高锰对雌性仔鼠大脑发育的影响
http://www.100md.com
37c医学网
作者:张德兴 贺新红 张文光 檀进发 黄绍明 Pappas Ba
单位:张德兴 贺新红 张文光 广东药学院基础学科部,广州 510224;檀进发 黄绍明 广西医科大学解剖学教研室;Pappas Ba2 加拿大卡尔顿大学生命科学研究中心
关键词:锰;仔鼠;大脑发育;免疫细胞化学
高锰对雌性仔鼠大脑发育的影响摘要:用不同锰含量的饮水(分别为2和10g/L)使孕鼠染锰,研究对子代大脑发育的影响。结果表明:(1)高剂量染锰组仔鼠大脑额叶和顶叶皮质厚度比低剂量组和对照组显著变薄,而胶质细胞纤维酸蛋白(glial fibrillary acid protein,GFAP)免疫反应强度及其阳性反应产物平均相对密度均明显增高;(2)高、低剂量染锰组仔鼠的扣带回皮质厚度显著较对照组增厚,GF-AP反应强度及其阳性反应产物相对密度显著升高;(3)高剂量染锰组仔鼠胼胝体的面积较对照组和低剂量组显著增大,GFAP免疫反应及其阳性反应产物相对密度明显增高,而低剂量组与对照组之间无差异。
, 百拇医药
中图分类号:Q593.4 Q584 O614.711
Effects of high manganese on
cerebral development of the offspring of rats
Zhang Dexing, He Xinhong, Zhang Wenguang, Tan Jifa, et al.
Guangdong College of Pharmacy, GuangZhou 510224, China
Pregnant rats were divided into three groups. Two groups are exposed to manganese from drinking water contaminated with manganese in 10 and 2g/L respectively. Cerebral development of the offspring of rats was studied. The results are as follows. (1) The thickness of frontal and parental cortex of high dose Mn-exposed groups was significantly reduced, but glial fibrillary acid protein (GFAP) and the densities of its products were increased. (2) Cingular cortex was thickened, GFAP and the density of its products of cingular cortex was increased in both Mn-exposed groups compared with the control group. (3) The area, GFAP and the densits of its products of corpus callosium in the high Mn-exposed group were significantly increased compared with those in both low Mn-exposed and control groups.
, 百拇医药
Key words:manganese,rat offspring, cerebral development, immunocytochemistry.
锰是脑发育和功能活动所必需的重金属元素,但过量的锰也会对中枢神经系统产生不可逆转的损害[1]。实验已证明,通过胎盘屏障进入胎儿体内的锰,不仅可透过胎儿血脑屏障沉积于脑部,而且其在脑部的浓度远远超过血浆中的浓度,甚至可达100倍以上[2,3]。这些资料提示,发育中的脑更易受锰的损害。在脑部,除基底神经核之外,在包括大脑皮质在内的广泛锥体外系区域中均有锰的沉积,出现不同程度、不同阶段的损害[4,5]。有关锰对基底神经核损害的资料累有报告[6,7]。但锰对锥体外系其它区域影响的报道相对较少,结果也不尽一致。本试验目的在于观察锰对大脑皮质和髓质发育中所产生的影响。为评价锰的神经发育毒性和高锰病区优生优育工作提供资料。
, 百拇医药 1 材料和方法
1.1 受试物和实验动物
以氯化锰(MnCl2.4H2O,Sigma产品,分析纯,M-3634)为受试物。选取3月龄健康SD大鼠(取自Charles River Laboratories, Montreal, Canada),雌∶雄以2∶1合笼交配,发现阴栓之日定为受孕零天。孕鼠随机分为高剂量染锰组、低剂量染锰组和对照组,每组12只。分笼饲养,自然分娩。仔鼠出生后调整为每窝5只(雌1雄4)。21日龄断奶后即按雌雄仔鼠分笼饲养。饲养条件为:室温21℃,相对湿度60%~70%。供以常备颗粒饲料自由取食。染锰途径为:从孕鼠受孕零天起至120日龄止,分别只供以含10 g/L和2 g/L的MnCl2水溶液自由饮食。对照组则供以自来水。
