应用干涉相差显微镜观察细菌潜生体繁殖方式的研究
作者:刘俊康 丛延广 王 源 邓国宏 徐启旺
单位:第三军医大学生物波研究中心 重庆,400038
关键词:绿脓杆菌;奇异变形杆菌;细菌繁殖
第三军医大学学报ACTA ACADEMIAE MEDICINAE MILITARIS TERTIAE1999年 第21卷 第1期 VOL 提 要:目的探讨细菌潜生体新的繁殖方式。方法:采用特制的干涉相差显微镜结合显微培养方法,动态观察绿脓杆菌和奇异变形杆菌潜生体的繁殖过程。结果:这两种细菌的潜生体表现出多位断裂、自旋端位断裂、出芽生长、梳状繁殖等新的繁殖方式。结论:细菌潜生体繁殖方式的多样性可能有助于种系稳定。
中图法分类号:Q935;R378.991
Observation on multiplication pattern of bacterial cryptic growth cells with interference phase-contrast microscope
, http://www.100md.com
Liu Junkang, Cong Yangguang, Wang Yuan, Deng Guohong, Xu Qiwang
(Research Center of Biological Wave, Third Military Medical University, Chongqing, 400038)
Abstract Objective: To explore the new multiplication pattern of bacterial cryptic growth cells (CGCs). Methods: The interference phase-contrast microscope and special culture plate were employed in the dynamic observation on the multiplicational process of CGCs of pseudomonas aeruginosa (PA) and proteus mirabilis (PM). Results: The CGCs of PA and PM multiplied in form of multi-point blast, rotating end blast, schizogenesis and comb-shaped growth. Conclusion: The interference phase-contrast microscope is very helpful to the dynamic study on bacterial growth and the diversifying of bacterial multiplication might contribute to the stability of species.
, http://www.100md.com
Key words Pseudomonas aeruginosa; Proteus mirabilis; bacterial multiplication
细菌主要以二分裂方式进行增殖,据此Pritchard[1]提出群体细菌生长的四个生长阶段划分,即:延缓期、对数期、稳定期、衰退期,这对研究微生物生长特别是对微生物生理学研究有重要作用。林特夫[2]认为L型细菌可以出芽生长;也有报道白喉杆菌表现节段性生长。这些工作为探索细菌特殊的繁殖方式提供了思路。本文作者所在实验室观察到群体细菌节律性波动生长过程中表现潜-生序变化[3],潜生体(Cryptic growth cell,CGC)可以回复到繁殖体,并表现新的繁殖方式,本文改进方法对此进行了实验观察。
1 材料与方法
1.1 菌种
, http://www.100md.com
PA血清8型,成都生物制品研究所提供,奇异变形杆菌为本实验室分离保存菌种,生化特点为:乳糖(-),葡萄糖(+),H2S(±),尿素酶(+),靛基质(-),动力(+),苯丙氨酸酶(+),氧化酶(-)。
1.2 显微镜
重庆光学仪器厂研制改造的干涉相差显微镜,配制25倍及40倍相差盘及相应相差镜头和倒置显微镜落射光源。
1.3 特制培养皿制备及培养基
选取薄底培养皿,平皿底厚度小于1.5 mm,平皿直径约4.0 cm。平皿盖内壁加入1.5 ml含30%丙烯酰胺和0.8%双丙烯酰胺的胶母液,并加入10%TEMED、10%AP各10 μl上面轻轻覆盖蒸馏水,以隔绝氧气,待凝胶形成后,倒去上层水液,倒置,使表面无多余水份,备用。培养基采用0.5%琼脂糖的波动Ⅰ号培养基。
, http://www.100md.com
1.4 观察方法
采用郭刚等[4]的方法制备CGCs。将CGCs稀释后涂布于制备好的培养基上,加含有薄层聚丙烯胺凝胶的培养皿盖,37℃保温观察,并作记录。
2 结果
2.1 多位断裂
纤细状绿脓杆菌CGCs 37℃显微培养4h,可表现出多位点断裂生长方式,即菌体多个位点相继断裂,生成众多的断裂细菌个体,见图1。
图1 绿脓杆菌潜生体多位断裂生长 (×250)
Fig 1 Multi-point blast growth of PA CGCs (×250)
, 百拇医药
2.2 自旋端位断裂
奇异变形杆菌CGCs在显微培养约2~3h后,可出现较多的自旋小体。在其持续旋转运动过程中,可以从菌体末端开始断裂生成短杆菌,后者可离开自旋小体或停留在自旋小体中心,见图2。
图2 奇异变形杆菌自旋端位断裂生长 (×400)
Fig 2 The rotating end-blast growth of
proteus mirabilis (×400)
2.3 出芽
