糖原贮积症伴脂质贮积症
作者:陈振斌 黄炼红 张文敏 梁 平 陈莲云
单位:陈振斌,梁平,陈莲云:福建医科大学电子显微镜室(福州 350004);黄炼红:福建省立医院内科;张文敏:福建医科大学病理解剖学教研室
关键词:糖原贮积症;脂质贮积症;病理
福建医科大学学报990417
目的 探讨糖原贮积症伴脂质贮积症的临床与病理特点。 方法 报告1例患者,结合文献复习,描述其临床与病理特征。 结果 本病多见于婴儿或青少年女性,进行性或反复性广泛性肌张力减低,四肢近端肌无力或萎缩,可伴有肌肉酸痛。病理特点为肌纤维出现弥漫性空泡,Ⅰ型肌纤维受累可比Ⅱ型肌纤维明显,电镜下发现糖原和脂滴贮积于肌纤维内。 结论 当患者因条件受限、无法进行生化检查时,光、电镜结合的活检肌组织形态学观察有助于诊断。
, 百拇医药 Glycogen Storage Disease Associated with Lipid Storage Myopathy
Chen Zhenbin1, Huang Lianhong2, Zhang Wenmin3, et al
(1.Laboratory of Electron Microscopy, Fujian Medical University, Fuzhou, 350004
2.Department of Medicine, Fujian Provincial Hospital, Fuzhou, 350001
3.Department of Pathology, Fujian Medical university, Fuzhou, 350004)
, 百拇医药
Objective To investigate the clinical and pathological characteristics of glycogen storage disease associated with lipid storage myopathy. Methods The clinical and pathological features of this disease were described in detail and past references were reviewed. Result The clinical characteristics of this disease are a progressive or recurrent episodes of generalized hypotonia, weakness or atrophy of proximal muscle of limb or pain, and this disease is most seen in female infant or juvenile. The pathological characteristic is a vacuolation of muscle fiber. Fiber type Ⅰ may more severely vacuolated than those of type Ⅱ. Vacuoles are composed of glycogen and lipid under electron microscopy. Conclusion The combination of histopathology and ultrastructural pathology may contribute to diagnosis this disease under no histochemistry examination .
, http://www.100md.com
Key words lipid storage myopathy; glycogen storage disease; pathology
糖原贮积症伴脂质贮积症为一种先天性代谢性肌病,目前文献仅发现3例。笔者报告1例经光、电镜观察而确诊。现结合文献分析临床和病理特征,以进一步探讨其形态学诊断问题。
1 临床资料
