卡托普利对高血压冠状动脉壁肥厚和储备力下降的预防作用
作者:章建梁 章同华 秦永文 杨向群 沙继宏 张国元
单位:章建梁 章同华 秦永文 长海医院心内科;杨向群 解剖教研室;沙继宏 电镜室;张国元 陈思聪 长征医院心内科 第二军医大学 上海 200433
关键词:冠状动脉;高血压;卡托普利
高血压杂志/990114 章建梁 章同华 秦永文 杨向群 沙继宏 张国元
目的 研究卡托普利对高血压冠状动脉壁肥厚和储备力下降的预防作用。 方法 4 w大鼠设3组:分别为自发性高血压大鼠(SHR)组、SHR口服卡托普利组(SHR+C)和正常血压大鼠(WKY)组,饲养12 w。 结果 SHR+C组较SHR组,收缩压、冠状动脉壁横截面积、横截面积与内径比及中层血管平滑肌细胞宽度显著下降,最大冠状动脉流量增加,与WKY组无显著差异。 结论 卡托普利能完全预防SHR冠状动脉壁肥厚和储备力下降。
, 百拇医药
Effects of Captopril on Hypertrophy and Reducing Reserve of Coronary Arteries in Hypertension
ZHANG Jianliang1, ZHANG Tonghua1, QING Yongwen1, YANG Xiangqun2, SA Jihong3, ZHANG Guoyun4,
(1.Department of Cardiology, Changhai Hospital, Second Military Medical University, Shanghai 2.Department of Anatomy, Second Military Medical University 3.Department of Electronic Microscope, Second Military Medical University 4. Department of Cardiology, Changzheng Hospital, Second Military Medical University)
, 百拇医药
ABSTRACT Objective To study effects of captopril on left ventricular hypertrophy and the reduced reserve of coronary arteries in hypertension. Methods 4-week-old rats were divided into three groups: spontaneously hypertensive rats(SHR) group, SHR+captopril(SHR+C,40mg/kg qd) group and normtensive Wistar-Kyoto rats(WKY) group. The rats were 12 weeks old. Systolic blood pressure(SBP) was measured. Maximal coronary flow(MCF) was measured by using an isolated perfused rat heart model. Cross-sectional area(CSA) and CSA/lumen diameter(CSA/LD) of coronary arteries were analysed by computer, and morphology of vascular smooth muscle cells(VSMC) of the left anterior descending coronary artery was investigate by electromicroscopy. Results Compared with SHR group,SBP, CSA, CSA/LD and the size of VSMC reduced significantly in SHR+C group. In addition, MCF increased greatly in SHR+C group(34.9±3.24 ml.min-1.g-1) compared with SHR group(23.3±1.99 ml.min-1.g-1). Conclusion Captopril could effectively prevent the hypertrophy and improve the reducing reserve of coronary arteries in SHR.
, 百拇医药
KEY WORDS coronary; hypertension; captopril
高血压存在血管壁肥厚和功能异常,被认为与冠心病及小动脉硬化性疾病的发病有关[1]。因此能否预防或逆转血管壁肥厚已成为判断理想抗高血压药物的指标之一。既往研究表明血管紧张素转换酶抑制剂(ACEI)能逆转高血压患者臀部皮下脂肪组织小动脉壁的肥厚,预防或逆转高血压动物部分血管床血管壁的肥厚[2~4]。本文通过幼龄期自发性高血压大鼠(SHR)长期口服ACEI类药物卡托普利,观察对其冠状动脉、血管中层平滑肌细胞(VSMC)与冠状动脉储备力的影响。
MATERIALS AND METHODS
1 实验动物及分组:雄性SHR和同系正常血压大鼠(WKY), 上海市高血压研究所提供。4 w大鼠共分3组,每组6只,分别为SHR对照组(SHR)、SHR口服卡托普利组(SHR+C)和正常血压对照组(WKY)。
, 百拇医药