1.2 观测指标 分别测试雌雄仔鼠有关指标,但本文只报告雌仔鼠结果。雌仔鼠于生后120日龄开始测试神经行为(结果另文报告),结束后即经左心室作灌流固定,脑部连续冠状切片,程序如前述[8]。含大脑的切片依序分成三套,其中一套置低温冰箱保存备用。
, 百拇医药
1.2.1 大脑皮质厚度测定 各组仔鼠的第一套切片依序粘贴于明胶载片上,作常规甲苯胺蓝尼氏染色制片。从每只仔鼠染色片中分别选取相当于George等图谱Bregma1.60mm(CC),Bregma-0.26mm(AC) 和Bregma -4.8mm(PC)平面的相邻2张切片[9],依照Diamond等人程序[10],用图象分析系统(软件MCID,Imaging Research, St. Catherines Ont, Canada),测量上述各平面皮质B、C、D区、扣带回和内嗅皮质的厚度。
1.2.2 大脑髓质胼胝体、前连合和侧脑室面积的测定:应用上述软件测量AC平面的胼胝体、前连合和侧脑室的面积。
1.2.3 大脑皮质和胼胝体胶质细胞纤维酸蛋白免疫反应及其阳性产物平均相对密度测定:从各组仔鼠的第二套连续切片中,分别选取CC,AC和PC平面的相邻2张切片,用胶质细胞纤维酸蛋白单克隆抗血清(monoclonal anti-glial fibrillary acid protein, anti-GFAP,Sigma G-3893)作免疫细胞化学染色(ABC法)。光镜下观察GFAP反应情况,并采用上述图象分析软件测量了各区GFAP反应阳性产物的平均相对密度。
, http://www.100md.com
2 结果
2.1 锰对大脑皮质厚度的影响
从表1可见,在CC平面,高剂量染锰组仔鼠大脑皮质C区和D区厚度均较对照组和低剂量组显著变薄,而低剂量组与对照组之间无差异;染锰两组仔鼠扣带回厚度则较对照组增厚。
从表2可见,在AC平面,高剂量组仔鼠B、C、D各区大脑皮质厚度均比对照组和低剂量组变薄,而后二组间则无差异;染锰两组扣带回厚度均比对照组明显变厚,但高、低剂量组之间却无差异。
从表3可见,PC平面B、C、D各区及内嗅皮质厚度,各组仔鼠之间无差异。
表1 锰对CC平面大脑皮质厚度影响(x±s)
mm
, http://www.100md.com
组别
B区
C区
D区
扣带回
对照组
1.781±0.048
1.926±0.058
1.816±0.057
1.312±0.060
低剂量组
1.766±0.056
, 百拇医药
1.891±0.059
1.786±0.051
1.385±0.061(1)
高剂量组
1.783±0.037
1.827±0.047(1)
1.742±0.049(1)
1.398±0.041(1)
注:均数两两比较t检验,与对照组比较,(1)P<0.05
表2 锰对AC平面大脑皮质厚度的影响(x±s)
, http://www.100md.com
mm
组别
B区
C区
D区
扣带回
对照组
1.829±0.031
1.843±0.046
1.615±0.058
1.190±0.061(2)
低剂量组
, 百拇医药
1.810±0.042(1)
1.824±0.044(1)
1.601±0.039(1)
1.311±0.040
高剂量组
1.746±0.038(1)
1.764±0.04(1)
1.546±0.055(1)
1.341±0.045(2)
, http://www.100md.com
注:均数两两比较t检验(1)P<0.05,(2)P<0.01
表3 锰对PC平面大脑皮质厚度的影响(x±s)
mm
组别
B区
C区
D区
内嗅皮质
对照组
1.224±0.072
1.225±0.022
1.306±0.055
, http://www.100md.com
1.363±0.055
低剂量组
1.198±0.048
1.270±0.046
1.341±0.049
1.325±0.047
高剂量组
1.235±0.040
1.278±0.037
1.351±0.041
1.330±0.029
, 百拇医药 2.2 锰对胼胝体、前连合和侧脑室面积的影响
表4可见,高剂量组仔鼠在AC平面的胼胝体面积较对照组和低剂量组显著增大,但侧脑室面积却明显缩小,表4 锰对AC平面大脑髓质及侧脑室面积的影响(x±s) mm2
组别
胼胝体
前连合
侧脑室
对照组
2.02±0.22
1.48±0.22
1.30±0.20
, http://www.100md.com
低剂量组
2.06±0.25
1.58±0.11
1.31±0.23
高剂量组
2.51±0.61
1.60±0.13
0.71±0.12
P<0.01,P<0.01。
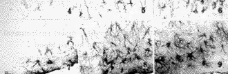
2.3 锰对相关脑区GFAP免疫反应强度及反应阳性产物平均相对密度的影响 在经GFAP免疫反应染色的各组仔鼠大脑CC、AC和PC平面切片的相应脑区中,均可见到GFAP阳性反应的胶质细胞胞体及其突起。但染锰组,特别是高剂量染锰组各区的GFAP反应比对照组显著增强,胶质细胞数目增多、胞体增大、突起增多、增粗、增长(图1~9)。GFAP反应阳性产物的平均相对密度显著升高,结果如表5~7。
