尸体解剖证实的小儿曲菌病13例
作者:曹励之 阳金清
单位:420008 长沙,湖南医科大学附属湘雅医院儿科
关键词:
中华儿科杂志990518 分析我院1960~1997年27年间经尸体解剖诊断为曲菌病的住院病例13例。由于儿童发病较少,临床认识不足,全部病例均未在生前考虑此病。
临床及病理资料:男7例,女6例;年龄12小时~9岁,<3岁7例;病程5天~43天,平均19天。住院至死亡时间:半天~25天,平均8天。临床表现:抽搐3例;发热5例;呕吐、腹泻3例;咳嗽气促3例。临床诊断:乙型脑炎1例;中毒性心肌炎1例;败血症8例;新生儿硬肿症2例;风湿热、多脏器功能衰竭1例。尸体解剖诊断:曲菌性败血症4例;
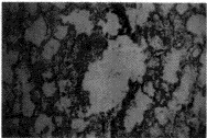
肺曲菌病7例;恶性组织细胞增生并肺曲菌病1例;肺及回肠曲菌病1例;亚急性细菌性心内膜炎1例。实验室及辅助检查:除支持败血症、肺炎、心内膜炎等外,未发现特殊阳性情况。曲菌病感染后肺组织变化见图1、2。
肺泡腔扩大,间质水肿、肺泡内大量炎性渗出(HE,×10)
, http://www.100md.com
图1 感染曲菌病后肺组织
肺泡腔扩大,大量渗出,间质水肿并可见大量串珠样菌丝(HE,×40)
图2 感染曲菌病后的肺泡组织
讨论;曲霉菌属有百余种,但只有数种致病,为条件致病菌,是深部真菌病常见的病原菌。易感的危险因素包括:营养不良、抗生素特别是广谱抗生素和(或)激素的长期使用、肿瘤晚期或恶液质病人、免疫功能低下等易致曲菌病。本组资料中,有11例属上述易感范畴,其中2例为长期使用激素者,4例为新生儿,新生儿比例高,可能与免疫功能低下有关,1例为院内继发感染。1例原发病为恶性组织细胞增生症,从发病到死亡仅12天,生前X线胸片正常,但尸解有肺曲菌病,可能是原发病的全血细胞减少,机体抵抗力下降,继发肺部的曲菌感染。
本组资料中,7例为肺曲菌病,与文献报道的最常见病变部位相符。肺的曲菌感染临床表现为支气管-肺炎型、变态反应性肺曲菌病与曲菌球,本组均为支气管-肺炎型,且无肺部的其他慢性疾病。全部病例临床无咯血、咯痰等症状,与国内外报道不同,可能与患儿的年龄小、病情重、病程短有关。X线胸片则表现为肺部广泛性的斑片状阴影等非特征性的改变;仅1例出现双肺多个结节状阴影,尸体解剖肉眼可见双肺散在分布黄豆、蚕豆大小或稍大的病灶,镜下表现为坏死灶,脓性浸润和急性脓肿形成,其中有成堆的曲菌菌丝,由于肺部的病变严重,有典型的肺透明膜形成。因此,当临床出现不能用一般肺炎解释的上述X线改变,尤其有易感因素存在时,应考虑真菌感染而做相应的检查;正常情况下,曲菌可定植于上呼吸道而不致病,因此多次痰霉菌培养为同一菌种才有诊断意义,肺组织的病理检查阳性对诊断虽有决定性意义,但临床较难获取。国外有报道对33例肺曲菌病患者的支气管肺泡灌洗液及支气管分泌物进行了霉菌培养,阳性率分别为33 % 和50%,高分辨CT对本病的诊断有一定价值[1,2]。另有报道用竞争性PCR检测支气管肺泡灌洗标本中的曲菌DNA,有6例为阳性,其中3例死于肺曲菌病,其灌洗标本培养出了烟曲菌,另3例灌洗标本培养阴性,且未发展为肺曲菌病[3]。
, 百拇医药
1例虽尸解报告为曲菌败血症,但临床首发和主要表现为神经系统症状,符合脑曲菌病,同时有脑膜炎和脑脓肿形成,由于当时没有CT扫描,患儿脑积液为血性且原因不明为此病最重要的诊断线索,但未引起临床高度注意,此时若做真菌培养,可能获阳性结果。