患者女性,17岁,于8年前无明显诱因出现双下肢酸痛、无力、走路缓慢,上坡吃力,予中药等治疗无改善。2年后双下肢不能行走起立,疼痛加剧,就诊当地医院查血乳酸脱氢酶升高,尿酸酐、肌酸均升高,考虑多发性肌炎,予以抗感染,激素及免疫抑制剂治疗,40天后症状好转出院。1年前又感双下肢酸痛,不能长距离行走、下蹲、起立,仍按肌炎治疗20天,症状有所好转,并长期口服强的松25 mg/d,后自行停药。3个月前双下肢无力、酸痛加重,爬楼梯困难,且出现双上肢无力酸痛、抬头困难、四肢肌肉变细。20多天前因感冒发热而出现咀嚼吞咽无力,进食时窒息一次,遂转入福建省立医院治疗。
, http://www.100md.com
入院体检示发育正常,神志清晰,双侧软腭活动稍差,咽反射灵敏,伸舌稍偏右。翼状肩,双侧胸锁乳突肌肌力Ⅳ级,颈肌力Ⅲ级,双上肢近端肌力Ⅳ级,双下肢近端肌力Ⅱ级,四肢肌张力低伴压痛,近端肌肉萎缩,双侧腓肠肌稍肥大,双手握力及远端肌力正常。痛、触觉、深感觉正常。双侧肱二头肌腱反射及膝反射消失,踝反射减弱,巴氏征、克氏征及布氏征阴性。
生化检查 抗“O”阴性,循环免疫复合物(+)。类风湿因子(+)。血沉增高,乳酸脱氢酶、α羟脱氢酶、CK同工酶、谷草转氨酶均轻度增高,血肌酐、尿素氮、白球蛋白比例下降。抗dsDNA、Sm抗体等风湿组检查阴性,血IgA、IgM、IgG、C3、C4正常。脑脊液检查阴性,去甲肾上腺素、肾上腺素、多巴胺含量正常。HBsAg、HBeAg、HBcAg阳性。肝脏B超示大小形态正常,肝回声光点增粗,分布均匀,血管形态规则。B超示左肾结石(左肾中盏见强光斑0.3 cm×0.4 cm,其余肾组织正常)。胆囊、脾脏、胰脏大小形态正常。心电图正常,未见PR缩短、QRS增高、T波异常。颅脑CT正常。肌电图检查神经传导速度正常,无肌强直表现,为肌源性损害。
, 百拇医药
患者经强的松、爱维冷治疗1个月后好转出院,血沉由83 mm/h下降至20 mm/h,类风湿因子转阴。住院期间出现眼球水平震颤,患者否认有家族史。患者2年后病情再次复发,以四肢无力酸痛、声音嘶哑为主诉。查血沉15 mm/h,类风湿因子阴性。肝脏B超、心电图正常,肝功能轻度异常,乙肝大三阳,肌酶轻度升高,肌电图示肌源性损害。
2 病理检查
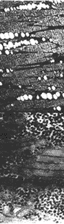
患者首次住院时,取活检的右股四头肌,常规光镜检查,冰冻切片行组织化学以及电镜检查。常规光镜下肌束大小一致,部分区域肌纤维轻度萎缩,肌纤维内见弥漫散在的小空泡,未见坏死、再生。肌束衣结缔组织轻度水肿,未见明显增生。组织化学NADH-TR和ATPase染色见两型肌纤维呈镶嵌式分布,过碘酸雪夫氏(PAS)染色两型肌纤维均含弥漫性成堆的阳性颗粒,苏丹Ⅲ染色亦见肌纤维内有少量桔红色颗粒,提示肌纤维内的空泡为糖原和脂滴。电镜下见多数肌细胞内糖原、脂滴明显增多,未见空泡结构,进一步证实常规光镜下肌纤维内空泡为糖原和脂滴。糖原聚集于肌膜下或肌原纤维间(图1),甚至形成糖原湖而取代肌原纤维,有些成堆的糖原被一层单位膜包绕而形成溶酶体样结构(图2),也可被双层膜或髓鞘样结构所包绕。部分区域肌细胞间的间质中亦见散在的糖原颗粒。脂滴呈絮状低电子密度,常多个串珠状平行排列于肌原纤维间(图3),亦可见成堆散在于肌膜下。不同的肌细胞内脂滴数量不同。多数肌细胞内线粒体基质密度轻度升高,有的线粒体大小、形态不甚一致,偶见髓鞘样结构或致密物沉着或类结晶形成(图4)。Z带处三联管可轻度扩张,自噬泡或髓鞘样小体轻度增多。少数肌细胞肌丝排列紊乱或呈局灶性肌丝溶解,偶见核内移,未见再生、坏死的肌细胞。间质内少数神经纤维退变,个别雪旺氏细胞内出现成堆的糖原。小血管内偶有血栓形成,附近可见肥大细胞,未见其他炎症细胞。患者于2年后再次行肌活检,电镜下见肌细胞病变基本与前次一致,但萎缩稍加重,肌细胞内脂滴、糖原含量略有减少。




, http://www.100md.com
图1 肌细胞内糖原呈散在或块状或束带分布于肌原纤维间或质膜下.醋酸铀、枸橼酸铅染色 ×4000
图2 肌细胞内絮状低电子密度的脂滴多个串珠状平行排列于肌原纤维间,糖原增多.醋酸铀、枸橼酸铅染色 ×4300
图3 肌膜下见多个单层膜包裹的糖原小泡即溶酶体样结构,肌丝排列紊乱.醋酸铀、枸橼酸铅染色 ×10000