2 给药方法:SHR+C组应摄入的卡托普利(40 mg/kg qd) 上海施贵宝公司惠赠) 参入饲料制成预计消耗饲料总量3/4的药料。每天按大鼠体重给予药料,不足部分添加正常饲料。自第5w开始给药,连续10 w,16 w测体重(BW)后处死。
3 收缩压(SBP)和心率(HR)测定:自10w开始,每2w用电脑大鼠心率血压测量仪(MRB-IIIA型,上海市高血压研究所)尾套法测SBP一次。处死前用氯胺酮(20 mg/kg,i.p.)加安定(20 mg/kg,i.p.)复合麻醉。四肢接针型电极,记录心电图,计算HR。
4 最大冠状动脉流量(MCF)测定:颈动脉注入肝素(1 000IU/kg),开胸取出心脏,主动脉插管,以Langendorff心脏灌流模式(自制),用95%O2和5%CO2平衡的H-K液37℃恒温灌注(pH7.4,灌注压90 mmHg)。两根电刺激电极固定于右心耳,连接于起搏器,起搏频率300次/min。乳胶囊经二尖瓣插入左心室,乳胶囊导管经三通连接微量注射器和血压测量仪,经微量注射器向囊内注射液体,至左心室收缩时产生60 mmHg压力而舒张时压力小于4 mmHg。加入腺苷(10 μmol/L),使冠状动脉血管最大扩张。收集心脏流出液。MCF=每分钟心脏流出液量/全心室重。
, http://www.100md.com
5 测定心室重量:MCF测定结束后,灌注高钾溶液使心脏停跳于舒张状态。90 mmHg灌注压下,4%多聚甲醛-1%戊二醛(pH7.4)固定液灌注4分钟。滤纸吸干,左心室游离壁+室间隔(LVW)称重,计算(左心室游离壁+室间隔重)/体重之比(LVW/BW)。
6 冠状动脉光镜形态学测定:将左心室切成垂直于其纵轴的数个薄片,每片厚2~3 mm,用固定液固定48小时。常规脱水、石蜡包埋、切片,片厚3 μm。切片经常规脱水,酸性茜素蓝染至血管平滑肌呈紫红色。在生物显微镜(BH-2,日本OLYMPUS公司)下选择圆形或近圆型(短径/长径>0.7)血管,经计算机图象分析系统(中国科学院自动化研究所)测量血管的外径(OD)、内径(LD)和血管壁横截面积(CSA),计算血管壁横截面积/内径比(CSA/LD)。
7 冠状动脉前降支VSMC电镜形状学观察:每组取4片分别属于不同大鼠的, 左心室纵轴中部的组织薄片,选取左心室前壁组织振荡切片(片厚200 μm),振荡切片经0.1 mol/L PBS漂染过夜,锇酸后固定,常规脱水、浸透。将整个切片置于预聚的Epon812树脂块上,滴数滴Epon812树脂,上方压以载玻片,经35℃24小时,60℃48小时聚合。在相差显微镜下,选取左冠状动脉前降支。切下左冠状动脉前降支,进一步定位,修块,作超薄切片。透射电镜下(Hitachi H-800型,日本日立公司)观察左冠状动脉前降支中层VSMC的形态,每根血管拍摄4处不同部位的电镜照片。计算机图象分析系统生成10×10网格,使网格纵线与照片上VSMC或细胞间隙的长轴一致,测量VSMC在横截面上的平均宽度。
, 百拇医药
8 统计学处理:各项数值均用±s表示。先进行方差分析(ANOVA), 然后再进行两两比较(Newman-Keuls检验)。
RESULTS
1 卡托普利对SBP、HR、BW和LVW/BW的影响:SHR+C组较SHR组SBP显著下降,与WKY组SBP无显著差异;SHR+C组较SHR组,HR和BW无显著差异;SHR+C组较SHR组LVW/BW显著下降,但仍显著高于WKY组(Tab 1,Fig 1)。
2 卡托普利对冠状动脉光镜形态的影响:SHR+C组较SHR组CSA和CSA/LD显著下降,和WKY组无显著差异(Tab 1)。
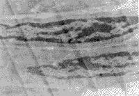
3 卡托普利对VSMC电镜形态的影响:SHR组较WKY组VSMC宽度显著增大,VSMC外形不规则,有较多的突起;SHR+C组VSMC宽度较SHR组显著下降,细胞外形较规则,与WKY组相似(Tab 1,Fig 2) 。
, 百拇医药
4 卡托普利对MCF的影响:SHR+C组较SHR组显著增加,且稍大于WKY组,但无统计意义(Tab 1)。
Tab 1 SBP,BW,HR,LVW/BW,and size of VSMC and MCF in 3 groups of rats
SHR(n=6)
WKY(n=6)
SHR+C(n=6)
SBP(mmHg)
177±10△
110±8*
115±10*
, 百拇医药
BW(g)
281±14△
357±19*
289±13*△
HR(b/min)
426±14△
384±12*
420±11△
LVW/BW(g/kg)
2.82±0.07△
, http://www.100md.com
2.05±0.11*
2.26±0.20*△
VSMC(μm)
2.58±0.59△
2.03±0.64*
2.13±0.53*
MCF(ml.min-1.g-1)
23.3±1.99△
33.0±3.30*
, http://www.100md.com
34.9±3.24*
MCF:Maximal coronary flow; *:P<0.05 vs SHR, △:P<0.05 vs WKY
Fig 1 Effect of Captopril on SBP of SHR
Fig 2 VSMC of the left anterior descending coronary artery A. Photomicrograph shows hypertrophied VSMC in SHR.(×10 000) B. Photomicrograph shows VSMC in WKY. (×10 000) C. Photomicrograph shows that captopril effectively prevent the hypertrophy of VSMC in SHR.(×10 000)
