微波对视网膜神经节细胞的过氧化损伤
作者:杨瑞华 陈景元 刘学东 邓中荣 刘秀红
单位:第四军医大学军事卫勤统计系军队卫生学教研室,西安 710032
关键词:微波;视网膜神经节细胞;脂质过氧化
卫生研究\990404 摘要 目的:探讨微波对体外培养的猪视网膜神经节细胞的脂质过氧化损伤作用及耐受剂量,可为进一步研究微波的眼底损伤机理及其防护提供一定的实验依据。方法:体外培养猪视网膜神经节细胞,2450MHz连续波以不同强度和时间进行辐照,然后继续培养48小时,测定超氧化物歧化酶(SOD)和丙二醛(MDA)含量。结果:微波辐照后,细胞MDA含量明显增高,SOD降低,经过48小时再培养,MDA含量有所恢复,SOD含量增高。结论是:微波可引起视网膜神经节细胞脂质过氧化损伤,在一定剂量范围内为可逆性损伤。
中图分类号 R135.92 R818.74 TL77
, 百拇医药
Lipid peroxide damage in retinal ganglion cells induced by microwave
Yang Ruihua,Chen Jingyuan,Liu Xuedong,et al.
Department of Military Hygiene,the Fourth Military Medical University,Xi'an 710032
The determination of lipid peroxide damage in the primary cultured pig retinal ganglion cells induced by microwave can provide some experience on the effect of microwave and the protection from its damage. Retinal ganglion cells were cultured in vitro and exposed to different intensities or time of microwave,and cultured for another 48 hours.The content of superoxide dismutase (SOD) and malondialdehyde (MDA) was detected.Results showed that the content of MDA was increased and SOD decreased after radiation.After 48 hours in culture,the content of MDA recovered, and SOD increased.It is concluded that microwave induced the lipid peroxide damage in primary cultured retinal ganglion cells.These damages were recoverable in certain range of indensity or time.
, http://www.100md.com
Key words: microwave,retinal,ganglion cells,lipid peroxide
近年来,随着微波在工农业生产、医疗卫生、通讯、家用电器以及军事等领域的广泛应用,微波的医学防护受到极大的关注,微波的损伤是多方面的,但眼睛是最敏感、重要的靶器官。多年的研究表明,微波可以对眼睛造成明显损害[1,2]。研究微波对体外培养的视网膜神经节细胞的损伤及其作用机理,可为进一步研究微波的眼底损伤的机理及其防护提供一定的实验依据。
1 材料和方法
1.1 材料
眼球来源于西安市肉联厂;木瓜蛋白酶(中科院上海生化所东风生化技术公司);牛血清白蛋白(中国医学科学院血液学研究所);DL-半胱氨酸,DMEM培养基(Gibco公司);小牛血清(杭州四季青生物工程公司);YJ-875医用净化工作台(苏州净化仪器厂);TE-HER式数字式CO2培养器(日本平泽制造厂);微波理疗机(上海微波医疗仪器厂);其它试剂均为分析纯。
, http://www.100md.com
1.2 细胞培养
屠宰场的猪被宰杀后立即摘取眼球,剪除周围结缔组织,清水充分洗涤,200U/ml的庆大霉素浸泡20min,移入超净工作台,沿眼球赤道部环形切开,去除晶体及玻璃体,剥离并剪碎视网膜,加入含牛血清白蛋白(0.2g/L)、DL-半胱氨酸(0.2g/L)、木瓜蛋白酶(26U/ml)的Hanks液,于37℃消化40min[6]。离心洗涤,置于含10%小牛血清的DMEM培养液中,在37℃、5%CO2孵箱培养。
1.3 辐照条件
频率2450MHz连续波辐照,室温19~20℃,相对湿度40%。细胞分为4组,分别为10mW/cm2(30min,Ⅰ组),10mW/cm2(60min,Ⅱ组),30mW/cm2(30min,Ⅲ组),30mW/cm2(60min,Ⅳ组)。
