一氧化氮与血吸虫病肝损伤发病机制的关系研究*
作者:杨志伟 杨镇 彭林 裘法祖
单位:同济医科大学附属同济医院外科,武汉 430030
关键词:一氧化氮;肝损伤;血吸虫病
同济医科大学学报990213 摘要 为了研究一氧化氮在血吸虫病肝损伤发病中的作用,采用S-P免疫组织化学法,观察家兔(n=40)经皮肤感染血吸虫尾蚴后8、12、16、20、24周家兔肝诱导型一氧化氮合成酶(iNOS)和巨噬细胞(CD68)的免疫组织化学表达与定位。结果显示,血吸虫病家兔肝的虫卵肉芽周围、门静脉分支管壁、肝窦壁、中央静脉壁有iNOS和CD68阳性免疫反应物, 肝细胞内有iNOS阳性免疫反应物。正常家兔肝脏iNOS和CD68 免疫组织化学染色均为阴性。认为一氧化氮在血吸虫肉芽形成及肝脏微循环障碍中具有重要作用。
中图法分类号 Q55, R329.2, R532.21
, http://www.100md.com
The Role of Nitric Oxide on the Schistosomiasis Hepatic Damage
Yang Zhiwei, Yang Zhen, Peng Lin et al
Department of Surgery, Tongji Hospital, Tongji Medical University, Wuhan 430030
Abstract In order to study the role of nitric oxide in the schistosomiasis hepatic damage, the rabbits (n=40) were infected with cercariae of schistosoma japonicum percutaneously. Using S-P immunohistochemical technique, the expression and localization of iNOS and CD68 in rabbit liver 8, 12, 16, 20, 24 weeks after infection were observed. The positive immunohistochemical stain of iNOS and CD68 were found in ova granuloma, the wall of portal vein branch,hepatic sinusoid and central vein in rabbits infected with schistosoma japonicum. The positive immunohistochemical stain of iNOS was seen in hepatic cells in rabbits infected with schistosoma japonicum. The immunohistochemical stain of iNOS and CD68 were negative in normal rabbits. It was deduced that NO might play an important role in the formation of schistosomiasis ova granuloma and disturbance of liver microcirculation.
, http://www.100md.com
Key words nitric oxide; hepatic damage; schistosomiasis
一氧化氮(NO)是一种活性很强的自由基气体,在感染时有保护和损伤宿主的双重作用。巨噬细胞等诱导后释放NO,主要作为细胞毒性和免疫信息分子,具有杀伤、清除和免疫调节作用。[1] 本文采用免疫组织化学方法,研究血吸虫病家兔肝内诱导型NO合成酶(iNOS)和巨噬细胞(CD68)的表达与分布,旨在探讨NO与血吸虫病肝损伤的关系。
1 材料与方法
1.1 建立日本血吸虫病兔模型
大耳白兔40只(由同济医科大学实验动物学部提供),雌雄兼用,体重1.5~2.0 kg。腹部敷贴法感染尾蚴,(200±3)条/只,造成急性感染。尾蚴采自湖北钉螺(oncomelania hupensis sinensis)。感染后8、12、16、20、24周随机各取5只动物供实验用。以正常家兔为对照组。
, http://www.100md.com
1.2 取材方法
动物麻醉后剖腹取肝组织,100 ml/L福尔马林固定24 h,常规脱水、透明、浸蜡和石蜡包埋。浸蜡和包埋温度控制在65 ℃以下,以防破坏组织的抗原性。连续切片,厚4 μm,分别作H.E、Masson三色染色和免疫组织化学染色,光学显微镜下观察。
1.3 免疫组织化学染色