, 百拇医药
A
B
C
Tab 2 Effect of Captopril on CSA and CSA/LD of coranary arteries of SHR Group
OD<50 μm
OD 50 μm~
OD 100 μm~
OD:200 μm~
, 百拇医药 CSA(μm2)
SHR
325±146△
872±434△
3201±1239△
7554±2233△
WKY
269±89*
611±264*
1880±740*
, 百拇医药
5850±1567*
SHR+C
280±76*
661±153*
1949±906*
5572±1487*
CSA/LD(μm2/μm)
SHR
11.4±3.4△
14.4±6.7△
, 百拇医药
25.4±7.3△
33.6±8.8△
WKY
8.3±1.2*
9.7±2.8*
14.7±4.0*
25.0±5.5*
SHR+C
8.8±1.2*
10.4±2.9*
, http://www.100md.com
15.5±4.8*
25.1±5.2*
OD:outside diameter; CSA:Crosssection of area of blood vessel; LD:Lumen diameter *:P<0.05 vs SHR, △:P<0.05 vs WKYDISCUSSION
SHR为遗传性高血压动物,是WHO认可的研究高血压病的动物模型。4 w SHR高血压和冠状动脉壁肥厚尚未形成,MCF正常,但左心室肥厚已经形成[5]。本实验首次分段研究ACEI对不同外径冠状动脉壁肥厚的影响,减少了既往ACEI对冠状动脉壁肥厚影响的研究只取一段冠状动脉而易造成的抽样误差[3,4]。结果显示长期卡托普利治疗能够完全预防SHR高血压的形成、不同外径冠状动脉壁肥厚、冠状动脉中层VSMC的肥大和MCF下降,减缓左心室肥厚。
, http://www.100md.com
血管壁中层V、SMC总体积的增加是高血压血管壁肥厚的重要内容。VSMC总体积增加可以是单个VSMC体积增加(肥大),也可以是VSMC数量增加(增生)。Amann报告卒中型自发性高血压大鼠冠状动脉中层VSMC既有肥大又有增 生[6]。体外研究显示ACEI能抑制VSMC的肥大与增生,但是在体研究ACEI对VSMC的影响未见报告。本研究表明SHR左冠状动脉前降支中层VSMC存在肥大与外形异常,卡托普利能完全预防其VSMC的肥大和外形的异常。提示卡托普利对SHR冠状动脉壁肥厚和中层VSMC肥大有一致的预防作用。卡托普利对VSMC增生的影响有待进一步的研究。
和高血压冠状动脉肥厚同时存在的还有左心室肥厚,左心室肥厚是独立的心血管病的危险因素。对高血压左室肥厚患者和冠心病患者冠脉血流储备的对比研究表明:左室肥厚患者和冠心病患者有相似的冠脉血流储备低下。提示冠脉血流储备下降可能是左室肥厚患者猝死、心律失常和心肌缺血事件发生率增高的原因[7,8]。冠状动脉血流储备力的大小以冠脉血管最大扩张后的MCF与安静时冠脉血管流量的比来表示。本研究以腺苷扩张血管后的MCF来代表冠状动脉血流储备力。MCF下降与冠状动脉壁肥厚相关[5]。临床研究已证实ACEI能逆转高血压患者臀部皮下脂肪组织小动脉壁的肥厚[2]。本实验证实卡托普利治疗能减缓SHR左心室肥厚,预防冠状动脉壁肥厚和MCF下降。因此推测卡托普利也能预防高血压患者冠状动脉壁肥厚和冠脉血流储备下降,从而降低高血压的死亡率。这有待临床验证。
, 百拇医药
REFRENCES
1 Struyker Boudier HAJ, Van Bortel LMA, De-Mey JGR. Remodeling of the vascular tree in hypertension: drug effects Trends Pharmacol Sci 1990;11(3):240-244
2 Schiffrin EL. Correction of remodeling and function of small arteries in human hypertension by cilazapril, an angiotensin I-converting enzyme inhibitor J Cardiovasc pharmacol 1996;27(suppl 2):S13-S18
3 Thybo NK, Korsgaard N, Eriksen S, et al. Dose-dependent effects of perindopril on blood pressure and small-artery structure Hypertension 1994;23:659-666
, 百拇医药
4 Li JS, Schiffrin EL. Effect of calcium channel blockade or angiotensin converting enzyme inhibition on structure of coronary, renal and other small arteryes in SHR J Cardiovasc Pharmacol 1996;28:68-74
5 章建梁,章同华,杨向群,等。高血压和老化对冠状动脉重构的影响 第二军医大学学报 已修回
