝脏毛细胆管扩张,周围有高电子密度颗粒,线粒体增生畸形,内质网扩张,排列紊乱 × 12000讨 论
全肠外营养引起瘀胆的原因还不明了,许多学者认为病人接受营养支持期间的禁食状态、营养物成份的不合理、早产、低出生体重以及感染等右可能对瘀胆的发生和发展起一定作用。有人甚至认为TPN病人出现血清胆红素和胆酸的升高与TPN本身无关,而是由感染因素造成[4]。本研究结果提示,腹腔内感染及TPN均有瘀胆的生化表现和组织学异常。但两者病理改变的部位及性质不相同。腹腔感染时病变先在肝小叶中间带及外侧带,以肝细胞变性为主要表现,严重时波及整个肝小叶。这可能与来自门静脉的细菌和毒素首先累及汇管区周围的肝细胞有关。而TPN支持的动物则先在肝小叶中央静脉周围出现肝窦扩张,Kupffer细胞增生肥大、吞噬活跃。说明感染与TPN的瘀胆有着不同的病理学基础,TPN期间的瘀胆不能单一由感染因素来解释。Latham[5]的研究指出TPN使用会导致瘀胆,而感染或内毒素血症会促使瘀胆更加严重。为何TPN组动物病变先在肝小叶中央静脉周围发生目前还不明确,可能与中央静脉周围肝细胞远离汇管区,处于相对低氧状态等有关。Rivera[6]的研究显示,大鼠接受TPN5天后有肝细胞胞浆浅染、透亮以及小囊样物质积聚等改变,病变也是以中央静脉周围肝细胞为明显。这与本研究的结果相符合。
, http://www.100md.com
两组动物在光镜下未出现毛细胆管或小胆管内瘀胆现象,但在电镜检查时能见到毛细胆管扩张,内含胆栓,并有微绒毛缺失、紊乱等表现,说明胆管扩张、胆汁郁滞并非最先出现的病理表现,这可解释为什么临床上瘀胆现象在长期使用TPN的病人中多见。Rivera[6]的研究持续5天,尽管已有胆汁流异常和肝细胞变性,也未见瘀胆的组织学表现。Sheldon[7]曾对一组病人作过连续观察,以现TPN应用后最早出现的病理表现是脂肪浸润,有一例甚至在TPN应用后48小时就有广泛的肝脂变,10天后脂变逐渐减轻,而表现为胆汁郁积(胆栓),20天以上的病例瘀胆加重,并有胆管增殖;30天以上时有慢性汇管区炎症,严重病例出现早期肝硬化改变。这说明随着TPN时间延长,肝脏组织也在发生变化,瘀胆是TPN达一定时间后出现的严重表现,是肝脏受损害的反映之一。
根据本研究的结果,我们推测由门静脉进入肝内的营养物成份及性质的变化、肝营养因子如胰岛素等浓度的下降或非生理性补充、sIgA肠肝循环减少等可能先导致肝小叶中那些脆性较大的肝细胞(小叶中央肝细胞)发生病变,从而影响胆汁流。此外,肝细胞对脂肪乳滴、氨基酸等的“陌生”,导致Kupffer细胞大量增生、吞噬,可能也对瘀胆的发生起作用。因此,在TPN情况下机体得到了高营养而肝脏却处于“低营养、高负荷”状态,这可解释为什么后期会出现肝硬化表现。但这些推测有待证实。
, 百拇医药
本研究提示,TPN支持时动物瘀胆与腹腔感染时瘀胆的肝脏病理改变,不论在部位或性质上都不一样,腹腔感染不有单一用来解释TPN瘀胆。瘀胆仅是TPN时肝脏受损的多个表现之一,TPN时肝损害的原因及机制尚待进一步探讨。
参考文献
1. Bernstein J, Brown AK Sepsis and jaundice in early infancy. Pediatrics 1962;29:873.
2. Hargreaves T. Neonatal jaundice from sepsis, Br Med J 1964;1:371.
3. 舒志军,黎介寿.完全胃肠外营养与胆汁郁积.病因与发病机制.国外医学外科学分册 1987;14:265.
4. Manginello FP, Javitt NB. Parenteral nutrition and neonatal cholestasis J Pediatr 1979;94:296.
, 百拇医药
5. Latham PS, Menkes E. Hyperalimentation associated jaundice: an example of a serum factor inducing cholestasis in rats. Am J Clin Nutr 1985;41:61.
6. Rivera A, et al. In vivo biliary function in the adult rat: the effect of parenteral glucose and amino acids JPEN 1989;13:240.
7. Sheldon GF, et al. Hepatic dysfunction during hyperalimentation. Arch Surg 1978;113:504.
(1989年12月27日收稿 1990年5月9日修回), 百拇医药