, 百拇医药
表5 锰对CC平面大脑皮质GFAP反应阳性产物平均相对密度的影响(x±s)
组别
B区
C区
D区
扣带回
对照组
0.0235±0.0082
0.0190±0.0072
0.0204±0.0052(1)
0.0257±0.0045(2)
, 百拇医药
低剂量组
0.0273±0.0092(3)
0.0238±0.0057(3)
0.0279±0.0087(2)
0.0346±0.0050(1)
高剂量组
0.0998±0.0100(3)
0.0804±0.0289(3)
0.0401±0.0222(3)
, 百拇医药
0.0414±0.0084(3)
注:均数两两比较t检验 (1)P<0.05 (2)P<0.01 (3)P<0.001
表6 锰对PC平面大脑皮质GFAP反应阳性产物平均相对密度的影响(x±s)
组别
B区
C区
D区
内嗅皮质
对照组
0.0194±0.0043
0.0166±0.0021
, http://www.100md.com
0.0169±0.0056
0.0228±0.0057(1)
低剂量组
0.0218±0.0053
0.0181±0.0059
0.0191±0.0061
0.0283±0.0034(1)
高剂量组
0.0249±0.0082(1)
0.0208±0.0043(2)
, 百拇医药
0.0228±0.0057(1)
0.0290±0.0073(1)
注:(1) P<0.05 (2) P<0.01
附图说明:附图中依照对照组低剂量组、高剂量组序,图1~3为CC平面大脑皮质D区,4~6为CC平面扣带回皮质区,7~9区为PC平面嗅皮质;皮质各区GFAP免疫反应染色切片×360。

, 百拇医药 附图 锰对大鼠子代大脑发育的影响
表7 锰对AC平面髓质GFAP反应阳性产物平均
相对密度的影响(x±s)
组 别
胼胝体
前连合
对照组
0.0809±0.0102
0.0079±0.0029(2)
低剂量组
0.0818±0.0236(2)
, 百拇医药
0.0124±0.0035
高剂量组
0.1284±0.0273(2)
0.0141±0.0036(3)
注:(1) P<0.05 (2) P<0.01
3 讨论
Larsen等证实,进入脑内的锰,除基底神经核外,在大脑皮质广泛脑区亦有沉积[5]。Seth等的实验表明,高剂量的锰可导致大脑皮质神经细胞膜GABA、5-HT等受体结合力的下降[11]。Ishiauka等的结果则显示,锰沉积的大脑半球额、顶叶皮质板层结构的神经元核染色加深、颗粒细胞数目丢失[4]。这些资料提示,锰在大脑皮质的沉积对神经元产生了明显的损害。本试验观察测量了各组雌仔鼠大脑半球CC、AC和PC平面B、C、D各区的厚度。结果表明,高剂量染锰组仔鼠C区和D区的皮质在CC和AC平面、B区的皮质在AC平面,均比对照组和低剂量组明显变薄,与Pappas等人的结果相一致[12]。依George等图谱,AC平面的B区代表额前皮质,CC、AC平面的C区、D区则分别代表顶叶的第Ⅰ感觉运动区和第Ⅱ感觉运动区(颗粒细胞区)皮质[9]。可见,高剂量染锰可使额叶皮质和顶叶皮质在发育过程中遭受严重损害而变薄。
, http://www.100md.com
值得注意的是,作为边缘系统结构的扣带回,在本试验测试中却发现高剂量染锰组仔鼠的厚度比对照组显著增厚。提示,大脑皮质各区因其对锰的敏感性或耐受性不同,而出现了不同程度、不同阶段的病理学变化。上述B、C、D区皮质厚度的变薄,可能是神经元退变、萎缩的结果;而扣带回厚度的增大则可能是该区仍处在充血、水肿和胶质细胞增殖反应阶段所致。锰对大脑髓质形态学的影响资料报道不多。有限的报告指出,锰可致大脑内部髓质发生髓鞘溶解退变、电子密度加大,突触后结构溃变[7,13]。本试验测量了联系两侧大脑半球新皮质的胼胝体和联系两半球颞叶的前连合的面积。结果表明,高、低剂量组仔鼠在AC平面的胼胝体面积显著增大,但前连合的面积各组之间无差异。提示大脑半球髓质对锰的伤害亦存在着程度和时限的差异。
胶质细胞纤维酸蛋白免疫反应的增强既可作为判断神经元早期损伤的探针而被应用,也反映了胶质细胞本身对锰损害的调节反应过程[13]。Wedler等证实,脑部沉积的锰80%结合在胶质细胞的谷氨酸合成酶上[14]。Ley等亦指出,胶质细胞对锰的亲和力高于神经元50倍以上[15]。在本试验中,经GFAP免疫反应染色的相关平面的大脑半球皮质、髓质切片中,染锰组,特别是高剂量染锰组仔鼠的GFAP反应强度及其反应阳性产物的平均相对密度,均较对照组显著增强,与上述各平面脑区的厚度和面积的改变结果一起,印证了锰经血胎—血脑屏障对胎儿大脑发育产生了明显的伤害影响。
, 百拇医药
国家自然科学基金资助项目
作者简介:张德兴,男,教授,基础学科部副主任兼人体解剖学教研室主任
参考文献