6 Amann K, Gharehbaghi H, Stephan S, et al. Hypertrophy and hyperplasia of smooth muscle cells of small intramyocardial arteries in spontanously hyertensive rats Hypertension 1995;25(1): 124-131
7 林金秀,陈达光,陈济添,等。高血压左心室肥厚与冠心病患者的冠脉血流储备 中华心血管病杂志 1994;22(5):369-372
8 Willian B, kannel MD, Robert D, et al. A prognostic comparision of asymptomatic left ventricular hypertrophy and unrecognieed myocardial infartion: The Framingham study Am heart J 1986;111:391
收稿日期:1998-09-01, http://www.100md.com
单位:章建梁 章同华 秦永文 长海医院心内科;杨向群 解剖教研室;沙继宏 电镜室;张国元 陈思聪 长征医院心内科 第二军医大学 上海 200433
关键词:冠状动脉;高血压;卡托普利
高血压杂志/990114 章建梁 章同华 秦永文 杨向群 沙继宏 张国元
目的 研究卡托普利对高血压冠状动脉壁肥厚和储备力下降的预防作用。 方法 4 w大鼠设3组:分别为自发性高血压大鼠(SHR)组、SHR口服卡托普利组(SHR+C)和正常血压大鼠(WKY)组,饲养12 w。 结果 SHR+C组较SHR组,收缩压、冠状动脉壁横截面积、横截面积与内径比及中层血管平滑肌细胞宽度显著下降,最大冠状动脉流量增加,与WKY组无显著差异。 结论 卡托普利能完全预防SHR冠状动脉壁肥厚和储备力下降。
, 百拇医药
Effects of Captopril on Hypertrophy and Reducing Reserve of Coronary Arteries in Hypertension
ZHANG Jianliang1, ZHANG Tonghua1, QING Yongwen1, YANG Xiangqun2, SA Jihong3, ZHANG Guoyun4,
(1.Department of Cardiology, Changhai Hospital, Second Military Medical University, Shanghai 2.Department of Anatomy, Second Military Medical University 3.Department of Electronic Microscope, Second Military Medical University 4. Department of Cardiology, Changzheng Hospital, Second Military Medical University)
, 百拇医药
ABSTRACT Objective To study effects of captopril on left ventricular hypertrophy and the reduced reserve of coronary arteries in hypertension. Methods 4-week-old rats were divided into three groups: spontaneously hypertensive rats(SHR) group, SHR+captopril(SHR+C,40mg/kg qd) group and normtensive Wistar-Kyoto rats(WKY) group. The rats were 12 weeks old. Systolic blood pressure(SBP) was measured. Maximal coronary flow(MCF) was measured by using an isolated perfused rat heart model. Cross-sectional area(CSA) and CSA/lumen diameter(CSA/LD) of coronary arteries were analysed by computer, and morphology of vascular smooth muscle cells(VSMC) of the left anterior descending coronary artery was investigate by electromicroscopy. Results Compared with SHR group,SBP, CSA, CSA/LD and the size of VSMC reduced significantly in SHR+C group. In addition, MCF increased greatly in SHR+C group(34.9±3.24 ml.min-1.g-1) compared with SHR group(23.3±1.99 ml.min-1.g-1). Conclusion Captopril could effectively prevent the hypertrophy and improve the reducing reserve of coronary arteries in SHR.