图4 线粒体基质密度升高,内含条幅状结晶及致密物。线粒体周围糖原增多.醋酸铀、枸橼酸铅染色 ×24000
3 讨 论
代谢性肌病可由糖原、脂质或线粒体生化代谢异常而引起,因能量代谢障碍导致骨骼肌结构及功能异常。糖原贮积症伴脂质贮积症者文献报道很少,Sarnat[1]和Verity[2]等人分别于1982,1991年各报告1例婴儿患者,系糖原贮积症Ⅱ型;1985年Yamaguchi[3]报道1例青年女性,系糖原贮积症Ⅰ型。此3例的临床及病理、生化特点见附表。
, http://www.100md.com
附表 3例糖原贮积症伴脂质贮积症资料
年龄
性别
临床特点
病理特征
生化指标
例1[1]
5月
女
进行性肌张力减退,严重肌无力,心脏肥大,充血性心力衰竭,肝肿大.8月死亡.
肌纤维出现弥漫性空泡,其中Ⅰ型肌纤维较Ⅱ型明显,电镜证实糖原、脂滴增多。
, http://www.100md.com
酸性α-1.4葡萄糖苷酶活性、肌组织内肉毒碱含量下降,肉毒碱脂酰转移酶和脂酰辅酶A脱氢酶活性升高,脂酰辅酶A合成酶活性正常.
例2[2]
6月
男
进行性肌张力减退,肌无力.
肌纤维出现弥漫性空泡,电镜证实空泡由大量糖原和脂滴形成,另见多形性肥大线粒体,其嵴扭曲,基质中致密物沉着.
酸性α-1.4葡萄糖苷酶活性,游离肉毒碱及β-羟酰基辅酶A脱氢酶活性均降低,麦芽糖酶和其他多种溶酶体酶活性代偿性升高,脂酰肉毒碱和酰基转移酶及其他β-氧化酶活性增高.
例3[3]
, 百拇医药
18岁
女
广泛性肌张力减低,双下肢近端肌肉萎缩,颈屈肌、三角肌、腰带肌肌力减弱,心脏室间隔缺损.
肌纤维空泡出现于Ⅰ型肌纤维和Ⅱ型萎缩的肌纤维。电镜证实空泡由大量糖原和脂滴形成.
葡萄糖-6-磷酸酶活性下降。
综合以上3例临床、病理及生化资料可见,不同类型的糖原贮积症均可伴有脂质贮积症。本病多见于婴儿或青少年女性,进行性或反复性广泛肌张力减低,四肢近端肌无力或萎缩,可伴有肌肉酸痛,吞咽困难。不同病例临床表现的差异可能与糖原贮积症的类型不同有关。活检组织肌纤维均出现弥漫性空泡,Ⅰ型肌纤维累及可比Ⅱ型肌纤维明显,PAS、油红O染色及电镜证实空泡由糖原、脂滴增多所形成。例2电镜下还见线粒体形态发生异常,提示线粒体功能异常参与本病的发病过程。生化检查示酸性α-1.4葡萄糖苷酶(例1、2)或葡萄糖-6-磷酸酶活性下降(例3),肌组织内肉毒碱含量下降(例1、2),表明本病的糖原或脂质增多可能部分是由于酶或肉毒碱缺陷引起,由此可见,生化检查对确定糖原贮积症和脂质贮积症的类型,探讨其发病机制以及设计可能的治疗手段均具有重要的指导意义。
, http://www.100md.com
本例由于客观条件限制,未能进行生化检查,但根据以下几点,认为可以诊断为本病:(1)光镜下肌纤维出现弥漫性空泡,PAS、油红O或苏丹Ⅲ染色阳性,其他病变不明显。(2)电镜下肌纤维内糖原、脂滴均明显增多。本例电镜检查除证实光镜下空泡是由糖原、脂滴构成外,还发现线粒体结构异常及溶酶体样糖原小泡,后者对提示糖原贮积症类型帮助很大。Ⅱ型糖原贮积症肌细胞内易发现溶酶体样糖原小泡,Ⅴ型偶见。因Ⅱ型糖原贮积症是由溶酶体酶缺陷导致糖原不能被分解而储留形成的。电镜检测对诊断代谢性肌病具有重要的辅助诊断价值,对探讨其发病机制亦具有重要意义。本文患者曾误诊为多发性肌炎,临床表现部分相似,激素治疗可部分缓解其症状,肌活检有时也可见糖原、脂滴继发性增多,但后者增多的程度不明显,且易见淋巴细胞浸润、肌纤维坏死等改变,可资鉴别。本文患者的肝功能出现损害,是否是糖原贮积于肝脏还是慢性活动性肝炎引起的,还是二者共同作用的结果,可能须进行肝活检才能判断。
在无条件进行生化检查确定有无代谢酶缺陷时,光镜和电镜相结合,仍可诊断本病。本病可能不如文献报道之罕见,由于较难诊断,难免漏诊。
, http://www.100md.com
参考文献
1 Sarnat HB,Roth SI,Carroll JE,et al. Lipid storage myopathy in infantile Pompe's disease. Arch Neurol, 1982;39:180