, 百拇医药
1.4 指标测定
1.4.1 细胞形态观察
光镜下观察细胞。
1.4.2 SOD及MDA测定
收集细胞,PBS漂洗2~3次,调整细胞浓度为1×106/ml,超声粉碎,取100μl进行SOD:羟胺法和MDA[7]:改良硫代巴比妥酸荧光法测定[8]。
2 结果
2.1 微波辐照及再培养对细胞形态的影响
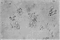
细胞培养3~5天后,细胞贴壁,体积小,圆形,分散存在,部分细胞有轴突伸展(照片1)。微波辐照后,Ⅰ组细胞发生聚集,仍可见轴突,细胞边界清楚(照片2);Ⅱ组细胞聚集成团,少数细胞散在,轴突消失,边缘较模糊(照片3),偶见“环状”细胞出现(照片4);Ⅲ组细胞与Ⅱ组相似,散在细胞较多;Ⅳ组细胞多数边界模糊,部分细胞漂浮,可见细胞碎片(照片5)。辐照后细胞继续培养48小时后,Ⅰ组细胞大部分散在,少量聚集(照片6),Ⅱ组细胞仍聚集成团,但细胞亮,边缘清楚,Ⅲ组变化不明显,Ⅳ组细胞减少,杂质多。
, http://www.100md.com
1 正常RGC形态(×250)
2 10mW/cm2(30min)辐照后细胞形态(×250)
3 10mW/cm2(60min)辐照后细胞形态(×250)
4 10mW/cm2(60min)辐照后凋亡样细胞(×400)
5 30mW/cm2(60min)辐照后细胞破坏较重(×250)
, 百拇医药
6 辐照后再培养48h的细胞形态(×250)
附图 微波辐照及再培养对细胞形态的影响
附表 视网膜神经节细胞SOD与MDA含量(x±s,/105细胞) 组别
辐照后
再培养48h
MDA(μmol)
SOD(μmol/min)
MDA(μmol)
SOD(μmol/min)
对照组
, 百拇医药 0.28±0.03
0.61±0.01
0.38±0.02
0.52±0.03
Ⅰ组
0.29±0.03
0.57±0.02
0.35±0.05
0.31±0.02
Ⅱ组
0.40±0.03(1)
0.54±0.03(2)
, 百拇医药
0.37±0.03
1.05±0.03(1)
Ⅲ组
0.60±0.14(2)
0.58±0.03
0.56±0.13
1.99±0.04(1)
Ⅳ组
0.89±0.01(1)
0.78±0.09
0.84±0.05(1)
, http://www.100md.com
0.74±0.01
注:与对照组比,t检验,(1)P<0.01 (2)P<0.052.2 微波辐照及再培养对细胞SOD与MDA含量的影响
微波辐照后,MDA显著升高,且升高幅度与辐照强度呈正相关,SOD活性变化不明显,仅在10mW/cm2(60min)组略降低。细胞再培养48h后,MDA含量明显下降,Ⅰ和Ⅱ组与对照组基本相近,Ⅳ仍明显高于对照组,SOD则呈现上升趋势,见附表。
3 讨论
1952年Hirsch和Parker首次报道了微波导致白内障,以后人们做了大量的工作来研究微波对视觉系统的影响,主要涉及晶体、视网膜和角膜,目前研究较多的是对晶体的损伤,而有关视网膜损伤的报道较少,且多为组织病理学损伤[3~5]。
, http://www.100md.com
本文以猪视网膜神经节细胞为对象研究微波辐照的损伤作用,结果表明:连续微波辐照可导致体外培养的视网膜神经节细胞发生形态学变化。微波对神经节细胞形态学的影响最初表现为轴突的损伤,且细胞在受到微波刺激后发生保护性聚集现象,10mW/cm2辐照1小时可使神经节细胞发生聚集,且有凋亡样细胞出现,随辐照功率的提高和时间延长,细胞形态进一步遭到破坏,这种损伤在一定范围内是可以恢复的,如辐照后再培养48小时,则10mW/cm2(30min)组细胞的聚集现象有所缓解,而10mW/cm2(60min)组的细胞状态也明显改善,但当辐照功率达到30mW/cm2时,细胞便不能通过自身的修复作用恢复损伤,30mW/cm2(60min)组细胞已表现出不可逆损伤的状态,部分细胞观察不到完整的细胞形态。由此可见,30W/cm2功率密度,辐照时间1小时之内,可能是微波辐照对细胞损伤防护的关键剂量。
随微波辐照强度增大,脂质过氧化指标MDA含量逐渐增加。体内一些正常的生理过程涉及自由基反应,过量的自由基被体内抗氧化系统及时清除,以保持正常的生理功能。由于某种因素作用而引起体内自由基增多,则会引发一系列的化学反应,导致组织损伤。MDA是脂质过氧化反应的主要降解产物,是体内自由基水平和影响后果的反映,MDA含量随辐照强度增大而增加,说明微波对神经节细胞的损伤涉及脂质过氧化反应。SOD可清除超氧阴离子自由基(
),其活性高低与体内过氧化物含量密切相关,且该酶为一种诱导酶,在细胞受到过氧化损伤时可诱导产生,以保护细胞的正常生理活动。微波辐照后,MDA含量升高,SOD活性降低,说明细胞确已受到过氧化损伤,再培养后,SOD明显升高则是细胞的一种保护性反应,MDA含量有所降低可能与此有关,同时也说明,SOD的诱导产生需要一定的时间才能实现,因此在短时间的辐照时,SOD活性表现为降低。30mW/cm2(60min)组细胞的SOD未见升高可能是由于细胞受到破坏较为严重,其诱导产生酶的作用难以发挥所致。