, 百拇医药
KEY WORDS coronary; hypertension; captopril
高血压存在血管壁肥厚和功能异常,被认为与冠心病及小动脉硬化性疾病的发病有关[1]。因此能否预防或逆转血管壁肥厚已成为判断理想抗高血压药物的指标之一。既往研究表明血管紧张素转换酶抑制剂(ACEI)能逆转高血压患者臀部皮下脂肪组织小动脉壁的肥厚,预防或逆转高血压动物部分血管床血管壁的肥厚[2~4]。本文通过幼龄期自发性高血压大鼠(SHR)长期口服ACEI类药物卡托普利,观察对其冠状动脉、血管中层平滑肌细胞(VSMC)与冠状动脉储备力的影响。
MATERIALS AND METHODS
1 实验动物及分组:雄性SHR和同系正常血压大鼠(WKY), 上海市高血压研究所提供。4 w大鼠共分3组,每组6只,分别为SHR对照组(SHR)、SHR口服卡托普利组(SHR+C)和正常血压对照组(WKY)。
, 百拇医药
2 给药方法:SHR+C组应摄入的卡托普利(40 mg/kg qd) 上海施贵宝公司惠赠) 参入饲料制成预计消耗饲料总量3/4的药料。每天按大鼠体重给予药料,不足部分添加正常饲料。自第5w开始给药,连续10 w,16 w测体重(BW)后处死。
3 收缩压(SBP)和心率(HR)测定:自10w开始,每2w用电脑大鼠心率血压测量仪(MRB-IIIA型,上海市高血压研究所)尾套法测SBP一次。处死前用氯胺酮(20 mg/kg,i.p.)加安定(20 mg/kg,i.p.)复合麻醉。四肢接针型电极,记录心电图,计算HR。
4 最大冠状动脉流量(MCF)测定:颈动脉注入肝素(1 000IU/kg),开胸取出心脏,主动脉插管,以Langendorff心脏灌流模式(自制),用95%O2和5%CO2平衡的H-K液37℃恒温灌注(pH7.4,灌注压90 mmHg)。两根电刺激电极固定于右心耳,连接于起搏器,起搏频率300次/min。乳胶囊经二尖瓣插入左心室,乳胶囊导管经三通连接微量注射器和血压测量仪,经微量注射器向囊内注射液体,至左心室收缩时产生60 mmHg压力而舒张时压力小于4 mmHg。加入腺苷(10 μmol/L),使冠状动脉血管最大扩张。收集心脏流出液。MCF=每分钟心脏流出液量/全心室重。
, http://www.100md.com
5 测定心室重量:MCF测定结束后,灌注高钾溶液使心脏停跳于舒张状态。90 mmHg灌注压下,4%多聚甲醛-1%戊二醛(pH7.4)固定液灌注4分钟。滤纸吸干,左心室游离壁+室间隔(LVW)称重,计算(左心室游离壁+室间隔重)/体重之比(LVW/BW)。
6 冠状动脉光镜形态学测定:将左心室切成垂直于其纵轴的数个薄片,每片厚2~3 mm,用固定液固定48小时。常规脱水、石蜡包埋、切片,片厚3 μm。切片经常规脱水,酸性茜素蓝染至血管平滑肌呈紫红色。在生物显微镜(BH-2,日本OLYMPUS公司)下选择圆形或近圆型(短径/长径>0.7)血管,经计算机图象分析系统(中国科学院自动化研究所)测量血管的外径(OD)、内径(LD)和血管壁横截面积(CSA),计算血管壁横截面积/内径比(CSA/LD)。
7 冠状动脉前降支VSMC电镜形状学观察:每组取4片分别属于不同大鼠的, 左心室纵轴中部的组织薄片,选取左心室前壁组织振荡切片(片厚200 μm),振荡切片经0.1 mol/L PBS漂染过夜,锇酸后固定,常规脱水、浸透。将整个切片置于预聚的Epon812树脂块上,滴数滴Epon812树脂,上方压以载玻片,经35℃24小时,60℃48小时聚合。在相差显微镜下,选取左冠状动脉前降支。切下左冠状动脉前降支,进一步定位,修块,作超薄切片。透射电镜下(Hitachi H-800型,日本日立公司)观察左冠状动脉前降支中层VSMC的形态,每根血管拍摄4处不同部位的电镜照片。计算机图象分析系统生成10×10网格,使网格纵线与照片上VSMC或细胞间隙的长轴一致,测量VSMC在横截面上的平均宽度。
, 百拇医药
8 统计学处理:各项数值均用±s表示。先进行方差分析(ANOVA), 然后再进行两两比较(Newman-Keuls检验)。
RESULTS
1 卡托普利对SBP、HR、BW和LVW/BW的影响:SHR+C组较SHR组SBP显著下降,与WKY组SBP无显著差异;SHR+C组较SHR组,HR和BW无显著差异;SHR+C组较SHR组LVW/BW显著下降,但仍显著高于WKY组(Tab 1,Fig 1)。