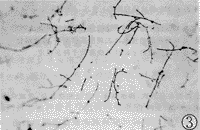
奇异变形杆菌CGCs在菌体侧面生出小的突起,并逐渐长大,最后也可通过断裂方式形成小群集结构。绿脓杆菌潜生体的繁殖过程也观察到出芽、分枝生长的方式,见图3、4。
, 百拇医药
图3 绿脓杆菌潜生体出芽生长初期 (×250)
Fig 3 The early stage of schizogenesis growth of PA CGCs (×250)
图4 绿脓杆菌潜生体出芽生长后期 (×250)
Fig4 The final stage of schizogenesis growth of PA CGCs (×250)
2.4 梳状繁殖
奇异变形杆菌CGCs与绿脓杆菌(GCs)繁殖的子代均可迅速地生成纤细状CGCs,往往排列成梳状结构。
3 讨论
, 百拇医药
采用干涉相差显微镜倒置光源观察CGCs的繁殖方式,光源充足,分辨率高,有助于详细观察繁殖方式及其过程。采用固体培养皿方法,既有助于观察也固定了细菌繁殖后的菌落位置,又能清楚分析繁殖过程和特点。用倒置显微镜可以在培养基上加盖观察,有利于保湿保温,特制培养皿盖内壁因加有透明的聚丙烯酰胺凝胶,使观察过程中培养皿中水汽蒸发较少,且不在培养皿盖上冷凝形成水雾,故有利于持续动态观察。实验时间内生态条件稳定不会影响实验结果。
细菌CGC的繁殖方式展示出生物繁殖多样性的特点。这种多样性可能有利于细菌在不利环境中采取相应特殊增殖方式,保存自身、保存种系,是生物种系稳定的一种方式。近年来,我们在人体感染组织标本中检测出细菌的CGC,也看到了CGC在体外形成CGC的稳定性传代特点,这种方式可能与致病关系密切。随着研究深入,对CGC繁殖方式的研究将显示重要意义。
国家自然科学基金资助项目,NO.39370008
, http://www.100md.com
作者简介:刘俊康,男,30岁,讲师,博士研究生
参考文献
[1] Pritchard R H. Growth: cells and population. in Biochemistry of Bacterial Growth by Joel Mandelstam, Kenneth Mcquillen, I an Dawes. 3 ed. London: Blackwell scientific publications,1982.99~123
[2] 林特夫.细菌的非典型形态与结构.见李影林 主编.临床微生物学及检验.长春:吉林科学技术出版社,1991.21~25
[3] 邓国宏,高强国,王 源,等.绿脓杆菌水中生存复杂性变化观察.第三军医大学学报,1997,19(3):197
[4] 郭 刚,黄春基,王 源,等.抗生素Sub-MICs诱导的纤细菌与潜生体的比较研究.中华流行病学杂志,1997,17(3-C):120
收稿:1998-06-11;修回:1998-12-07, 百拇医药
单位:第三军医大学生物波研究中心 重庆,400038
关键词:绿脓杆菌;奇异变形杆菌;细菌繁殖
第三军医大学学报ACTA ACADEMIAE MEDICINAE MILITARIS TERTIAE1999年 第21卷 第1期 VOL 提 要:目的探讨细菌潜生体新的繁殖方式。方法:采用特制的干涉相差显微镜结合显微培养方法,动态观察绿脓杆菌和奇异变形杆菌潜生体的繁殖过程。结果:这两种细菌的潜生体表现出多位断裂、自旋端位断裂、出芽生长、梳状繁殖等新的繁殖方式。结论:细菌潜生体繁殖方式的多样性可能有助于种系稳定。
中图法分类号:Q935;R378.991
Observation on multiplication pattern of bacterial cryptic growth cells with interference phase-contrast microscope
, http://www.100md.com
Liu Junkang, Cong Yangguang, Wang Yuan, Deng Guohong, Xu Qiwang
(Research Center of Biological Wave, Third Military Medical University, Chongqing, 400038)
Abstract Objective: To explore the new multiplication pattern of bacterial cryptic growth cells (CGCs). Methods: The interference phase-contrast microscope and special culture plate were employed in the dynamic observation on the multiplicational process of CGCs of pseudomonas aeruginosa (PA) and proteus mirabilis (PM). Results: The CGCs of PA and PM multiplied in form of multi-point blast, rotating end blast, schizogenesis and comb-shaped growth. Conclusion: The interference phase-contrast microscope is very helpful to the dynamic study on bacterial growth and the diversifying of bacterial multiplication might contribute to the stability of species.