1 Aschner M, Aschner JL. Manganese neurotoxicity:cellular effects and blood-brain barrier transport. Neurosci Biobehav Rev,1991,15:333—340
2 Aschner M, Aschner JL. Mercury neurotoxicity:mechanism of blood-brain barrier transport. Neurosci Biobenav Rev, 1990,14:169—176
3 Murphy VA, Rosenberg JM, Smith QR, et al. Elevation of brain manganese in calcium-deficient rats. Neurotoxicology, 1991,12:255—264
, http://www.100md.com
4 lshizuka H, Nishida M, Kawada J. Changes in stainability observed by light microscopy in the brains of ataxial mice subjected to three generations of manganese administration. Biochem Int. 1991,25(4):677—685
5 Larsen NA, Pakkenberg AH, Damsgaard E, et al. Topographical distribution of arsenic, manganese and selenium in the normal human brain. J. Neurol Sci, 1977,42:407—416
6 Yamada M, Ohno S, Okayasu I, et al. Chronic manganese poisoning. A neuropathological study with determination of manganese distribution in the brain. Acta Neuropathol,1986,70:273—278
, 百拇医药
7 Eriksson H, Gillberg PG, Aquilonius SM, et al. Receptor alterations in manganese intoxicaled monkeys. Arch Toxicol,1992,66(5):359—365
8 张德兴,贺新红,张文光,等.锰对大鼠子代生长发育的影响.卫生研究,1998,27(4):237—241
9 George P, Charles W. The Rat Brain in Stereotaxic Coordinates. 2nd ed. Sydney: Academic Press,1987
10 Diamond MC, Johnson RE, lnham CA. Morphological Changes in the young, adult and aging rat cortex, hippocampus and diencephalon. Behav Biol,1975,14:163—174
, 百拇医药
11 Seth PK, Chandra SV. Neurotransmitters and neurotransmitter receptors in developing and adult rats during manganese poisoning. Neurotoxicology,1984,5(1):67—76
12 Pappas BA, Zhang DX, Davidson CM, et al. Perinatal Manganese exposure:behavioral neurochemical, and histopathological effects in the rat. Neurotoxicol Teratol,1997,19(1):17—25
13 Gajkowska B, Kosicka B, Smialek M. Stuctural changes in the central nervors system of rats in manganese chloride(Mncl2) poisoning. Neuropathol.1987,25(4):523—532
, 百拇医药
14 Stanley Barone JR. Developmental differences in neural damage following trimethyl-tinas demonstrated with GFAP immunohistochemistry. Ann New York Acad Sci,1992,679:306—316
15 Wedler FC, Denman RB. Glutamine Synthelase:The major Mn(Ⅱ) enzyme in mammadlian brain. Curr Top Cell Regul,1984,24:153—169