2 卡托普利对冠状动脉光镜形态的影响:SHR+C组较SHR组CSA和CSA/LD显著下降,和WKY组无显著差异(Tab 1)。
3 卡托普利对VSMC电镜形态的影响:SHR组较WKY组VSMC宽度显著增大,VSMC外形不规则,有较多的突起;SHR+C组VSMC宽度较SHR组显著下降,细胞外形较规则,与WKY组相似(Tab 1,Fig 2) 。
, 百拇医药
4 卡托普利对MCF的影响:SHR+C组较SHR组显著增加,且稍大于WKY组,但无统计意义(Tab 1)。
Tab 1 SBP,BW,HR,LVW/BW,and size of VSMC and MCF in 3 groups of rats
SHR(n=6)
WKY(n=6)
SHR+C(n=6)
SBP(mmHg)
177±10△
110±8*
115±10*
, 百拇医药
BW(g)
281±14△
357±19*
289±13*△
HR(b/min)
426±14△
384±12*
420±11△
LVW/BW(g/kg)
2.82±0.07△
, http://www.100md.com
2.05±0.11*
2.26±0.20*△
VSMC(μm)
2.58±0.59△
2.03±0.64*
2.13±0.53*
MCF(ml.min-1.g-1)
23.3±1.99△
33.0±3.30*
, http://www.100md.com
34.9±3.24*
MCF:Maximal coronary flow; *:P<0.05 vs SHR, △:P<0.05 vs WKY
Fig 1 Effect of Captopril on SBP of SHR
Fig 2 VSMC of the left anterior descending coronary artery A. Photomicrograph shows hypertrophied VSMC in SHR.(×10 000) B. Photomicrograph shows VSMC in WKY. (×10 000) C. Photomicrograph shows that captopril effectively prevent the hypertrophy of VSMC in SHR.(×10 000)
, 百拇医药
A
B
C
Tab 2 Effect of Captopril on CSA and CSA/LD of coranary arteries of SHR Group
OD<50 μm
OD 50 μm~
OD 100 μm~
OD:200 μm~
, 百拇医药 CSA(μm2)
SHR
325±146△
872±434△
3201±1239△
7554±2233△
WKY
269±89*
611±264*
1880±740*
, 百拇医药
5850±1567*
SHR+C
280±76*
661±153*
1949±906*
5572±1487*
CSA/LD(μm2/μm)
SHR
11.4±3.4△
14.4±6.7△
, 百拇医药
25.4±7.3△
33.6±8.8△
WKY
8.3±1.2*
9.7±2.8*
14.7±4.0*
25.0±5.5*
SHR+C
8.8±1.2*
10.4±2.9*
, http://www.100md.com
15.5±4.8*
25.1±5.2*
OD:outside diameter; CSA:Crosssection of area of blood vessel; LD:Lumen diameter *:P<0.05 vs SHR, △:P<0.05 vs WKYDISCUSSION
SHR为遗传性高血压动物,是WHO认可的研究高血压病的动物模型。4 w SHR高血压和冠状动脉壁肥厚尚未形成,MCF正常,但左心室肥厚已经形成[5]。本实验首次分段研究ACEI对不同外径冠状动脉壁肥厚的影响,减少了既往ACEI对冠状动脉壁肥厚影响的研究只取一段冠状动脉而易造成的抽样误差[3,4]。结果显示长期卡托普利治疗能够完全预防SHR高血压的形成、不同外径冠状动脉壁肥厚、冠状动脉中层VSMC的肥大和MCF下降,减缓左心室肥厚。
, http://www.100md.com