, 百拇医药
以往关于微波的研究中,观察指标多集中在组织病理学方面,而对生理、生化方面的改变研究的较少,本实验结果表明:微波辐照对视网膜神经节细胞的损伤涉及脂质过氧化反应,且这种损伤在一定功率密度及时间范围内是可以恢复的,这为探讨微波诱发眼疾的机制提供了初步的实验依据,也为微波辐照的生物防护研究提供了防护剂量的实验数据。
作者简介:杨瑞华,女,硕士,助教
参考文献
1.黎勉勤,金锡鹏.微波对眼的影响.眼外伤职业性眼病杂志,1983,1:6—8
2.李昌吉,詹承烈,唐茂云,等.微波致角膜和视网膜损伤的实验研究.眼外伤职业眼病,1989,11:141—143
3.Paulsson LE.Retinal damage experimentally induced by microwave radiayion at 55mw/cm2.Acta Ophthalmol,1979,57:183—185
4.Cutz-A.Effects of microwave radiation on the eye:the occupational health perspective. Lens Eye Toxic Res,1989,6(1-2):379—386
5.Bhatt-N,Peyman-GA,Khoobehi-B,et,al.Microwave-induced retinal destruction with sparing of sclera and choriocapillaris.Ophthalmic Surg,1993,24(2):125—128
1999-01-30收稿, 百拇医药
单位:第四军医大学军事卫勤统计系军队卫生学教研室,西安 710032
关键词:微波;视网膜神经节细胞;脂质过氧化
卫生研究\990404 摘要 目的:探讨微波对体外培养的猪视网膜神经节细胞的脂质过氧化损伤作用及耐受剂量,可为进一步研究微波的眼底损伤机理及其防护提供一定的实验依据。方法:体外培养猪视网膜神经节细胞,2450MHz连续波以不同强度和时间进行辐照,然后继续培养48小时,测定超氧化物歧化酶(SOD)和丙二醛(MDA)含量。结果:微波辐照后,细胞MDA含量明显增高,SOD降低,经过48小时再培养,MDA含量有所恢复,SOD含量增高。结论是:微波可引起视网膜神经节细胞脂质过氧化损伤,在一定剂量范围内为可逆性损伤。
中图分类号 R135.92 R818.74 TL77
, 百拇医药
Lipid peroxide damage in retinal ganglion cells induced by microwave
Yang Ruihua,Chen Jingyuan,Liu Xuedong,et al.
Department of Military Hygiene,the Fourth Military Medical University,Xi'an 710032
The determination of lipid peroxide damage in the primary cultured pig retinal ganglion cells induced by microwave can provide some experience on the effect of microwave and the protection from its damage. Retinal ganglion cells were cultured in vitro and exposed to different intensities or time of microwave,and cultured for another 48 hours.The content of superoxide dismutase (SOD) and malondialdehyde (MDA) was detected.Results showed that the content of MDA was increased and SOD decreased after radiation.After 48 hours in culture,the content of MDA recovered, and SOD increased.It is concluded that microwave induced the lipid peroxide damage in primary cultured retinal ganglion cells.These damages were recoverable in certain range of indensity or time.