采用S-P法,一抗为iNOS多克隆抗体和CD68 单克隆抗体,工作浓度为1∶50。一抗及S-P试剂盒由北京中山试剂公司提供。染色步骤按S-P试剂盒说明书进行,DAB显色,棕褐色为阳性染色。苏木素复染。同时设阳性替代片、阴性替代片和空白替代片对照显色。
免疫组织化学半定量显色抗体:按显色深度和阳性颗粒的粗细、数量分为3级:显色略高于背景、阳性颗粒细而少为弱阳性;显色明显、阳性颗粒粗而多为强阳性;介于二者之间的为中度阳性。肝细胞和巨噬细胞以胞浆内出现棕色颗粒为阳性染色。
, 百拇医药
2 结 果
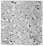
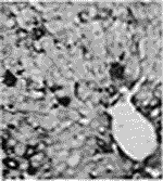
经病理解剖证实,家兔感染血吸虫尾蚴后均形成了日本血吸虫病动物模型。感染血吸虫尾蚴8、12、16、20、24周的家兔肝内均见有虫卵肉芽肿,并逐渐形成肝纤维化。虫卵肉芽肿内及其周围围绕有大量炎性细胞(图1)。 iNOS免疫组织化学染色结果:正常家兔iNOS免疫组织化学染色呈阴性反应(图2)。感染血吸虫尾蚴8~24周家兔肝内均有iNOS阳性反应物,位于虫卵肉芽肿内及其周围(图3)、肝窦型(图4)和肝细胞内(图5)。 巨噬细胞(CD68 )免疫组织化学染色:正常家兔肝内无CD68 阳性染色细胞。感染血吸虫尾蚴8~24周的家兔肝内均见有CD68 阳性染色细胞,其阳性染色的微细颗粒位于巨噬细胞的胞浆内。CD68 阳性染色细胞主要位于虫卵肉芽肿内及其周围(图6)、肝窦壁(图7)、肝内门静脉分支管壁(图8)和中央静脉壁(图9)。
, 百拇医药
图1 虫卵肉芽肿及其周围有大量炎性细胞
图2 正常家兔iNOS免疫组织化学染色阴性
图3 虫卵肉芽肿内及其周围有iNOS阻性反应物
图4 肝窦管内有iNOS阻性反应物
图5 肝细胞内有iNOS阻性反应物
, http://www.100md.com
图6 位于虫卵肉芽肿内及其周围的CD68阳性染色细胞
图7 位于肝窦内的CD68阳性染色细胞
图8 位于肝内门静脉分支管壁的CD68阳性染色细胞
图9 位于中央静脉壁的CD68阳性染色细胞
3 讨 论
NO合成酶在肝脏中存在有两种形式,一是血管、肝窦等内皮细胞中的原生型NOS(cNOS),另一种是肝细胞和枯否细胞中的诱导型NOS(iNOS)。其中iNOS合成的NO与免疫及细胞毒性有关[2]。从血吸虫病肝组织中直接测定NO在技术上有困难,故采用免疫组织化学方法半定量分析iNOS在血吸虫病兔肝的表达及分布。其活性变化能直接调节NO的生成量及其生物学效应,它还具有免疫组织化学定位的特点,可显示NO与肝损伤的关系。根据本文的结果,iNOS在血吸虫病兔肝的虫卵肉芽肿周围和肝内血管壁呈强阳性表达,提示NO与这些部位的肝损害有关。
, http://www.100md.com
3.1 参与血吸虫肉芽肿的形成
本实验发现,在血吸虫病家兔肝虫卵肉芽肿周围有iNOS和CD68 强阳性反应物,表明这里亦有大量NO。我们曾发现虫卵肉芽肿周围聚积有巨噬细胞、肥大细胞等[3] ,并有肿瘤坏死因子α(TNFα)和表皮生长因子 (EGF)存在[4,5] 。 故我们提出以下设想:虫卵进入肝内释放可溶性抗原,使巨噬细胞聚积并致敏。致敏的巨噬细胞再次接触抗原后释放 TNF等细胞因子, 已知这些细胞因子可诱导NO合成[6] 。在TNF等细胞因子的促进下,经iNOS催化,虫卵周围聚积的巨噬细胞合成大量NO。一方面NO可杀伤血吸虫卵,属于宿主的一种非特异性防御反应,另一方面NO又可损伤肝细胞,出现肝毒性作用。NO在血吸虫病肝脏免疫病理性损伤中的作用是不容忽视的。
3.2 损伤肝细胞和肝内血管壁的内皮细胞
, http://www.100md.com
本文发现血吸虫病兔肝的肝细胞内,以及门静脉分支管壁、肝窦壁、中央静脉壁均有iNOS阳性反应物,而且,上述血管壁亦有巨噬细胞聚积。表明不仅虫卵肉芽肿周围,而且整个肝微循环均有巨噬细胞侵犯。在血吸虫及其虫卵所释放的毒性物质作用下,聚积的巨噬细胞、内皮细胞和肝细胞等以L-精氨酸为底物合成NO。NO在肝硬变门静脉高压所致的血液动力学失调中起重要作用[7] ,并可直接损伤血管内皮细胞、肝细胞。我们曾发现氧自由基是造成血吸虫病肝损伤的活性介质之一[8] ,有证据表明,NOS中与活性氧自由基反应形成毒性更强的自由基[2] ,从而造成肝微循环障碍,使肝内血流阻力增加及导致门静脉压力增高,并对肝细胞产生毒性。NO是否能直接或间接促进肝纤维的形成与发展,有待深入研究。
*国家自然科学基金资助项目(No.39470685)
作者简介:杨志伟,男,1964年生,主治医师。现址:深圳市宝安区人民医院外科,深圳 518101
, 百拇医药
参考文献
1 Moncada S, Palmer R M J, Higgs E A. Nitric oxide: physiology,pathophysiology and pharmacology. Pharmacol Rev, 1991,43:109