2 Verity MA. Infantile Pompe's disease,lipid storage and partial carnitine deficiency. Muscle Nerve, 1991;14:435
3 Yamaguchi K,Santa T,Inoue K,et al. Lipid storage myopathy in von Gierke's disease: a case report. J Neurol Sci, 1978;38:195
(收稿:1999-10-09 修回:1999-11-20), http://www.100md.com
单位:陈振斌,梁平,陈莲云:福建医科大学电子显微镜室(福州 350004);黄炼红:福建省立医院内科;张文敏:福建医科大学病理解剖学教研室
关键词:糖原贮积症;脂质贮积症;病理
福建医科大学学报990417
目的 探讨糖原贮积症伴脂质贮积症的临床与病理特点。 方法 报告1例患者,结合文献复习,描述其临床与病理特征。 结果 本病多见于婴儿或青少年女性,进行性或反复性广泛性肌张力减低,四肢近端肌无力或萎缩,可伴有肌肉酸痛。病理特点为肌纤维出现弥漫性空泡,Ⅰ型肌纤维受累可比Ⅱ型肌纤维明显,电镜下发现糖原和脂滴贮积于肌纤维内。 结论 当患者因条件受限、无法进行生化检查时,光、电镜结合的活检肌组织形态学观察有助于诊断。
, 百拇医药 Glycogen Storage Disease Associated with Lipid Storage Myopathy
Chen Zhenbin1, Huang Lianhong2, Zhang Wenmin3, et al
(1.Laboratory of Electron Microscopy, Fujian Medical University, Fuzhou, 350004
2.Department of Medicine, Fujian Provincial Hospital, Fuzhou, 350001
3.Department of Pathology, Fujian Medical university, Fuzhou, 350004)
, 百拇医药
Objective To investigate the clinical and pathological characteristics of glycogen storage disease associated with lipid storage myopathy. Methods The clinical and pathological features of this disease were described in detail and past references were reviewed. Result The clinical characteristics of this disease are a progressive or recurrent episodes of generalized hypotonia, weakness or atrophy of proximal muscle of limb or pain, and this disease is most seen in female infant or juvenile. The pathological characteristic is a vacuolation of muscle fiber. Fiber type Ⅰ may more severely vacuolated than those of type Ⅱ. Vacuoles are composed of glycogen and lipid under electron microscopy. Conclusion The combination of histopathology and ultrastructural pathology may contribute to diagnosis this disease under no histochemistry examination .