血管壁中层V、SMC总体积的增加是高血压血管壁肥厚的重要内容。VSMC总体积增加可以是单个VSMC体积增加(肥大),也可以是VSMC数量增加(增生)。Amann报告卒中型自发性高血压大鼠冠状动脉中层VSMC既有肥大又有增 生[6]。体外研究显示ACEI能抑制VSMC的肥大与增生,但是在体研究ACEI对VSMC的影响未见报告。本研究表明SHR左冠状动脉前降支中层VSMC存在肥大与外形异常,卡托普利能完全预防其VSMC的肥大和外形的异常。提示卡托普利对SHR冠状动脉壁肥厚和中层VSMC肥大有一致的预防作用。卡托普利对VSMC增生的影响有待进一步的研究。
和高血压冠状动脉肥厚同时存在的还有左心室肥厚,左心室肥厚是独立的心血管病的危险因素。对高血压左室肥厚患者和冠心病患者冠脉血流储备的对比研究表明:左室肥厚患者和冠心病患者有相似的冠脉血流储备低下。提示冠脉血流储备下降可能是左室肥厚患者猝死、心律失常和心肌缺血事件发生率增高的原因[7,8]。冠状动脉血流储备力的大小以冠脉血管最大扩张后的MCF与安静时冠脉血管流量的比来表示。本研究以腺苷扩张血管后的MCF来代表冠状动脉血流储备力。MCF下降与冠状动脉壁肥厚相关[5]。临床研究已证实ACEI能逆转高血压患者臀部皮下脂肪组织小动脉壁的肥厚[2]。本实验证实卡托普利治疗能减缓SHR左心室肥厚,预防冠状动脉壁肥厚和MCF下降。因此推测卡托普利也能预防高血压患者冠状动脉壁肥厚和冠脉血流储备下降,从而降低高血压的死亡率。这有待临床验证。
, 百拇医药
REFRENCES
1 Struyker Boudier HAJ, Van Bortel LMA, De-Mey JGR. Remodeling of the vascular tree in hypertension: drug effects Trends Pharmacol Sci 1990;11(3):240-244
2 Schiffrin EL. Correction of remodeling and function of small arteries in human hypertension by cilazapril, an angiotensin I-converting enzyme inhibitor J Cardiovasc pharmacol 1996;27(suppl 2):S13-S18
3 Thybo NK, Korsgaard N, Eriksen S, et al. Dose-dependent effects of perindopril on blood pressure and small-artery structure Hypertension 1994;23:659-666
, 百拇医药
4 Li JS, Schiffrin EL. Effect of calcium channel blockade or angiotensin converting enzyme inhibition on structure of coronary, renal and other small arteryes in SHR J Cardiovasc Pharmacol 1996;28:68-74
5 章建梁,章同华,杨向群,等。高血压和老化对冠状动脉重构的影响 第二军医大学学报 已修回
6 Amann K, Gharehbaghi H, Stephan S, et al. Hypertrophy and hyperplasia of smooth muscle cells of small intramyocardial arteries in spontanously hyertensive rats Hypertension 1995;25(1): 124-131
7 林金秀,陈达光,陈济添,等。高血压左心室肥厚与冠心病患者的冠脉血流储备 中华心血管病杂志 1994;22(5):369-372
8 Willian B, kannel MD, Robert D, et al. A prognostic comparision of asymptomatic left ventricular hypertrophy and unrecognieed myocardial infartion: The Framingham study Am heart J 1986;111:391
收稿日期:1998-09-01, http://www.100md.com