2 王根生,刘耕陶.一氧化氮与肝细胞损伤.中华医学杂志,1995,75(1): 57
3 杨 镇,杨榕光,刘仁则等.肝脏微循环障碍在血吸虫性门脉高压症 发病中的意义.中华医学杂志,1993,73(1):72
4 杨 镇,刘仁则,杨榕光等.肿瘤坏因子α在急性血吸虫病小鼠肝脏 表达的免疫组织化学观察.中华实验外科杂志,1996,13(2):131
5 杨 镇,汪国斌,蔡红娇等.血吸虫病肝脏表皮生长因子的免疫组织 化学观察.中华外科杂志,1995,33(2):127
, 百拇医药
6 Curran R D, Billiar T R, Stuehr D J et al. Mutiple cytokines are required to induce hepatocyte nitric oxide production and inhibit total protein synthesis. Ann Surg, 1990,212:462
7 Kuo P C, Rebecca A, Schroedr D et al. The emerging multifaceted roles of nitric oxide. Ann Surg,1994,221: 220
8 杨 镇,裘法祖,阮幼冰等.自由基反应与血吸虫病肝超微结构损伤. 同济医科大学学报,1992,21(4):361
收稿日期:1997-09-09, 百拇医药
单位:同济医科大学附属同济医院外科,武汉 430030
关键词:一氧化氮;肝损伤;血吸虫病
同济医科大学学报990213 摘要 为了研究一氧化氮在血吸虫病肝损伤发病中的作用,采用S-P免疫组织化学法,观察家兔(n=40)经皮肤感染血吸虫尾蚴后8、12、16、20、24周家兔肝诱导型一氧化氮合成酶(iNOS)和巨噬细胞(CD68)的免疫组织化学表达与定位。结果显示,血吸虫病家兔肝的虫卵肉芽周围、门静脉分支管壁、肝窦壁、中央静脉壁有iNOS和CD68阳性免疫反应物, 肝细胞内有iNOS阳性免疫反应物。正常家兔肝脏iNOS和CD68 免疫组织化学染色均为阴性。认为一氧化氮在血吸虫肉芽形成及肝脏微循环障碍中具有重要作用。
中图法分类号 Q55, R329.2, R532.21
, http://www.100md.com
The Role of Nitric Oxide on the Schistosomiasis Hepatic Damage
Yang Zhiwei, Yang Zhen, Peng Lin et al
Department of Surgery, Tongji Hospital, Tongji Medical University, Wuhan 430030
Abstract In order to study the role of nitric oxide in the schistosomiasis hepatic damage, the rabbits (n=40) were infected with cercariae of schistosoma japonicum percutaneously. Using S-P immunohistochemical technique, the expression and localization of iNOS and CD68 in rabbit liver 8, 12, 16, 20, 24 weeks after infection were observed. The positive immunohistochemical stain of iNOS and CD68 were found in ova granuloma, the wall of portal vein branch,hepatic sinusoid and central vein in rabbits infected with schistosoma japonicum. The positive immunohistochemical stain of iNOS was seen in hepatic cells in rabbits infected with schistosoma japonicum. The immunohistochemical stain of iNOS and CD68 were negative in normal rabbits. It was deduced that NO might play an important role in the formation of schistosomiasis ova granuloma and disturbance of liver microcirculation.