, http://www.100md.com
Key words lipid storage myopathy; glycogen storage disease; pathology
糖原贮积症伴脂质贮积症为一种先天性代谢性肌病,目前文献仅发现3例。笔者报告1例经光、电镜观察而确诊。现结合文献分析临床和病理特征,以进一步探讨其形态学诊断问题。
1 临床资料
患者女性,17岁,于8年前无明显诱因出现双下肢酸痛、无力、走路缓慢,上坡吃力,予中药等治疗无改善。2年后双下肢不能行走起立,疼痛加剧,就诊当地医院查血乳酸脱氢酶升高,尿酸酐、肌酸均升高,考虑多发性肌炎,予以抗感染,激素及免疫抑制剂治疗,40天后症状好转出院。1年前又感双下肢酸痛,不能长距离行走、下蹲、起立,仍按肌炎治疗20天,症状有所好转,并长期口服强的松25 mg/d,后自行停药。3个月前双下肢无力、酸痛加重,爬楼梯困难,且出现双上肢无力酸痛、抬头困难、四肢肌肉变细。20多天前因感冒发热而出现咀嚼吞咽无力,进食时窒息一次,遂转入福建省立医院治疗。
, http://www.100md.com
入院体检示发育正常,神志清晰,双侧软腭活动稍差,咽反射灵敏,伸舌稍偏右。翼状肩,双侧胸锁乳突肌肌力Ⅳ级,颈肌力Ⅲ级,双上肢近端肌力Ⅳ级,双下肢近端肌力Ⅱ级,四肢肌张力低伴压痛,近端肌肉萎缩,双侧腓肠肌稍肥大,双手握力及远端肌力正常。痛、触觉、深感觉正常。双侧肱二头肌腱反射及膝反射消失,踝反射减弱,巴氏征、克氏征及布氏征阴性。
生化检查 抗“O”阴性,循环免疫复合物(+)。类风湿因子(+)。血沉增高,乳酸脱氢酶、α羟脱氢酶、CK同工酶、谷草转氨酶均轻度增高,血肌酐、尿素氮、白球蛋白比例下降。抗dsDNA、Sm抗体等风湿组检查阴性,血IgA、IgM、IgG、C3、C4正常。脑脊液检查阴性,去甲肾上腺素、肾上腺素、多巴胺含量正常。HBsAg、HBeAg、HBcAg阳性。肝脏B超示大小形态正常,肝回声光点增粗,分布均匀,血管形态规则。B超示左肾结石(左肾中盏见强光斑0.3 cm×0.4 cm,其余肾组织正常)。胆囊、脾脏、胰脏大小形态正常。心电图正常,未见PR缩短、QRS增高、T波异常。颅脑CT正常。肌电图检查神经传导速度正常,无肌强直表现,为肌源性损害。
, 百拇医药
患者经强的松、爱维冷治疗1个月后好转出院,血沉由83 mm/h下降至20 mm/h,类风湿因子转阴。住院期间出现眼球水平震颤,患者否认有家族史。患者2年后病情再次复发,以四肢无力酸痛、声音嘶哑为主诉。查血沉15 mm/h,类风湿因子阴性。肝脏B超、心电图正常,肝功能轻度异常,乙肝大三阳,肌酶轻度升高,肌电图示肌源性损害。
2 病理检查