, http://www.100md.com
Key words: microwave,retinal,ganglion cells,lipid peroxide
近年来,随着微波在工农业生产、医疗卫生、通讯、家用电器以及军事等领域的广泛应用,微波的医学防护受到极大的关注,微波的损伤是多方面的,但眼睛是最敏感、重要的靶器官。多年的研究表明,微波可以对眼睛造成明显损害[1,2]。研究微波对体外培养的视网膜神经节细胞的损伤及其作用机理,可为进一步研究微波的眼底损伤的机理及其防护提供一定的实验依据。
1 材料和方法
1.1 材料
眼球来源于西安市肉联厂;木瓜蛋白酶(中科院上海生化所东风生化技术公司);牛血清白蛋白(中国医学科学院血液学研究所);DL-半胱氨酸,DMEM培养基(Gibco公司);小牛血清(杭州四季青生物工程公司);YJ-875医用净化工作台(苏州净化仪器厂);TE-HER式数字式CO2培养器(日本平泽制造厂);微波理疗机(上海微波医疗仪器厂);其它试剂均为分析纯。
, http://www.100md.com
1.2 细胞培养
屠宰场的猪被宰杀后立即摘取眼球,剪除周围结缔组织,清水充分洗涤,200U/ml的庆大霉素浸泡20min,移入超净工作台,沿眼球赤道部环形切开,去除晶体及玻璃体,剥离并剪碎视网膜,加入含牛血清白蛋白(0.2g/L)、DL-半胱氨酸(0.2g/L)、木瓜蛋白酶(26U/ml)的Hanks液,于37℃消化40min[6]。离心洗涤,置于含10%小牛血清的DMEM培养液中,在37℃、5%CO2孵箱培养。
1.3 辐照条件
频率2450MHz连续波辐照,室温19~20℃,相对湿度40%。细胞分为4组,分别为10mW/cm2(30min,Ⅰ组),10mW/cm2(60min,Ⅱ组),30mW/cm2(30min,Ⅲ组),30mW/cm2(60min,Ⅳ组)。
, 百拇医药
1.4 指标测定
1.4.1 细胞形态观察
光镜下观察细胞。
1.4.2 SOD及MDA测定
收集细胞,PBS漂洗2~3次,调整细胞浓度为1×106/ml,超声粉碎,取100μl进行SOD:羟胺法和MDA[7]:改良硫代巴比妥酸荧光法测定[8]。
2 结果
2.1 微波辐照及再培养对细胞形态的影响
细胞培养3~5天后,细胞贴壁,体积小,圆形,分散存在,部分细胞有轴突伸展(照片1)。微波辐照后,Ⅰ组细胞发生聚集,仍可见轴突,细胞边界清楚(照片2);Ⅱ组细胞聚集成团,少数细胞散在,轴突消失,边缘较模糊(照片3),偶见“环状”细胞出现(照片4);Ⅲ组细胞与Ⅱ组相似,散在细胞较多;Ⅳ组细胞多数边界模糊,部分细胞漂浮,可见细胞碎片(照片5)。辐照后细胞继续培养48小时后,Ⅰ组细胞大部分散在,少量聚集(照片6),Ⅱ组细胞仍聚集成团,但细胞亮,边缘清楚,Ⅲ组变化不明显,Ⅳ组细胞减少,杂质多。
, http://www.100md.com
1 正常RGC形态(×250)
2 10mW/cm2(30min)辐照后细胞形态(×250)
3 10mW/cm2(60min)辐照后细胞形态(×250)
4 10mW/cm2(60min)辐照后凋亡样细胞(×400)
5 30mW/cm2(60min)辐照后细胞破坏较重(×250)
, 百拇医药
6 辐照后再培养48h的细胞形态(×250)
附图 微波辐照及再培养对细胞形态的影响
附表 视网膜神经节细胞SOD与MDA含量(x±s,/105细胞) 组别
辐照后
再培养48h
MDA(μmol)
SOD(μmol/min)
MDA(μmol)
SOD(μmol/min)
对照组
, 百拇医药 0.28±0.03
0.61±0.01
0.38±0.02
0.52±0.03
Ⅰ组
0.29±0.03
0.57±0.02
0.35±0.05
0.31±0.02
Ⅱ组
0.40±0.03(1)
0.54±0.03(2)
, 百拇医药
0.37±0.03
1.05±0.03(1)
Ⅲ组
0.60±0.14(2)
0.58±0.03
0.56±0.13