, http://www.100md.com
Key words nitric oxide; hepatic damage; schistosomiasis
一氧化氮(NO)是一种活性很强的自由基气体,在感染时有保护和损伤宿主的双重作用。巨噬细胞等诱导后释放NO,主要作为细胞毒性和免疫信息分子,具有杀伤、清除和免疫调节作用。[1] 本文采用免疫组织化学方法,研究血吸虫病家兔肝内诱导型NO合成酶(iNOS)和巨噬细胞(CD68)的表达与分布,旨在探讨NO与血吸虫病肝损伤的关系。
1 材料与方法
1.1 建立日本血吸虫病兔模型
大耳白兔40只(由同济医科大学实验动物学部提供),雌雄兼用,体重1.5~2.0 kg。腹部敷贴法感染尾蚴,(200±3)条/只,造成急性感染。尾蚴采自湖北钉螺(oncomelania hupensis sinensis)。感染后8、12、16、20、24周随机各取5只动物供实验用。以正常家兔为对照组。
, http://www.100md.com
1.2 取材方法
动物麻醉后剖腹取肝组织,100 ml/L福尔马林固定24 h,常规脱水、透明、浸蜡和石蜡包埋。浸蜡和包埋温度控制在65 ℃以下,以防破坏组织的抗原性。连续切片,厚4 μm,分别作H.E、Masson三色染色和免疫组织化学染色,光学显微镜下观察。
1.3 免疫组织化学染色
采用S-P法,一抗为iNOS多克隆抗体和CD68 单克隆抗体,工作浓度为1∶50。一抗及S-P试剂盒由北京中山试剂公司提供。染色步骤按S-P试剂盒说明书进行,DAB显色,棕褐色为阳性染色。苏木素复染。同时设阳性替代片、阴性替代片和空白替代片对照显色。
免疫组织化学半定量显色抗体:按显色深度和阳性颗粒的粗细、数量分为3级:显色略高于背景、阳性颗粒细而少为弱阳性;显色明显、阳性颗粒粗而多为强阳性;介于二者之间的为中度阳性。肝细胞和巨噬细胞以胞浆内出现棕色颗粒为阳性染色。
, 百拇医药
2 结 果
经病理解剖证实,家兔感染血吸虫尾蚴后均形成了日本血吸虫病动物模型。感染血吸虫尾蚴8、12、16、20、24周的家兔肝内均见有虫卵肉芽肿,并逐渐形成肝纤维化。虫卵肉芽肿内及其周围围绕有大量炎性细胞(图1)。 iNOS免疫组织化学染色结果:正常家兔iNOS免疫组织化学染色呈阴性反应(图2)。感染血吸虫尾蚴8~24周家兔肝内均有iNOS阳性反应物,位于虫卵肉芽肿内及其周围(图3)、肝窦型(图4)和肝细胞内(图5)。 巨噬细胞(CD68 )免疫组织化学染色:正常家兔肝内无CD68 阳性染色细胞。感染血吸虫尾蚴8~24周的家兔肝内均见有CD68 阳性染色细胞,其阳性染色的微细颗粒位于巨噬细胞的胞浆内。CD68 阳性染色细胞主要位于虫卵肉芽肿内及其周围(图6)、肝窦壁(图7)、肝内门静脉分支管壁(图8)和中央静脉壁(图9)。
, 百拇医药
图1 虫卵肉芽肿及其周围有大量炎性细胞
图2 正常家兔iNOS免疫组织化学染色阴性
图3 虫卵肉芽肿内及其周围有iNOS阻性反应物
图4 肝窦管内有iNOS阻性反应物
图5 肝细胞内有iNOS阻性反应物
, http://www.100md.com
图6 位于虫卵肉芽肿内及其周围的CD68阳性染色细胞
图7 位于肝窦内的CD68阳性染色细胞
图8 位于肝内门静脉分支管壁的CD68阳性染色细胞
图9 位于中央静脉壁的CD68阳性染色细胞
3 讨 论
NO合成酶在肝脏中存在有两种形式,一是血管、肝窦等内皮细胞中的原生型NOS(cNOS),另一种是肝细胞和枯否细胞中的诱导型NOS(iNOS)。其中iNOS合成的NO与免疫及细胞毒性有关[2]。从血吸虫病肝组织中直接测定NO在技术上有困难,故采用免疫组织化学方法半定量分析iNOS在血吸虫病兔肝的表达及分布。其活性变化能直接调节NO的生成量及其生物学效应,它还具有免疫组织化学定位的特点,可显示NO与肝损伤的关系。根据本文的结果,iNOS在血吸虫病兔肝的虫卵肉芽肿周围和肝内血管壁呈强阳性表达,提示NO与这些部位的肝损害有关。