患者首次住院时,取活检的右股四头肌,常规光镜检查,冰冻切片行组织化学以及电镜检查。常规光镜下肌束大小一致,部分区域肌纤维轻度萎缩,肌纤维内见弥漫散在的小空泡,未见坏死、再生。肌束衣结缔组织轻度水肿,未见明显增生。组织化学NADH-TR和ATPase染色见两型肌纤维呈镶嵌式分布,过碘酸雪夫氏(PAS)染色两型肌纤维均含弥漫性成堆的阳性颗粒,苏丹Ⅲ染色亦见肌纤维内有少量桔红色颗粒,提示肌纤维内的空泡为糖原和脂滴。电镜下见多数肌细胞内糖原、脂滴明显增多,未见空泡结构,进一步证实常规光镜下肌纤维内空泡为糖原和脂滴。糖原聚集于肌膜下或肌原纤维间(图1),甚至形成糖原湖而取代肌原纤维,有些成堆的糖原被一层单位膜包绕而形成溶酶体样结构(图2),也可被双层膜或髓鞘样结构所包绕。部分区域肌细胞间的间质中亦见散在的糖原颗粒。脂滴呈絮状低电子密度,常多个串珠状平行排列于肌原纤维间(图3),亦可见成堆散在于肌膜下。不同的肌细胞内脂滴数量不同。多数肌细胞内线粒体基质密度轻度升高,有的线粒体大小、形态不甚一致,偶见髓鞘样结构或致密物沉着或类结晶形成(图4)。Z带处三联管可轻度扩张,自噬泡或髓鞘样小体轻度增多。少数肌细胞肌丝排列紊乱或呈局灶性肌丝溶解,偶见核内移,未见再生、坏死的肌细胞。间质内少数神经纤维退变,个别雪旺氏细胞内出现成堆的糖原。小血管内偶有血栓形成,附近可见肥大细胞,未见其他炎症细胞。患者于2年后再次行肌活检,电镜下见肌细胞病变基本与前次一致,但萎缩稍加重,肌细胞内脂滴、糖原含量略有减少。
, http://www.100md.com
图1 肌细胞内糖原呈散在或块状或束带分布于肌原纤维间或质膜下.醋酸铀、枸橼酸铅染色 ×4000
图2 肌细胞内絮状低电子密度的脂滴多个串珠状平行排列于肌原纤维间,糖原增多.醋酸铀、枸橼酸铅染色 ×4300
图3 肌膜下见多个单层膜包裹的糖原小泡即溶酶体样结构,肌丝排列紊乱.醋酸铀、枸橼酸铅染色 ×10000
图4 线粒体基质密度升高,内含条幅状结晶及致密物。线粒体周围糖原增多.醋酸铀、枸橼酸铅染色 ×24000
3 讨 论
代谢性肌病可由糖原、脂质或线粒体生化代谢异常而引起,因能量代谢障碍导致骨骼肌结构及功能异常。糖原贮积症伴脂质贮积症者文献报道很少,Sarnat[1]和Verity[2]等人分别于1982,1991年各报告1例婴儿患者,系糖原贮积症Ⅱ型;1985年Yamaguchi[3]报道1例青年女性,系糖原贮积症Ⅰ型。此3例的临床及病理、生化特点见附表。
, http://www.100md.com
附表 3例糖原贮积症伴脂质贮积症资料
年龄
性别
临床特点
病理特征
生化指标
例1[1]
5月
女
进行性肌张力减退,严重肌无力,心脏肥大,充血性心力衰竭,肝肿大.8月死亡.
肌纤维出现弥漫性空泡,其中Ⅰ型肌纤维较Ⅱ型明显,电镜证实糖原、脂滴增多。
, http://www.100md.com
酸性α-1.4葡萄糖苷酶活性、肌组织内肉毒碱含量下降,肉毒碱脂酰转移酶和脂酰辅酶A脱氢酶活性升高,脂酰辅酶A合成酶活性正常.
例2[2]
6月
男
进行性肌张力减退,肌无力.
肌纤维出现弥漫性空泡,电镜证实空泡由大量糖原和脂滴形成,另见多形性肥大线粒体,其嵴扭曲,基质中致密物沉着.