曲菌致病以熏烟色曲菌最主要,该菌产生内毒素引起组织坏死和临床中毒症状,本组有5例表现为播散性曲菌病。此型临床除有发热、全身中毒症状、栓塞现象、血象高等败血症的症状外,还有受累器官相应的表现;如1例粘液腹泻1个月,每天2~3次,这期间未用任何抗生素,说明腹泻是原发的曲菌感染所致,以后发热,并出现少尿无尿,尸解显示由于肾小球的毛细血管及肾皮质的动脉充满霉菌的菌丝和纤维素性的血栓而导致双侧肾皮质坏死,临床出现急性肾功能衰竭的表现。曲菌病尤其是播散性曲菌病如果得不到早期诊断和及时治疗,死亡一般难免。本组资料患儿全部死亡,生前无一例考虑此病,虽与临床认识不足有关,但至今仍无理想的早期确诊手段是最重要的原因。作为临床医师,在作出肺炎、败血症、脓毒败血症诊断时,除一般细菌外,应想到真菌的可能。有报道,曲菌性肺炎起病10天后才开始应用抗真菌治疗,死亡率为90%,即使早期治疗,死亡率仍为41%。由于二性霉素B的毒性太大,目前我院治疗深部霉菌病首选静脉用氟康唑。
, 百拇医药
参考文献
1 Von Eiff M, Boos N, Schulten R, et al. Pulmonary aspergillosis: early diagnosis improves survival. Respiration, 1995, 62: 341-347.
2 Mouy R, Ropert JC, Donadieu J, et al. Chronic septic granulomatosis revealed by neonatal pulmonary aspergillosis. Arch Pediatr. 1995, 2: 861.
3 Bretagne S, Costa JM, Fleury Feith J, et al. Detection of Aspergillus species DNA in bronchoalveolar lavage samples by competitive PCR. J Clin Microbiol. 1995, 33:1162-1164.
(收稿:1998-05-25 修回:1998-10-14), 百拇医药
单位:420008 长沙,湖南医科大学附属湘雅医院儿科
关键词:
中华儿科杂志990518 分析我院1960~1997年27年间经尸体解剖诊断为曲菌病的住院病例13例。由于儿童发病较少,临床认识不足,全部病例均未在生前考虑此病。
临床及病理资料:男7例,女6例;年龄12小时~9岁,<3岁7例;病程5天~43天,平均19天。住院至死亡时间:半天~25天,平均8天。临床表现:抽搐3例;发热5例;呕吐、腹泻3例;咳嗽气促3例。临床诊断:乙型脑炎1例;中毒性心肌炎1例;败血症8例;新生儿硬肿症2例;风湿热、多脏器功能衰竭1例。尸体解剖诊断:曲菌性败血症4例;
肺曲菌病7例;恶性组织细胞增生并肺曲菌病1例;肺及回肠曲菌病1例;亚急性细菌性心内膜炎1例。实验室及辅助检查:除支持败血症、肺炎、心内膜炎等外,未发现特殊阳性情况。曲菌病感染后肺组织变化见图1、2。
, http://www.100md.com
图1 感染曲菌病后肺组织
图2 感染曲菌病后的肺泡组织
讨论;曲霉菌属有百余种,但只有数种致病,为条件致病菌,是深部真菌病常见的病原菌。易感的危险因素包括:营养不良、抗生素特别是广谱抗生素和(或)激素的长期使用、肿瘤晚期或恶液质病人、免疫功能低下等易致曲菌病。本组资料中,有11例属上述易感范畴,其中2例为长期使用激素者,4例为新生儿,新生儿比例高,可能与免疫功能低下有关,1例为院内继发感染。1例原发病为恶性组织细胞增生症,从发病到死亡仅12天,生前X线胸片正常,但尸解有肺曲菌病,可能是原发病的全血细胞减少,机体抵抗力下降,继发肺部的曲菌感染。