, http://www.100md.com
3.1 参与血吸虫肉芽肿的形成
本实验发现,在血吸虫病家兔肝虫卵肉芽肿周围有iNOS和CD68 强阳性反应物,表明这里亦有大量NO。我们曾发现虫卵肉芽肿周围聚积有巨噬细胞、肥大细胞等[3] ,并有肿瘤坏死因子α(TNFα)和表皮生长因子 (EGF)存在[4,5] 。 故我们提出以下设想:虫卵进入肝内释放可溶性抗原,使巨噬细胞聚积并致敏。致敏的巨噬细胞再次接触抗原后释放 TNF等细胞因子, 已知这些细胞因子可诱导NO合成[6] 。在TNF等细胞因子的促进下,经iNOS催化,虫卵周围聚积的巨噬细胞合成大量NO。一方面NO可杀伤血吸虫卵,属于宿主的一种非特异性防御反应,另一方面NO又可损伤肝细胞,出现肝毒性作用。NO在血吸虫病肝脏免疫病理性损伤中的作用是不容忽视的。
3.2 损伤肝细胞和肝内血管壁的内皮细胞
, http://www.100md.com
本文发现血吸虫病兔肝的肝细胞内,以及门静脉分支管壁、肝窦壁、中央静脉壁均有iNOS阳性反应物,而且,上述血管壁亦有巨噬细胞聚积。表明不仅虫卵肉芽肿周围,而且整个肝微循环均有巨噬细胞侵犯。在血吸虫及其虫卵所释放的毒性物质作用下,聚积的巨噬细胞、内皮细胞和肝细胞等以L-精氨酸为底物合成NO。NO在肝硬变门静脉高压所致的血液动力学失调中起重要作用[7] ,并可直接损伤血管内皮细胞、肝细胞。我们曾发现氧自由基是造成血吸虫病肝损伤的活性介质之一[8] ,有证据表明,NOS中与活性氧自由基反应形成毒性更强的自由基[2] ,从而造成肝微循环障碍,使肝内血流阻力增加及导致门静脉压力增高,并对肝细胞产生毒性。NO是否能直接或间接促进肝纤维的形成与发展,有待深入研究。
*国家自然科学基金资助项目(No.39470685)
作者简介:杨志伟,男,1964年生,主治医师。现址:深圳市宝安区人民医院外科,深圳 518101
, 百拇医药
参考文献
1 Moncada S, Palmer R M J, Higgs E A. Nitric oxide: physiology,pathophysiology and pharmacology. Pharmacol Rev, 1991,43:109
2 王根生,刘耕陶.一氧化氮与肝细胞损伤.中华医学杂志,1995,75(1): 57
3 杨 镇,杨榕光,刘仁则等.肝脏微循环障碍在血吸虫性门脉高压症 发病中的意义.中华医学杂志,1993,73(1):72
4 杨 镇,刘仁则,杨榕光等.肿瘤坏因子α在急性血吸虫病小鼠肝脏 表达的免疫组织化学观察.中华实验外科杂志,1996,13(2):131
5 杨 镇,汪国斌,蔡红娇等.血吸虫病肝脏表皮生长因子的免疫组织 化学观察.中华外科杂志,1995,33(2):127
, 百拇医药
6 Curran R D, Billiar T R, Stuehr D J et al. Mutiple cytokines are required to induce hepatocyte nitric oxide production and inhibit total protein synthesis. Ann Surg, 1990,212:462
7 Kuo P C, Rebecca A, Schroedr D et al. The emerging multifaceted roles of nitric oxide. Ann Surg,1994,221: 220
8 杨 镇,裘法祖,阮幼冰等.自由基反应与血吸虫病肝超微结构损伤. 同济医科大学学报,1992,21(4):361
收稿日期:1997-09-09, 百拇医药