1998--收稿, 百拇医药
单位:张德兴 贺新红 张文光 广东药学院基础学科部,广州 510224;檀进发 黄绍明 广西医科大学解剖学教研室;Pappas Ba2 加拿大卡尔顿大学生命科学研究中心
关键词:锰;仔鼠;大脑发育;免疫细胞化学
高锰对雌性仔鼠大脑发育的影响摘要:用不同锰含量的饮水(分别为2和10g/L)使孕鼠染锰,研究对子代大脑发育的影响。结果表明:(1)高剂量染锰组仔鼠大脑额叶和顶叶皮质厚度比低剂量组和对照组显著变薄,而胶质细胞纤维酸蛋白(glial fibrillary acid protein,GFAP)免疫反应强度及其阳性反应产物平均相对密度均明显增高;(2)高、低剂量染锰组仔鼠的扣带回皮质厚度显著较对照组增厚,GF-AP反应强度及其阳性反应产物相对密度显著升高;(3)高剂量染锰组仔鼠胼胝体的面积较对照组和低剂量组显著增大,GFAP免疫反应及其阳性反应产物相对密度明显增高,而低剂量组与对照组之间无差异。
, 百拇医药
中图分类号:Q593.4 Q584 O614.711
Effects of high manganese on
cerebral development of the offspring of rats
Zhang Dexing, He Xinhong, Zhang Wenguang, Tan Jifa, et al.
Guangdong College of Pharmacy, GuangZhou 510224, China
Pregnant rats were divided into three groups. Two groups are exposed to manganese from drinking water contaminated with manganese in 10 and 2g/L respectively. Cerebral development of the offspring of rats was studied. The results are as follows. (1) The thickness of frontal and parental cortex of high dose Mn-exposed groups was significantly reduced, but glial fibrillary acid protein (GFAP) and the densities of its products were increased. (2) Cingular cortex was thickened, GFAP and the density of its products of cingular cortex was increased in both Mn-exposed groups compared with the control group. (3) The area, GFAP and the densits of its products of corpus callosium in the high Mn-exposed group were significantly increased compared with those in both low Mn-exposed and control groups.
, 百拇医药
Key words:manganese,rat offspring, cerebral development, immunocytochemistry.
锰是脑发育和功能活动所必需的重金属元素,但过量的锰也会对中枢神经系统产生不可逆转的损害[1]。实验已证明,通过胎盘屏障进入胎儿体内的锰,不仅可透过胎儿血脑屏障沉积于脑部,而且其在脑部的浓度远远超过血浆中的浓度,甚至可达100倍以上[2,3]。这些资料提示,发育中的脑更易受锰的损害。在脑部,除基底神经核之外,在包括大脑皮质在内的广泛锥体外系区域中均有锰的沉积,出现不同程度、不同阶段的损害[4,5]。有关锰对基底神经核损害的资料累有报告[6,7]。但锰对锥体外系其它区域影响的报道相对较少,结果也不尽一致。本试验目的在于观察锰对大脑皮质和髓质发育中所产生的影响。为评价锰的神经发育毒性和高锰病区优生优育工作提供资料。
, 百拇医药 1 材料和方法
1.1 受试物和实验动物
以氯化锰(MnCl2.4H2O,Sigma产品,分析纯,M-3634)为受试物。选取3月龄健康SD大鼠(取自Charles River Laboratories, Montreal, Canada),雌∶雄以2∶1合笼交配,发现阴栓之日定为受孕零天。孕鼠随机分为高剂量染锰组、低剂量染锰组和对照组,每组12只。分笼饲养,自然分娩。仔鼠出生后调整为每窝5只(雌1雄4)。21日龄断奶后即按雌雄仔鼠分笼饲养。饲养条件为:室温21℃,相对湿度60%~70%。供以常备颗粒饲料自由取食。染锰途径为:从孕鼠受孕零天起至120日龄止,分别只供以含10 g/L和2 g/L的MnCl2水溶液自由饮食。对照组则供以自来水。