本组资料中,7例为肺曲菌病,与文献报道的最常见病变部位相符。肺的曲菌感染临床表现为支气管-肺炎型、变态反应性肺曲菌病与曲菌球,本组均为支气管-肺炎型,且无肺部的其他慢性疾病。全部病例临床无咯血、咯痰等症状,与国内外报道不同,可能与患儿的年龄小、病情重、病程短有关。X线胸片则表现为肺部广泛性的斑片状阴影等非特征性的改变;仅1例出现双肺多个结节状阴影,尸体解剖肉眼可见双肺散在分布黄豆、蚕豆大小或稍大的病灶,镜下表现为坏死灶,脓性浸润和急性脓肿形成,其中有成堆的曲菌菌丝,由于肺部的病变严重,有典型的肺透明膜形成。因此,当临床出现不能用一般肺炎解释的上述X线改变,尤其有易感因素存在时,应考虑真菌感染而做相应的检查;正常情况下,曲菌可定植于上呼吸道而不致病,因此多次痰霉菌培养为同一菌种才有诊断意义,肺组织的病理检查阳性对诊断虽有决定性意义,但临床较难获取。国外有报道对33例肺曲菌病患者的支气管肺泡灌洗液及支气管分泌物进行了霉菌培养,阳性率分别为33 % 和50%,高分辨CT对本病的诊断有一定价值[1,2]。另有报道用竞争性PCR检测支气管肺泡灌洗标本中的曲菌DNA,有6例为阳性,其中3例死于肺曲菌病,其灌洗标本培养出了烟曲菌,另3例灌洗标本培养阴性,且未发展为肺曲菌病[3]。
, 百拇医药
1例虽尸解报告为曲菌败血症,但临床首发和主要表现为神经系统症状,符合脑曲菌病,同时有脑膜炎和脑脓肿形成,由于当时没有CT扫描,患儿脑积液为血性且原因不明为此病最重要的诊断线索,但未引起临床高度注意,此时若做真菌培养,可能获阳性结果。
曲菌致病以熏烟色曲菌最主要,该菌产生内毒素引起组织坏死和临床中毒症状,本组有5例表现为播散性曲菌病。此型临床除有发热、全身中毒症状、栓塞现象、血象高等败血症的症状外,还有受累器官相应的表现;如1例粘液腹泻1个月,每天2~3次,这期间未用任何抗生素,说明腹泻是原发的曲菌感染所致,以后发热,并出现少尿无尿,尸解显示由于肾小球的毛细血管及肾皮质的动脉充满霉菌的菌丝和纤维素性的血栓而导致双侧肾皮质坏死,临床出现急性肾功能衰竭的表现。曲菌病尤其是播散性曲菌病如果得不到早期诊断和及时治疗,死亡一般难免。本组资料患儿全部死亡,生前无一例考虑此病,虽与临床认识不足有关,但至今仍无理想的早期确诊手段是最重要的原因。作为临床医师,在作出肺炎、败血症、脓毒败血症诊断时,除一般细菌外,应想到真菌的可能。有报道,曲菌性肺炎起病10天后才开始应用抗真菌治疗,死亡率为90%,即使早期治疗,死亡率仍为41%。由于二性霉素B的毒性太大,目前我院治疗深部霉菌病首选静脉用氟康唑。
, 百拇医药
参考文献
1 Von Eiff M, Boos N, Schulten R, et al. Pulmonary aspergillosis: early diagnosis improves survival. Respiration, 1995, 62: 341-347.
2 Mouy R, Ropert JC, Donadieu J, et al. Chronic septic granulomatosis revealed by neonatal pulmonary aspergillosis. Arch Pediatr. 1995, 2: 861.
3 Bretagne S, Costa JM, Fleury Feith J, et al. Detection of Aspergillus species DNA in bronchoalveolar lavage samples by competitive PCR. J Clin Microbiol. 1995, 33:1162-1164.
(收稿:1998-05-25 修回:1998-10-14), 百拇医药