1.99±0.04(1)
Ⅳ组
0.89±0.01(1)
0.78±0.09
0.84±0.05(1)
, http://www.100md.com
0.74±0.01
注:与对照组比,t检验,(1)P<0.01 (2)P<0.052.2 微波辐照及再培养对细胞SOD与MDA含量的影响
微波辐照后,MDA显著升高,且升高幅度与辐照强度呈正相关,SOD活性变化不明显,仅在10mW/cm2(60min)组略降低。细胞再培养48h后,MDA含量明显下降,Ⅰ和Ⅱ组与对照组基本相近,Ⅳ仍明显高于对照组,SOD则呈现上升趋势,见附表。
3 讨论
1952年Hirsch和Parker首次报道了微波导致白内障,以后人们做了大量的工作来研究微波对视觉系统的影响,主要涉及晶体、视网膜和角膜,目前研究较多的是对晶体的损伤,而有关视网膜损伤的报道较少,且多为组织病理学损伤[3~5]。
, http://www.100md.com
本文以猪视网膜神经节细胞为对象研究微波辐照的损伤作用,结果表明:连续微波辐照可导致体外培养的视网膜神经节细胞发生形态学变化。微波对神经节细胞形态学的影响最初表现为轴突的损伤,且细胞在受到微波刺激后发生保护性聚集现象,10mW/cm2辐照1小时可使神经节细胞发生聚集,且有凋亡样细胞出现,随辐照功率的提高和时间延长,细胞形态进一步遭到破坏,这种损伤在一定范围内是可以恢复的,如辐照后再培养48小时,则10mW/cm2(30min)组细胞的聚集现象有所缓解,而10mW/cm2(60min)组的细胞状态也明显改善,但当辐照功率达到30mW/cm2时,细胞便不能通过自身的修复作用恢复损伤,30mW/cm2(60min)组细胞已表现出不可逆损伤的状态,部分细胞观察不到完整的细胞形态。由此可见,30W/cm2功率密度,辐照时间1小时之内,可能是微波辐照对细胞损伤防护的关键剂量。
随微波辐照强度增大,脂质过氧化指标MDA含量逐渐增加。体内一些正常的生理过程涉及自由基反应,过量的自由基被体内抗氧化系统及时清除,以保持正常的生理功能。由于某种因素作用而引起体内自由基增多,则会引发一系列的化学反应,导致组织损伤。MDA是脂质过氧化反应的主要降解产物,是体内自由基水平和影响后果的反映,MDA含量随辐照强度增大而增加,说明微波对神经节细胞的损伤涉及脂质过氧化反应。SOD可清除超氧阴离子自由基(
, 百拇医药
以往关于微波的研究中,观察指标多集中在组织病理学方面,而对生理、生化方面的改变研究的较少,本实验结果表明:微波辐照对视网膜神经节细胞的损伤涉及脂质过氧化反应,且这种损伤在一定功率密度及时间范围内是可以恢复的,这为探讨微波诱发眼疾的机制提供了初步的实验依据,也为微波辐照的生物防护研究提供了防护剂量的实验数据。
作者简介:杨瑞华,女,硕士,助教
参考文献
1.黎勉勤,金锡鹏.微波对眼的影响.眼外伤职业性眼病杂志,1983,1:6—8
2.李昌吉,詹承烈,唐茂云,等.微波致角膜和视网膜损伤的实验研究.眼外伤职业眼病,1989,11:141—143
3.Paulsson LE.Retinal damage experimentally induced by microwave radiayion at 55mw/cm2.Acta Ophthalmol,1979,57:183—185
4.Cutz-A.Effects of microwave radiation on the eye:the occupational health perspective. Lens Eye Toxic Res,1989,6(1-2):379—386
5.Bhatt-N,Peyman-GA,Khoobehi-B,et,al.Microwave-induced retinal destruction with sparing of sclera and choriocapillaris.Ophthalmic Surg,1993,24(2):125—128
1999-01-30收稿, 百拇医药