1.2 观测指标 分别测试雌雄仔鼠有关指标,但本文只报告雌仔鼠结果。雌仔鼠于生后120日龄开始测试神经行为(结果另文报告),结束后即经左心室作灌流固定,脑部连续冠状切片,程序如前述[8]。含大脑的切片依序分成三套,其中一套置低温冰箱保存备用。
, 百拇医药
1.2.1 大脑皮质厚度测定 各组仔鼠的第一套切片依序粘贴于明胶载片上,作常规甲苯胺蓝尼氏染色制片。从每只仔鼠染色片中分别选取相当于George等图谱Bregma1.60mm(CC),Bregma-0.26mm(AC) 和Bregma -4.8mm(PC)平面的相邻2张切片[9],依照Diamond等人程序[10],用图象分析系统(软件MCID,Imaging Research, St. Catherines Ont, Canada),测量上述各平面皮质B、C、D区、扣带回和内嗅皮质的厚度。
1.2.2 大脑髓质胼胝体、前连合和侧脑室面积的测定:应用上述软件测量AC平面的胼胝体、前连合和侧脑室的面积。
1.2.3 大脑皮质和胼胝体胶质细胞纤维酸蛋白免疫反应及其阳性产物平均相对密度测定:从各组仔鼠的第二套连续切片中,分别选取CC,AC和PC平面的相邻2张切片,用胶质细胞纤维酸蛋白单克隆抗血清(monoclonal anti-glial fibrillary acid protein, anti-GFAP,Sigma G-3893)作免疫细胞化学染色(ABC法)。光镜下观察GFAP反应情况,并采用上述图象分析软件测量了各区GFAP反应阳性产物的平均相对密度。
, http://www.100md.com
2 结果
2.1 锰对大脑皮质厚度的影响
从表1可见,在CC平面,高剂量染锰组仔鼠大脑皮质C区和D区厚度均较对照组和低剂量组显著变薄,而低剂量组与对照组之间无差异;染锰两组仔鼠扣带回厚度则较对照组增厚。
从表2可见,在AC平面,高剂量组仔鼠B、C、D各区大脑皮质厚度均比对照组和低剂量组变薄,而后二组间则无差异;染锰两组扣带回厚度均比对照组明显变厚,但高、低剂量组之间却无差异。
从表3可见,PC平面B、C、D各区及内嗅皮质厚度,各组仔鼠之间无差异。
表1 锰对CC平面大脑皮质厚度影响(x±s)
mm
, http://www.100md.com
组别
B区
C区
D区
扣带回
对照组
1.781±0.048
1.926±0.058
1.816±0.057
1.312±0.060
低剂量组
1.766±0.056
, 百拇医药
1.891±0.059
1.786±0.051
1.385±0.061(1)
高剂量组
1.783±0.037
1.827±0.047(1)
1.742±0.049(1)
1.398±0.041(1)
注:均数两两比较t检验,与对照组比较,(1)P<0.05
表2 锰对AC平面大脑皮质厚度的影响(x±s)
, http://www.100md.com
mm
组别
B区
C区
D区
扣带回
对照组
1.829±0.031
1.843±0.046
1.615±0.058
1.190±0.061(2)
低剂量组
, 百拇医药
1.810±0.042(1)
1.824±0.044(1)
1.601±0.039(1)
1.311±0.040
高剂量组
1.746±0.038(1)
1.764±0.04(1)
1.546±0.055(1)
1.341±0.045(2)
, http://www.100md.com
注:均数两两比较t检验(1)P<0.05,(2)P<0.01
表3 锰对PC平面大脑皮质厚度的影响(x±s)
mm
组别
B区
C区
D区
内嗅皮质
对照组
1.224±0.072
1.225±0.022
1.306±0.055
, http://www.100md.com
1.363±0.055
低剂量组
1.198±0.048
1.270±0.046
1.341±0.049
1.325±0.047
高剂量组
1.235±0.040
1.278±0.037
1.351±0.041
1.330±0.029
, 百拇医药 2.2 锰对胼胝体、前连合和侧脑室面积的影响
表4可见,高剂量组仔鼠在AC平面的胼胝体面积较对照组和低剂量组显著增大,但侧脑室面积却明显缩小,表4 锰对AC平面大脑髓质及侧脑室面积的影响(x±s) mm2
组别
胼胝体
前连合
侧脑室
对照组
2.02±0.22
1.48±0.22
1.30±0.20
, http://www.100md.com
低剂量组
2.06±0.25
1.58±0.11
1.31±0.23
高剂量组
2.51±0.61
1.60±0.13
0.71±0.12
P<0.01,P<0.01。
2.3 锰对相关脑区GFAP免疫反应强度及反应阳性产物平均相对密度的影响 在经GFAP免疫反应染色的各组仔鼠大脑CC、AC和PC平面切片的相应脑区中,均可见到GFAP阳性反应的胶质细胞胞体及其突起。但染锰组,特别是高剂量染锰组各区的GFAP反应比对照组显著增强,胶质细胞数目增多、胞体增大、突起增多、增粗、增长(图1~9)。GFAP反应阳性产物的平均相对密度显著升高,结果如表5~7。