酸性α-1.4葡萄糖苷酶活性,游离肉毒碱及β-羟酰基辅酶A脱氢酶活性均降低,麦芽糖酶和其他多种溶酶体酶活性代偿性升高,脂酰肉毒碱和酰基转移酶及其他β-氧化酶活性增高.
例3[3]
, 百拇医药
18岁
女
广泛性肌张力减低,双下肢近端肌肉萎缩,颈屈肌、三角肌、腰带肌肌力减弱,心脏室间隔缺损.
肌纤维空泡出现于Ⅰ型肌纤维和Ⅱ型萎缩的肌纤维。电镜证实空泡由大量糖原和脂滴形成.
葡萄糖-6-磷酸酶活性下降。
综合以上3例临床、病理及生化资料可见,不同类型的糖原贮积症均可伴有脂质贮积症。本病多见于婴儿或青少年女性,进行性或反复性广泛肌张力减低,四肢近端肌无力或萎缩,可伴有肌肉酸痛,吞咽困难。不同病例临床表现的差异可能与糖原贮积症的类型不同有关。活检组织肌纤维均出现弥漫性空泡,Ⅰ型肌纤维累及可比Ⅱ型肌纤维明显,PAS、油红O染色及电镜证实空泡由糖原、脂滴增多所形成。例2电镜下还见线粒体形态发生异常,提示线粒体功能异常参与本病的发病过程。生化检查示酸性α-1.4葡萄糖苷酶(例1、2)或葡萄糖-6-磷酸酶活性下降(例3),肌组织内肉毒碱含量下降(例1、2),表明本病的糖原或脂质增多可能部分是由于酶或肉毒碱缺陷引起,由此可见,生化检查对确定糖原贮积症和脂质贮积症的类型,探讨其发病机制以及设计可能的治疗手段均具有重要的指导意义。
, http://www.100md.com
本例由于客观条件限制,未能进行生化检查,但根据以下几点,认为可以诊断为本病:(1)光镜下肌纤维出现弥漫性空泡,PAS、油红O或苏丹Ⅲ染色阳性,其他病变不明显。(2)电镜下肌纤维内糖原、脂滴均明显增多。本例电镜检查除证实光镜下空泡是由糖原、脂滴构成外,还发现线粒体结构异常及溶酶体样糖原小泡,后者对提示糖原贮积症类型帮助很大。Ⅱ型糖原贮积症肌细胞内易发现溶酶体样糖原小泡,Ⅴ型偶见。因Ⅱ型糖原贮积症是由溶酶体酶缺陷导致糖原不能被分解而储留形成的。电镜检测对诊断代谢性肌病具有重要的辅助诊断价值,对探讨其发病机制亦具有重要意义。本文患者曾误诊为多发性肌炎,临床表现部分相似,激素治疗可部分缓解其症状,肌活检有时也可见糖原、脂滴继发性增多,但后者增多的程度不明显,且易见淋巴细胞浸润、肌纤维坏死等改变,可资鉴别。本文患者的肝功能出现损害,是否是糖原贮积于肝脏还是慢性活动性肝炎引起的,还是二者共同作用的结果,可能须进行肝活检才能判断。
在无条件进行生化检查确定有无代谢酶缺陷时,光镜和电镜相结合,仍可诊断本病。本病可能不如文献报道之罕见,由于较难诊断,难免漏诊。
, http://www.100md.com
参考文献
1 Sarnat HB,Roth SI,Carroll JE,et al. Lipid storage myopathy in infantile Pompe's disease. Arch Neurol, 1982;39:180
2 Verity MA. Infantile Pompe's disease,lipid storage and partial carnitine deficiency. Muscle Nerve, 1991;14:435
3 Yamaguchi K,Santa T,Inoue K,et al. Lipid storage myopathy in von Gierke's disease: a case report. J Neurol Sci, 1978;38:195
(收稿:1999-10-09 修回:1999-11-20), http://www.100md.com