, http://www.100md.com
Key words Pseudomonas aeruginosa; Proteus mirabilis; bacterial multiplication
细菌主要以二分裂方式进行增殖,据此Pritchard[1]提出群体细菌生长的四个生长阶段划分,即:延缓期、对数期、稳定期、衰退期,这对研究微生物生长特别是对微生物生理学研究有重要作用。林特夫[2]认为L型细菌可以出芽生长;也有报道白喉杆菌表现节段性生长。这些工作为探索细菌特殊的繁殖方式提供了思路。本文作者所在实验室观察到群体细菌节律性波动生长过程中表现潜-生序变化[3],潜生体(Cryptic growth cell,CGC)可以回复到繁殖体,并表现新的繁殖方式,本文改进方法对此进行了实验观察。
1 材料与方法
1.1 菌种
, http://www.100md.com
PA血清8型,成都生物制品研究所提供,奇异变形杆菌为本实验室分离保存菌种,生化特点为:乳糖(-),葡萄糖(+),H2S(±),尿素酶(+),靛基质(-),动力(+),苯丙氨酸酶(+),氧化酶(-)。
1.2 显微镜
重庆光学仪器厂研制改造的干涉相差显微镜,配制25倍及40倍相差盘及相应相差镜头和倒置显微镜落射光源。
1.3 特制培养皿制备及培养基
选取薄底培养皿,平皿底厚度小于1.5 mm,平皿直径约4.0 cm。平皿盖内壁加入1.5 ml含30%丙烯酰胺和0.8%双丙烯酰胺的胶母液,并加入10%TEMED、10%AP各10 μl上面轻轻覆盖蒸馏水,以隔绝氧气,待凝胶形成后,倒去上层水液,倒置,使表面无多余水份,备用。培养基采用0.5%琼脂糖的波动Ⅰ号培养基。
, http://www.100md.com
1.4 观察方法
采用郭刚等[4]的方法制备CGCs。将CGCs稀释后涂布于制备好的培养基上,加含有薄层聚丙烯胺凝胶的培养皿盖,37℃保温观察,并作记录。
2 结果
2.1 多位断裂
纤细状绿脓杆菌CGCs 37℃显微培养4h,可表现出多位点断裂生长方式,即菌体多个位点相继断裂,生成众多的断裂细菌个体,见图1。
图1 绿脓杆菌潜生体多位断裂生长 (×250)
Fig 1 Multi-point blast growth of PA CGCs (×250)
, 百拇医药
2.2 自旋端位断裂
奇异变形杆菌CGCs在显微培养约2~3h后,可出现较多的自旋小体。在其持续旋转运动过程中,可以从菌体末端开始断裂生成短杆菌,后者可离开自旋小体或停留在自旋小体中心,见图2。
图2 奇异变形杆菌自旋端位断裂生长 (×400)
Fig 2 The rotating end-blast growth of
proteus mirabilis (×400)
2.3 出芽
奇异变形杆菌CGCs在菌体侧面生出小的突起,并逐渐长大,最后也可通过断裂方式形成小群集结构。绿脓杆菌潜生体的繁殖过程也观察到出芽、分枝生长的方式,见图3、4。
, 百拇医药
图3 绿脓杆菌潜生体出芽生长初期 (×250)
Fig 3 The early stage of schizogenesis growth of PA CGCs (×250)
图4 绿脓杆菌潜生体出芽生长后期 (×250)
Fig4 The final stage of schizogenesis growth of PA CGCs (×250)
2.4 梳状繁殖
奇异变形杆菌CGCs与绿脓杆菌(GCs)繁殖的子代均可迅速地生成纤细状CGCs,往往排列成梳状结构。
3 讨论
, 百拇医药
采用干涉相差显微镜倒置光源观察CGCs的繁殖方式,光源充足,分辨率高,有助于详细观察繁殖方式及其过程。采用固体培养皿方法,既有助于观察也固定了细菌繁殖后的菌落位置,又能清楚分析繁殖过程和特点。用倒置显微镜可以在培养基上加盖观察,有利于保湿保温,特制培养皿盖内壁因加有透明的聚丙烯酰胺凝胶,使观察过程中培养皿中水汽蒸发较少,且不在培养皿盖上冷凝形成水雾,故有利于持续动态观察。实验时间内生态条件稳定不会影响实验结果。
细菌CGC的繁殖方式展示出生物繁殖多样性的特点。这种多样性可能有利于细菌在不利环境中采取相应特殊增殖方式,保存自身、保存种系,是生物种系稳定的一种方式。近年来,我们在人体感染组织标本中检测出细菌的CGC,也看到了CGC在体外形成CGC的稳定性传代特点,这种方式可能与致病关系密切。随着研究深入,对CGC繁殖方式的研究将显示重要意义。
国家自然科学基金资助项目,NO.39370008
, http://www.100md.com
作者简介:刘俊康,男,30岁,讲师,博士研究生
参考文献
[1] Pritchard R H. Growth: cells and population. in Biochemistry of Bacterial Growth by Joel Mandelstam, Kenneth Mcquillen, I an Dawes. 3 ed. London: Blackwell scientific publications,1982.99~123
[2] 林特夫.细菌的非典型形态与结构.见李影林 主编.临床微生物学及检验.长春:吉林科学技术出版社,1991.21~25
[3] 邓国宏,高强国,王 源,等.绿脓杆菌水中生存复杂性变化观察.第三军医大学学报,1997,19(3):197
[4] 郭 刚,黄春基,王 源,等.抗生素Sub-MICs诱导的纤细菌与潜生体的比较研究.中华流行病学杂志,1997,17(3-C):120
收稿:1998-06-11;修回:1998-12-07, 百拇医药