, 百拇医药
表5 锰对CC平面大脑皮质GFAP反应阳性产物平均相对密度的影响(x±s)
组别
B区
C区
D区
扣带回
对照组
0.0235±0.0082
0.0190±0.0072
0.0204±0.0052(1)
0.0257±0.0045(2)
, 百拇医药
低剂量组
0.0273±0.0092(3)
0.0238±0.0057(3)
0.0279±0.0087(2)
0.0346±0.0050(1)
高剂量组
0.0998±0.0100(3)
0.0804±0.0289(3)
0.0401±0.0222(3)
, 百拇医药
0.0414±0.0084(3)
注:均数两两比较t检验 (1)P<0.05 (2)P<0.01 (3)P<0.001
表6 锰对PC平面大脑皮质GFAP反应阳性产物平均相对密度的影响(x±s)
组别
B区
C区
D区
内嗅皮质
对照组
0.0194±0.0043
0.0166±0.0021
, http://www.100md.com
0.0169±0.0056
0.0228±0.0057(1)
低剂量组
0.0218±0.0053
0.0181±0.0059
0.0191±0.0061
0.0283±0.0034(1)
高剂量组
0.0249±0.0082(1)
0.0208±0.0043(2)
, 百拇医药
0.0228±0.0057(1)
0.0290±0.0073(1)
注:(1) P<0.05 (2) P<0.01
附图说明:附图中依照对照组低剂量组、高剂量组序,图1~3为CC平面大脑皮质D区,4~6为CC平面扣带回皮质区,7~9区为PC平面嗅皮质;皮质各区GFAP免疫反应染色切片×360。
, 百拇医药 附图 锰对大鼠子代大脑发育的影响
表7 锰对AC平面髓质GFAP反应阳性产物平均
相对密度的影响(x±s)
组 别
胼胝体
前连合
对照组
0.0809±0.0102
0.0079±0.0029(2)
低剂量组
0.0818±0.0236(2)
, 百拇医药
0.0124±0.0035
高剂量组
0.1284±0.0273(2)
0.0141±0.0036(3)
注:(1) P<0.05 (2) P<0.01
3 讨论
Larsen等证实,进入脑内的锰,除基底神经核外,在大脑皮质广泛脑区亦有沉积[5]。Seth等的实验表明,高剂量的锰可导致大脑皮质神经细胞膜GABA、5-HT等受体结合力的下降[11]。Ishiauka等的结果则显示,锰沉积的大脑半球额、顶叶皮质板层结构的神经元核染色加深、颗粒细胞数目丢失[4]。这些资料提示,锰在大脑皮质的沉积对神经元产生了明显的损害。本试验观察测量了各组雌仔鼠大脑半球CC、AC和PC平面B、C、D各区的厚度。结果表明,高剂量染锰组仔鼠C区和D区的皮质在CC和AC平面、B区的皮质在AC平面,均比对照组和低剂量组明显变薄,与Pappas等人的结果相一致[12]。依George等图谱,AC平面的B区代表额前皮质,CC、AC平面的C区、D区则分别代表顶叶的第Ⅰ感觉运动区和第Ⅱ感觉运动区(颗粒细胞区)皮质[9]。可见,高剂量染锰可使额叶皮质和顶叶皮质在发育过程中遭受严重损害而变薄。
, http://www.100md.com
值得注意的是,作为边缘系统结构的扣带回,在本试验测试中却发现高剂量染锰组仔鼠的厚度比对照组显著增厚。提示,大脑皮质各区因其对锰的敏感性或耐受性不同,而出现了不同程度、不同阶段的病理学变化。上述B、C、D区皮质厚度的变薄,可能是神经元退变、萎缩的结果;而扣带回厚度的增大则可能是该区仍处在充血、水肿和胶质细胞增殖反应阶段所致。锰对大脑髓质形态学的影响资料报道不多。有限的报告指出,锰可致大脑内部髓质发生髓鞘溶解退变、电子密度加大,突触后结构溃变[7,13]。本试验测量了联系两侧大脑半球新皮质的胼胝体和联系两半球颞叶的前连合的面积。结果表明,高、低剂量组仔鼠在AC平面的胼胝体面积显著增大,但前连合的面积各组之间无差异。提示大脑半球髓质对锰的伤害亦存在着程度和时限的差异。
胶质细胞纤维酸蛋白免疫反应的增强既可作为判断神经元早期损伤的探针而被应用,也反映了胶质细胞本身对锰损害的调节反应过程[13]。Wedler等证实,脑部沉积的锰80%结合在胶质细胞的谷氨酸合成酶上[14]。Ley等亦指出,胶质细胞对锰的亲和力高于神经元50倍以上[15]。在本试验中,经GFAP免疫反应染色的相关平面的大脑半球皮质、髓质切片中,染锰组,特别是高剂量染锰组仔鼠的GFAP反应强度及其反应阳性产物的平均相对密度,均较对照组显著增强,与上述各平面脑区的厚度和面积的改变结果一起,印证了锰经血胎—血脑屏障对胎儿大脑发育产生了明显的伤害影响。
, 百拇医药
国家自然科学基金资助项目
作者简介:张德兴,男,教授,基础学科部副主任兼人体解剖学教研室主任
参考文献
1 Aschner M, Aschner JL. Manganese neurotoxicity:cellular effects and blood-brain barrier transport. Neurosci Biobehav Rev,1991,15:333—340
2 Aschner M, Aschner JL. Mercury neurotoxicity:mechanism of blood-brain barrier transport. Neurosci Biobenav Rev, 1990,14:169—176
3 Murphy VA, Rosenberg JM, Smith QR, et al. Elevation of brain manganese in calcium-deficient rats. Neurotoxicology, 1991,12:255—264
, http://www.100md.com
4 lshizuka H, Nishida M, Kawada J. Changes in stainability observed by light microscopy in the brains of ataxial mice subjected to three generations of manganese administration. Biochem Int. 1991,25(4):677—685
5 Larsen NA, Pakkenberg AH, Damsgaard E, et al. Topographical distribution of arsenic, manganese and selenium in the normal human brain. J. Neurol Sci, 1977,42:407—416
6 Yamada M, Ohno S, Okayasu I, et al. Chronic manganese poisoning. A neuropathological study with determination of manganese distribution in the brain. Acta Neuropathol,1986,70:273—278
, 百拇医药
7 Eriksson H, Gillberg PG, Aquilonius SM, et al. Receptor alterations in manganese intoxicaled monkeys. Arch Toxicol,1992,66(5):359—365
8 张德兴,贺新红,张文光,等.锰对大鼠子代生长发育的影响.卫生研究,1998,27(4):237—241
9 George P, Charles W. The Rat Brain in Stereotaxic Coordinates. 2nd ed. Sydney: Academic Press,1987
10 Diamond MC, Johnson RE, lnham CA. Morphological Changes in the young, adult and aging rat cortex, hippocampus and diencephalon. Behav Biol,1975,14:163—174
, 百拇医药
11 Seth PK, Chandra SV. Neurotransmitters and neurotransmitter receptors in developing and adult rats during manganese poisoning. Neurotoxicology,1984,5(1):67—76
12 Pappas BA, Zhang DX, Davidson CM, et al. Perinatal Manganese exposure:behavioral neurochemical, and histopathological effects in the rat. Neurotoxicol Teratol,1997,19(1):17—25
13 Gajkowska B, Kosicka B, Smialek M. Stuctural changes in the central nervors system of rats in manganese chloride(Mncl2) poisoning. Neuropathol.1987,25(4):523—532
, 百拇医药
14 Stanley Barone JR. Developmental differences in neural damage following trimethyl-tinas demonstrated with GFAP immunohistochemistry. Ann New York Acad Sci,1992,679:306—316
15 Wedler FC, Denman RB. Glutamine Synthelase:The major Mn(Ⅱ) enzyme in mammadlian brain. Curr Top Cell Regul,1984,24:153—169
1998--收稿, 百拇医药